Benvenuto Ospite

Forum Entomologi Italiani

www.entomologiitaliani.net/forum
 
Oggi è 23/03/2026, 13:36

Tutti gli orari sono UTC + 1 ora [ ora legale ]

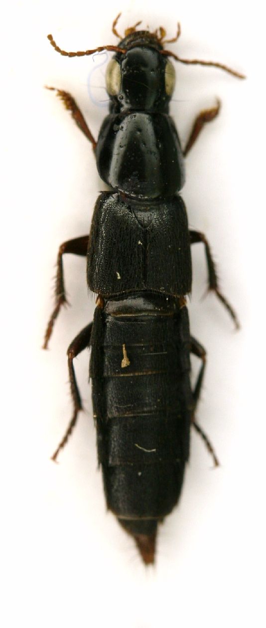
Quedius tristis (Gravenhorst, 1802) - Saphylinidae

10.IX.2005 - ITALIA - Emilia-Romagna - BO, Sasso Marconi, loc. Palazzo Rossi [det. Pilon]


nuovo argomento
rispondi
Pagina 1 di 1 [ 1 messaggio ]
Autore Messaggio
MessaggioInviato: 28/02/2012, 23:44 
Avatar utente

Iscritto il: 05/02/2009, 17:25
Messaggi: 4894
Località: Zola Predosa (BO)
Nome: Loris Colacurcio
Ieri sera ho aperto la scatola con gli stafilinidi, quelli determinati (una minoranza), unicamente presi a Palazzo Rossi....beh, ecco le foto di quelli più grandicelli, che ho immortalato con il mio artigianalissimo stativo.

Lunghezza: 15 mm. circa

Quedius tristis (Gravenhorst, 1802)  10.9.05 15mm pilon.JPG


_________________
Loris


Top
profilo
Visualizza ultimi messaggi:  Ordina per  
nuovo argomento
rispondi
Pagina 1 di 1 [ 1 messaggio ]

Tutti gli orari sono UTC + 1 ora [ ora legale ]


Chi c’è in linea

Visitano il forum: Nessuno e 0 ospiti


Non puoi aprire nuovi argomenti
Non puoi rispondere negli argomenti
Non puoi modificare i tuoi messaggi
Non puoi cancellare i tuoi messaggi
Non puoi inviare allegati

Cerca per:
Vai a: