Benvenuto Ospite

Forum Entomologi Italiani

www.entomologiitaliani.net/forum
 
Oggi è 26/12/2025, 17:17

Tutti gli orari sono UTC + 1 ora [ ora legale ]

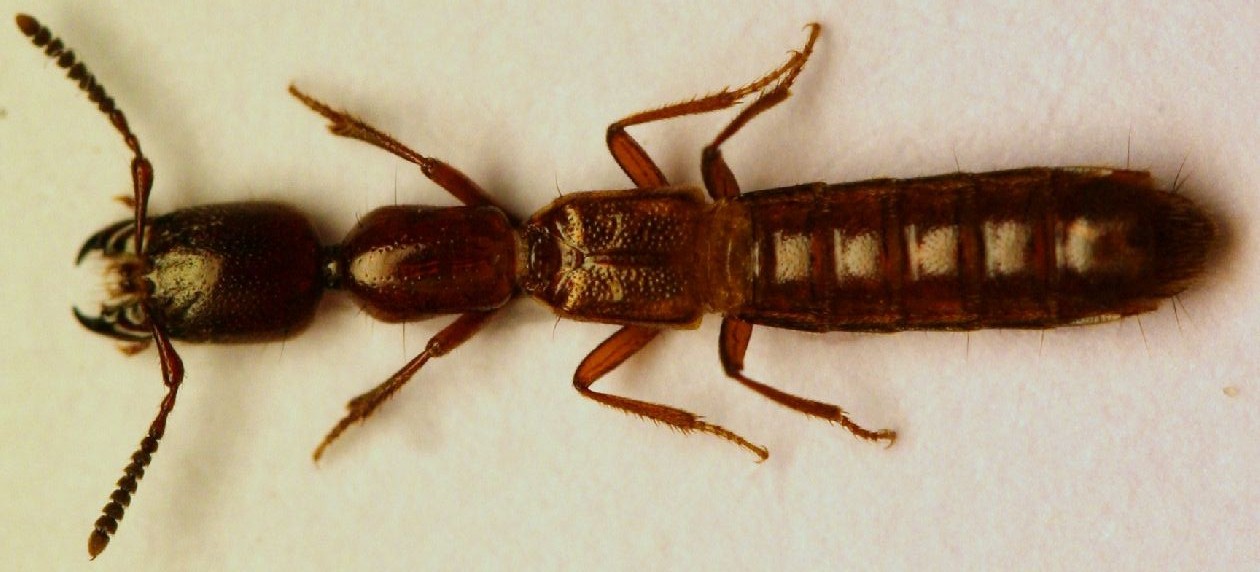
Vulda (Typhlodes) sp. - Staphylinidae

17.XII.2011 - ITALIA - Emilia-Romagna - BO, Casalecchio di Reno - Tizzano


nuovo argomento
rispondi
Pagina 1 di 1 [ 9 messaggi ]
Autore Messaggio
 Oggetto del messaggio: Vulda (Typhlodes) sp. - Staphylinidae
MessaggioInviato: 18/12/2011, 23:09 
Avatar utente

Iscritto il: 05/02/2009, 17:25
Messaggi: 4894
Località: Zola Predosa (BO)
Nome: Loris Colacurcio
Finalmente ne ho trovata una ! :hp: ..e sotto a casa mia.

Avevo un'oretta di tempo ed ho fatto una capatina a Tizzano, ma invece di andare nel solito bosco alle spalle dell'eremo, ho fatto il giro contrario, iniziando ad esplorare alcuni pali della luce, piantati in mezzo a dei campi ormai abbandonati. Dopo, mi sono spostato ai margini di un bosco che cresce su un ripido pendio: proprio alla base c'è un piccolo avvallamento che probabilmente di trasforma in un rio quando c'è acqua in abbondanza. Bene, su un lato di questo piccolo canale, ho notato una piccola acacia ancora in piedi, ma morta da anni e completamente cava....ed allora ho cominciato a prendere manciate di detriti dal cavo, sino alla profondità di un intero braccio :shock: , non meno di mezzo metro quindi.
Ieri, nella bacinella, c'era lei..... :lov3:

Lunghezza: 9,5 mm.

