Benvenuto Ospite

Forum Entomologi Italiani

www.entomologiitaliani.net/forum
 
Oggi è 04/02/2026, 4:50

Tutti gli orari sono UTC + 1 ora [ ora legale ]

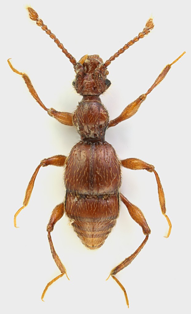
Batrisodes (Batrisodes) oculatus (Aubé, 1833) Dettagli della specie

14.XI.2011 - ITALIA - Lazio - RM, Cervara di Roma, 1200 m


nuovo argomento
rispondi
Pagina 1 di 1 [ 6 messaggi ]
Autore Messaggio
MessaggioInviato: 16/11/2011, 19:22 
Avatar utente

Iscritto il: 30/12/2009, 22:20
Messaggi: 31564
Località: Roma
Nome: Maurizio Gigli
Questo "grosso" Pselaphinae l'ho trovato a vista mentre camminava su una pietra che avevo appena rivoltato, su un prato montano in pendenza con molti affioramenti calcarei.

Lazio, Roma, Cervara, 1200 m, 14.XI.2011, M. Gigli legit

2,5 mm

Pselaphinae_Cervara_14-XI-2011_2,5mm.jpg



Aggiungo una seconda foto fatta con luce più diffusa, in cui si vede meglio la conformazione del pronoto.

Pselaphinae_Cervara_1200m_14-XI-2011_2,5mm_dd_grey.jpg



E un particolare di testa e pronoto, in cui si vedono una serie di grosse fossette nella metà basale del pronoto, e due solchi longitudinali che lo percorrono quasi completamente.

Pselaphinae_Cervara_part.jpg


_________________
Maurizio Gigli
http://utenti.romascuola.net/bups
http://bup.xoom.it/


Top
profilo
 Oggetto del messaggio: Re: Staphilinidae Pselaphinae - Lazio
MessaggioInviato: 16/11/2011, 20:33 
 

Iscritto il: 10/07/2010, 14:42
Messaggi: 4846
Nome: Giuseppe Pace
Ciao Maurizio,
in questa discussione ci dovrebbero essere tutte le indicazioni utili:
http://www.entomologiitaliani.net/public/forum/phpBB3/viewtopic.php?f=345&t=16240&hilit=batrisodes

Giuseppe


Top
profilo
 Oggetto del messaggio: Re: Staphilinidae Pselaphinae - Lazio
MessaggioInviato: 17/11/2011, 8:41 
Avatar utente

Iscritto il: 30/12/2009, 22:20
Messaggi: 31564
Località: Roma
Nome: Maurizio Gigli
Grazie Giuseppe. Sarà il "solito" Batrisodes oculatus?
Se è lui, ha costumi abbastanza vari! La prima volta l'ho trovato vagante su un tronco morto molto umido nella pianura intorno a Roma, vicino ad un fosso, mentre stavolta stava sotto una pietra quasi alla sommità di un versante calcareo esposto a Sud a 1200 m di altezza!

_________________
Maurizio Gigli
http://utenti.romascuola.net/bups
http://bup.xoom.it/


Top
profilo
 Oggetto del messaggio: Re: Staphilinidae Pselaphinae - Lazio
MessaggioInviato: 17/11/2011, 13:19 
Avatar utente

Iscritto il: 31/01/2010, 13:28
Messaggi: 172
Località: Prague, Czech republic
Nome: Adam Šíma
Yes, Batrisodes oculatus :hi:


Top
profilo
 Oggetto del messaggio: Re: Staphilinidae Pselaphinae - Lazio
MessaggioInviato: 17/11/2011, 14:47 
Avatar utente

Iscritto il: 05/02/2009, 17:25
Messaggi: 4894
Località: Zola Predosa (BO)
Nome: Loris Colacurcio
Come solito Batrisodes oculatus ? Io non sono ancora riuscito a trovarlo....e ci ho provato !
Continua pure a raccoglierli, che poi se ne hai troppi, una soluzione la troviamo :birra:

:hi:

_________________
Loris


Top
profilo
 Oggetto del messaggio: Re: Staphilinidae Pselaphinae - Lazio
MessaggioInviato: 17/11/2011, 23:44 
Avatar utente

Iscritto il: 30/12/2009, 22:20
Messaggi: 31564
Località: Roma
Nome: Maurizio Gigli
Loriscola ha scritto:
Come solito Batrisodes oculatus ? Io non sono ancora riuscito a trovarlo....e ci ho provato !
Continua pure a raccoglierli, che poi se ne hai troppi, una soluzione la troviamo :birra:

:hi:

Questa volta era uno solo. Il "bello" è che da tutto il terriccio che ho raccolto lì vicino non mi è uscito niente!

_________________
Maurizio Gigli
http://utenti.romascuola.net/bups
http://bup.xoom.it/


Top
profilo
Visualizza ultimi messaggi:  Ordina per  
nuovo argomento
rispondi
Pagina 1 di 1 [ 6 messaggi ]

Tutti gli orari sono UTC + 1 ora [ ora legale ]


Chi c’è in linea

Visitano il forum: Nessuno e 0 ospiti


Non puoi aprire nuovi argomenti
Non puoi rispondere negli argomenti
Non puoi modificare i tuoi messaggi
Non puoi cancellare i tuoi messaggi
Non puoi inviare allegati

Cerca per:
Vai a:  
cron