Benvenuto Ospite

Forum Entomologi Italiani

www.entomologiitaliani.net/forum
 
Oggi è 17/05/2026, 18:53

Tutti gli orari sono UTC + 1 ora [ ora legale ]

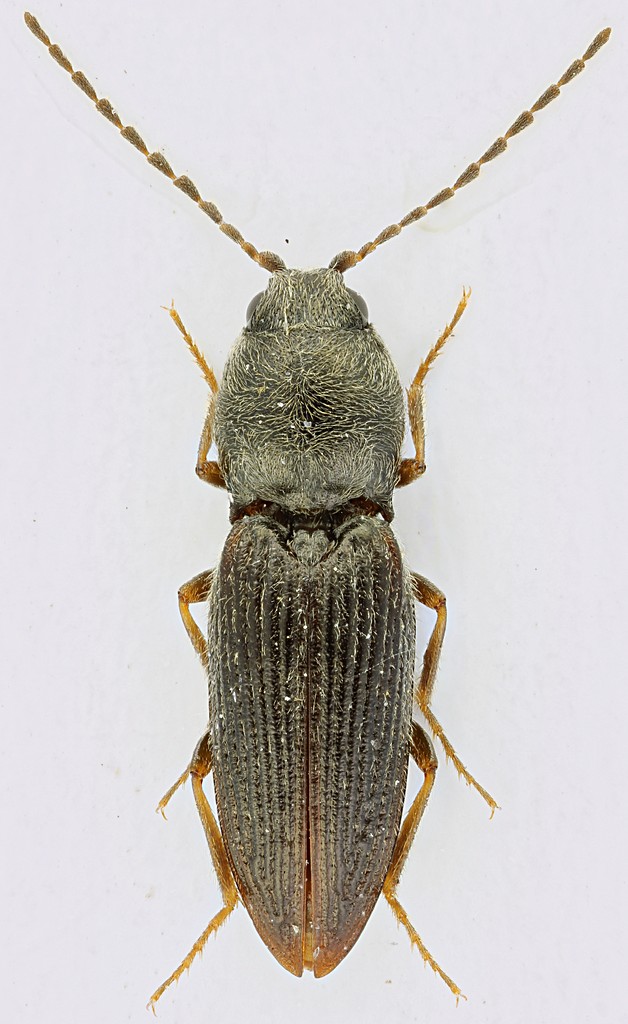
Cardiophorus exaratus Erichson, 1840 - Elateridae - Lazio

23.III.2012 - ITALIA - Lazio - RM, Dintorni di Focene


nuovo argomento
rispondi
Pagina 1 di 1 [ 3 messaggi ]
Autore Messaggio
MessaggioInviato: 25/03/2012, 13:03 
Avatar utente

Iscritto il: 30/12/2009, 22:20
Messaggi: 31564
Località: Roma
Nome: Maurizio Gigli
Trovato ieri sera, dopo il tramonto, che correva sulla sabbia.

Lazio, Roma, spiaggia nei dintorni di Focene, 24.III.2012, M. Gigli legit

5,3 mm
Focene_24-III-2012_5,3mm_grey.jpg


_________________
Maurizio Gigli
http://utenti.romascuola.net/bups
http://bup.xoom.it/


Top
profilo
 Oggetto del messaggio: Re: Elateridae - Lazio
MessaggioInviato: 25/03/2012, 14:59 
Avatar utente

Iscritto il: 13/10/2010, 18:21
Messaggi: 2004
Nome: Andrea Liberto
Cardiophorus exaratus Erichson, 1840, tipico psammobionte. Ciao, A. :hi:


Top
profilo
 Oggetto del messaggio: Re: Elateridae - Lazio
MessaggioInviato: 25/03/2012, 18:24 
Avatar utente

Iscritto il: 30/12/2009, 22:20
Messaggi: 31564
Località: Roma
Nome: Maurizio Gigli
Clickie ha scritto:
Cardiophorus exaratus Erichson, 1840, tipico psammobionte. Ciao, A. :hi:

Grazie Andrea. Quando l'ho preso era così buio che non riuscivo nemmeno a capire se era un Coleottero o un ragno!

_________________
Maurizio Gigli
http://utenti.romascuola.net/bups
http://bup.xoom.it/


Top
profilo
Visualizza ultimi messaggi:  Ordina per  
nuovo argomento
rispondi
Pagina 1 di 1 [ 3 messaggi ]

Tutti gli orari sono UTC + 1 ora [ ora legale ]


Chi c’è in linea

Visitano il forum: Nessuno e 2 ospiti


Non puoi aprire nuovi argomenti
Non puoi rispondere negli argomenti
Non puoi modificare i tuoi messaggi
Non puoi cancellare i tuoi messaggi
Non puoi inviare allegati

Cerca per:
Vai a:  
cron