Direi Vulda (Typhlodes), ma non so andare oltre anche perché sul Fauna d'Italia l'unica specie senza alcuna traccia di occhi (neanche uno o due ommatidi) è solo una specie del carso triestino.....io non riesco a vedere alcuna traccia degli occhi, e voi ?

aa Vulda 03 Tizzano 9.5mm.JPG


aa Vulda 04 Tizzano 9.5mm.JPG



aa Vulda 05 Tizzano 9.5mm.JPG


aa Vulda 06 Tizzano 9.5mm.JPG



aa Vulda 07 Tizzano 9.5mm.JPG


aa Vulda 08 Tizzano 9.5mm.JPG


_________________
Loris


Top
profilo
MessaggioInviato: 18/12/2011, 23:36 
Avatar utente

Iscritto il: 24/04/2010, 8:24
Messaggi: 5095
Nome: Lucio Morin
Loriscola ha scritto:
Finalmente ne ho trovata una ! :hp: ..e sotto a casa mia.



Direi Vulda (Typhlodes), ma non so andare oltre anche perché sul Fauna d'Italia l'unica specie senza alcuna traccia di occhi (neanche uno o due ommatidi) è solo una specie del carso triestino....


Dimmi la localita' che vado a scavare :ses
Ciao Lucio

_________________
A VOLTE E' MEGLIO TACERE E SEMBRARE STUPIDI CHE APRIR BOCCA E TOGLIERE OGNI DUBBIO Oscar Wilde


Top
profilo
MessaggioInviato: 19/12/2011, 0:23 
Avatar utente

Iscritto il: 09/11/2010, 19:52
Messaggi: 4518
Località: Brescia
Nome: Luca Bodei
Wow :shock: ...si prospetta qualcosa di interessante..... ;) :hi: :birra:

Se può essere d'aiuto.... :hi:

viewtopic.php?f=244&t=19481&hilit=vulda

_________________
Tc70


Top
profilo
MessaggioInviato: 19/12/2011, 0:38 
Avatar utente

Iscritto il: 08/02/2010, 23:01
Messaggi: 6179
Località: Vicenza
Nome: Silvano Biondi
E' decisamente l'anno delle Vulda :)

:hi:

_________________



Silvano


Top
profilo
MessaggioInviato: 19/12/2011, 21:32 
Avatar utente

Iscritto il: 05/02/2009, 17:25
Messaggi: 4894
Località: Zola Predosa (BO)
Nome: Loris Colacurcio
Solo ora posso consultare il Fauna d'Italia, per rispondere a Lucio :ok: .

La bestiola del Carso è la Vulda (Typhlodes) mihoki, specie davvero misteriosa, visto che è noto un unico maschietto. Raccolta su fondo argilloso di dolina umida, sotto sassi poco profondi (zona piantumata ad abeti), il 27/04/1921 e nel successivo mese di agosto (questi dati riguardano la località di M.te Planik).

Località precise: Monte Planik, Monte Maggiore, Monte Taiano, Cosina, Bosco di Lipizza, Opicina presso la grotta di Ferneti, Senosecchia, Monte Gomanasca, Sagrado e Isonzo....ovviamente nella maggioranza dei casi non ho idea di dove siano questi posti :oops:

:hi:

_________________
Loris


Top
profilo
MessaggioInviato: 19/12/2011, 21:42 
Avatar utente

Iscritto il: 08/06/2009, 0:06
Messaggi: 3415
Località: Feltre(BL)
Nome: Nicola Dal Zotto
Loriscola ha scritto:
Solo ora posso consultare il Fauna d'Italia, per rispondere a Lucio :ok: .

La bestiola del Carso è la Vulda (Typhlodes) mihoki, specie davvero misteriosa, visto che è noto un unico maschietto. Raccolta su fondo argilloso di dolina umida, sotto sassi poco profondi (zona piantumata ad abeti), il 27/04/1921 e nel successivo mese di agosto (questi dati riguardano la località di M.te Planik).

Località precise: Monte Planik, Monte Maggiore, Monte Taiano, Cosina, Bosco di Lipizza, Opicina presso la grotta di Ferneti, Senosecchia, Monte Gomanasca, Sagrado e Isonzo....ovviamente nella maggioranza dei casi non ho idea di dove siano questi posti :oops:

:hi:


ma come fa un maschio singolo ad essere stato trovato in cosi tanti posti????

_________________
Nicola Dal Zotto


Top
profilo
MessaggioInviato: 19/12/2011, 21:54 
Avatar utente

Iscritto il: 05/02/2009, 17:25
Messaggi: 4894
Località: Zola Predosa (BO)
Nome: Loris Colacurcio
Sicuramente mi sono spiegato male :oops: : il maschio è uno solo, ma di esemplari (indi per cui delle femmine) ne sono stati raccolti in più località ed in diversi esemplari.

Aggiungo solo ora (era nell pagina successiva e non l'avevo letto) che è citato anche della selva di Tarnova, ma non sono noti esemplari ...

:hi:

_________________
Loris


Top
profilo
MessaggioInviato: 19/12/2011, 22:01 
Avatar utente

Iscritto il: 08/06/2009, 0:06
Messaggi: 3415
Località: Feltre(BL)
Nome: Nicola Dal Zotto
Loriscola ha scritto:
Sicuramente mi sono spiegato male :oops: : il maschio è uno solo, ma di esemplari (indi per cui delle femmine) ne sono stati raccolti in più località ed in diversi esemplari.

Aggiungo solo ora (era nell pagina successiva e non l'avevo letto) che è citato anche della selva di Tarnova, ma non sono noti esemplari ...

:hi:

Ecco dove era il trucco!!! :lol: :lol: :lol1: :lol1:
:lov2: :lov2: :lov2:

_________________
Nicola Dal Zotto


Top
profilo
MessaggioInviato: 19/12/2011, 23:18 
Avatar utente

Iscritto il: 24/04/2010, 8:24
Messaggi: 5095
Nome: Lucio Morin
Loriscola ha scritto:
Solo ora posso consultare il Fauna d'Italia, per rispondere a Lucio :ok: .

La bestiola del Carso è la Vulda (Typhlodes) mihoki, specie davvero misteriosa, visto che è noto un unico maschietto. Raccolta su fondo argilloso di dolina umida, sotto sassi poco profondi (zona piantumata ad abeti), il 27/04/1921 e nel successivo mese di agosto (questi dati riguardano la località di M.te Planik).

Località precise: Monte Planik, Monte Maggiore, Monte Taiano, Cosina, Bosco di Lipizza, Opicina presso la grotta di Ferneti, Senosecchia, Monte Gomanasca, Sagrado e Isonzo....ovviamente nella maggioranza dei casi non ho idea di dove siano questi posti :oops:

:hi:

La maggior parte di queste localita' si trova in Slovenia, comunque doline ne conosco e posso provarci.

_________________
A VOLTE E' MEGLIO TACERE E SEMBRARE STUPIDI CHE APRIR BOCCA E TOGLIERE OGNI DUBBIO Oscar Wilde


Top
profilo
Visualizza ultimi messaggi:  Ordina per  
nuovo argomento
rispondi
Pagina 1 di 1 [ 9 messaggi ]

Tutti gli orari sono UTC + 1 ora [ ora legale ]


Chi c’è in linea

Visitano il forum: Nessuno e 0 ospiti


Non puoi aprire nuovi argomenti
Non puoi rispondere negli argomenti
Non puoi modificare i tuoi messaggi
Non puoi cancellare i tuoi messaggi
Non puoi inviare allegati

Cerca per:
Vai a: