Benvenuto Ospite

Forum Entomologi Italiani

www.entomologiitaliani.net/forum
 
Oggi è 23/03/2026, 23:58

Tutti gli orari sono UTC + 1 ora [ ora legale ]

I Sub-corticicoli di Palazzo Rossi (BO)



nuovo argomento
rispondi
Vai alla pagina 1, 2, 3, 4  Prossimo
Pagina 1 di 4 [ 46 messaggi ]
Autore Messaggio
MessaggioInviato: 24/11/2009, 21:32 
Avatar utente

Iscritto il: 05/02/2009, 17:25
Messaggi: 4894
Località: Zola Predosa (BO)
Nome: Loris Colacurcio
Con questo esperimento vorrei iniziare un nuovo filone di post in cui sia possibile illustrare i risultati di una determinata spedizione entomologica, cosa che in parte è già stata proposta (ad esempio da Sama con le sue invidiabili spedizioni in Africa) e che vorrebbe riprendere i vari "Trip Report" che ho visto in numerosi siti di entomologi.

Come sempre, il sottoscritto vuole "vendere" la sua mercanzia più gettonata ed anche questa volta vi offrirò la cara e vecchia località del bolognese, ovvero:

Sasso Marconi (BO) - Palazzo Rossi

Il 23 novembre (ieri) mi sono regalato un giorno di insetti ed ho voluto portarmi dietro la macchina fotografica; visto il periodo (freddo e poco "vitale") ho voluto indirizzarmi unicamente su un particolare ambiente, che è maggiormente "ricco" nel periodo invernale. Stiamo parlando della fauna sub-corticicola.

Palazzo Rossi è un piccolissimo borgo medievale racchiuso all'interno delle mura del castello e si trova ad una ventina di chilometri da Bologna, nella prima collina bolognese.
01P.zzo Rossi1.JPG


02P.zzo Rossi2.JPG



Per arrivare al borgo esiste una vecchia strada, ormai in disuso, delimitata da due filari di giganteschi Platani
03Ambiente 3.JPG



Il Platano ha la straordinaria qualità: una corteccia che si sfalda in ampie squame e che pertanto offre un invidiabile riparo per molti insetti: veramente infestante è questo eterottero che presumo sia la Corythucha ciliata (Say)
04(Heterottero) Corythucha ciliata 1a.JPG


05(Heterottero) Corythucha ciliata 1b.JPG



Dopo pochi minuti, mi sono subito imbattuto in un coleottero mai visto prima, che con moltissima fatica e nella speranza di non essermi sbagliato, ho attribuito ai Bothrideridi, in particolare il Bothrideres bipunctatus (Gmelin 1790)
06 Bothrideres bipunctatus (Gmelin 1790)01b.JPG


07Bothrideres bipunctatus (Gmelin 1790) 01c.JPG



Sotto alla corteccia del platano ho poi raccolto alcuni Ptinidi, sicuramente di diverse specie che vi propongo, purtroppo, senza nome. La cosa interessante è che tipicamente incontro queste bestiole unicamente sotto la corteccia dei Platani e mai su altre essenze.
08(Ptinide) sp. 1a.JPG


09(Ptinide) sp. 1b.JPG


10(Ptinide) sp. 2a.JPG



continua....

_________________
Loris


Top
profilo
MessaggioInviato: 24/11/2009, 21:44 
Avatar utente

Iscritto il: 05/02/2009, 17:25
Messaggi: 4894
Località: Zola Predosa (BO)
Nome: Loris Colacurcio
...solo per questo esemplare, mi posso azzardare a proporre la specie:
Ptinus (Gynopterus) sexpunctatus Panzer, 1789
11(Ptinide) sp. 3a.JPG



Quasi casualmente, mentre scortecciavo ho notato che ai piedi di alcuni grossi platani, crescevano rigogliosi "ciuffi" di muschi (o licheni, non so)
13(Anthribidi) locus.JPG



Esaminando la corteccia marcescente al di sotto di questo muschio (e solo in questo ambiente) ho trovato in gran quantità uno splendido Anthribide (spero), mai incontrato prima.
14(Anthribide) sp. 1a.JPG


15(Anthribidi) sp. 1c.JPG



Ed insieme a questi Anthribidi, ho raccolto anche un paio di minuscoli Throscidi
16(Throscide) sp. 1.JPG



Continuando con i platani, mi sono poi imbattuto in un Tenebrionide già presentato e quindi determinabile:
Palorus depressus (Fabricius, 1790)
17(Tenebrionidi) Palorus depressus (Fabricius, 1790)1a.JPG


18(Tenebrionidi) Palorus depressus (Fabricius, 1790)1b.JPG



Uno stafilinide, probabilmente uno Xantholino
19(Staphylinide) Xantholino sp. 1a.JPG


20(Staphylinide) Xantholino sp. 1b.JPG



continua....

_________________
Loris


Top
profilo
MessaggioInviato: 24/11/2009, 21:53 
Avatar utente

Iscritto il: 05/02/2009, 17:25
Messaggi: 4894
Località: Zola Predosa (BO)
Nome: Loris Colacurcio
...poi mi sono imbattuto nell'ennesimo "mai visto prima". La corteccia è davvero un ambiente ricco di sorprese !!
Si tratta di un curioso Curculionide molto particolare e che credo possa essere vicino agli Acalles sp.
21(Curculionide) Acalles sp. 1.JPG


22(Curculionide) Acalles sp. 1b.JPG



Trovando poi un platano profondamente cariato, mi sono subito gettato a capofitto, scavando nella rosura e cercando qualche coleottero....parte di questa rosura l'ho poi raccolta per vagliarla comodamente a casa.
23(Lucanidi) amb. Dorcus.JPG



Comunque, sul posto ho trovato un bel Dorcus parallelepipedus (Linneo, 1758).....
24(Lucanidi) Dorcus parallelepipedus Linneo, 1758).JPG



...e l'altrettanto splendido Lacon punctatus (Herbst, 1779), probabile predatore del precedente
25(Elateridi) Lacon punctatus (Herbst, 1779).JPG



Ultimo coleottero tra i platani, un altro curculionide che mi è stato determinato (su altri esemplari identici raccolti l'anno scorso): Polydrosus sparsus (Gyllenhal)
26(Curculionide) Polydrosus sparsus (Gyllenhal).JPG



continua.....

_________________
Loris


Top
profilo
MessaggioInviato: 24/11/2009, 22:03 
Avatar utente

Iscritto il: 05/02/2009, 17:25
Messaggi: 4894
Località: Zola Predosa (BO)
Nome: Loris Colacurcio
Passando ad altra corteccia, sempre a ridosso del castello, ho trovato alcuni grossi pioppi abbattuti e con la corteccia parzialmente staccata....
29(Cerambycide) amb. larva.JPG



...sotto la quale ho trovato alcune ragguardevoli larve di Cerambycide.....Morimus asper, Lamia textor o nessuna delle due ?
30(Cerambycide) larva.JPG



Numerosi heterotteri si trovavano in ogni dove....
31(Heterottero) sp. 03.JPG


32(Heterottero) sp. 03b.JPG


34(Heterottero) sp.  02.JPG



Un angolino di corteccia era poi abitato da un piccolo nucleo di un altro Tenebrionide già conosciuto:
Diaclina fagi (Panzer 1799)
35(Tenebrionidi) Diaclina fagi (Panzer 1799)..JPG



Sotto la corteccia del pioppo, sul tronco denudato e stillante di umidità, ho poi raccolto due interessanti Histeridi:
Acritus minutus (Herbst, 1792)
36(Histeridi) Acritus  minutus (Herbst, 1792).JPG



...e Paromalus flavicornis (Herbst, 1792)
37(Histeridi) Paromalus flavicornis (Herbst, 1792).JPG



...oltre ad uno splendido Stafilinide (mi ripeto: mai visto prima) dalla peculiare caratteristica...sembra un lucanide !!
Siagonium quadricorne (Kirby) spero di aver azzeccato la specie...
38(Staphylinide) Siagonium quadricorne (Kirby)1a.JPG


39(Staphylinide) Siagonium quadricorne (Kirby)1b.JPG



continua...

_________________
Loris


Top
profilo
MessaggioInviato: 25/11/2009, 0:39 
Avatar utente

Iscritto il: 18/02/2009, 0:24
Messaggi: 3909
Località: Asciano (Siena)
Nome: Andrea Petrioli
:p :p :p :ok:


:hi:

andrea

_________________
:hi:
______
Andrea


Top
profilo
MessaggioInviato: 25/11/2009, 8:41 
Avatar utente

Iscritto il: 05/02/2009, 17:44
Messaggi: 2695
Località: Garbagnate Milanese
Nome: Augusto Franzini
Quante belle bestioline, Loris! Insisti, non è l'Africa ma c'è comunque una bella varietà. Niente Carabidi? (Dromius o Philorhizus ci dovrebbero stare, vista la buona condizione dell'ambiente)

_________________
Augusto (aug)
Prediction is very difficult, especially about the future (Niels Bohr, fisico)


Top
profilo
MessaggioInviato: 25/11/2009, 9:00 
Avatar utente

Iscritto il: 04/02/2009, 17:49
Messaggi: 5556
Località: Cagliari
Nome: Daniele Sechi
Bravo Loris, bellissimo report! :ok:

_________________
:hi:
Daniele


Top
profilo
MessaggioInviato: 25/11/2009, 9:23 
Avatar utente

Iscritto il: 02/02/2009, 23:32
Messaggi: 5645
Località: da Ferrara ad Alghero
Nome: Roberto A. Pantaleoni
Attento Loris, nella rosura degli alberi cavi va a finire che trovi le larve di Dendroleon pantherinus, un bellissimo formicaleone. Nel caso non ucciderle, ma tienile vive e contattaci, MI RACCOMANDO :) !!!


Ciao Roberto :to:

_________________
verum stabile cetera fumus


Top
profilo
MessaggioInviato: 25/11/2009, 11:23 
Avatar utente

Iscritto il: 06/02/2009, 9:03
Messaggi: 6379
Località: Bubano di Mordano (Bologna)
Nome: Augusto Degiovanni
Ciao Loris, bella e interessante sequenza :ok: :ok: lo Stafilinidae è da urlo :shock: .

_________________
CIAO :hi: Augusto Degiovanni

http://anthicidaeecarabidae.altervista.org


Top
profilo
MessaggioInviato: 25/11/2009, 12:58 
Avatar utente

Iscritto il: 05/02/2009, 17:25
Messaggi: 4894
Località: Zola Predosa (BO)
Nome: Loris Colacurcio
...mi sono portato un po' di foto a lavorare e posso (segretamente) continuare :mrgreen:

Grazie per i vostri apprezzamenti. :birra: Per rispondere ad Augusto....sì i carabidi ci sono: purtroppo ho visto una Lebia (forse la scapularis), ma la simpaticona ha pensato bene di lasciarsi cadere e l'ho persa....

Continuando la disamina della mia spedizione corticicola del 23 novembre, sempre sotto la corteccia di alcuni grossi pioppi abbattuti, mi sono imbattuto (scusate il gioco di parole) in un coleottero ignoto.....a vista potrebbe essere un Monotomide
39bCorticicolo 02.JPG



Tra la rosura, appare invece un bel tenebrionide, abbastanza comune da queste parti.......Dendarus (Dendarus) coarcticollis (tristis) Mulsant, 1854
40(Tenebrionide) Dendarus (Dendarus) coarcticollis (tristis) Mulsant, 1854 .JPG



...e un curculionide che ho trovato spessissimo nel legno fradicio dei pioppi e che mi è stato determinato: Melicius cylindrus (Boheman)
40a(Curculionide) Melicius cylindrus (Boheman).JPG



A dispetto delle minuscole dimensioni era poi possibile osservare, subito dopo aver tolto la corteccia (sul tronco molto bagnato) dei Ptilidi, come questi due:
la prima è probabilmente una Ptinella, forse la aptera
40b(Ptilide) Ptinella cf. aptera (Guer.Menevile 1839).JPG


Sul secondo, oltre a dire che si tratta di un'altra specie, non vado oltre....
40c(Ptilide) Ptilide sp. 1.JPG



continua....


40(Tenebrionide) Dendarus (Dendarus) coarcticollis (tristis) Mulsant, 1854 .JPG


_________________
Loris
Top
profilo
MessaggioInviato: 25/11/2009, 13:07 
Avatar utente

Iscritto il: 05/02/2009, 17:25
Messaggi: 4894
Località: Zola Predosa (BO)
Nome: Loris Colacurcio
...poco più in là si trovano alcuni grossi tronchi di un albero ancora sconosciuto e che ormai è diventato un mio abituale appuntamento:
40d(Staphylinidi) amb. Scaphidium .JPG



ed infatti ho aggiunto artificialmente della "corteccia di carta", utilizzando una pezzo di cartone ondulato....
41(Colydiidi) amb. Corticus.JPG



Qui ho potuto trovare il già noto Colydiide, Corticus celtis (Germar 1824)
42(Colydiidi) Corticus celtis (Germar 1824).JPG



e l'altrettanto conosciuto Scaphidium quadrimaculatum (G.A. Olivier, 1790)
43(Staphylinidi) Scaphidium quadrimaculatum (G.A. Olivier, 1790).JPG



Ovviamente, visto che era passato già un bel po' di tempo, mi sono ricordato di esaminare alcune "trappole a fascia" create su suggerimento di Ranatra...
44(Heterottero) locus Rhyparochromus.JPG



...e qui ho rinvenuto un Tenebrionide....forse un Nalassus sp.,
45(Tenebrionide) sp. 1.JPG



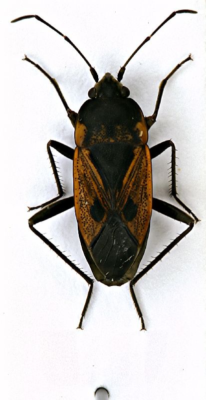
e due heterotteri: spero che il prima sia Rhyparochromus (Xanthochilus) saturnius (Rossi, 1790), ma potre tranquillamente aver preso un granchio.
46(Heterottero) Rhyparochromus (Xanthochilus) saturnius (Rossi, 1790).JPG



il secondo non ci provo nemmeno :roll:
47(Heterottero) sp. 01.JPG



continua....

_________________
Loris


Top
profilo
MessaggioInviato: 25/11/2009, 13:15 
Avatar utente

Iscritto il: 05/02/2009, 17:25
Messaggi: 4894
Località: Zola Predosa (BO)
Nome: Loris Colacurcio
Infine ho controllato l'ennesimo tronco abbandonato, questa volta dico con una certa sicurezza che si tratta di un ippocastano
48(Tenebrionidi) amb. Accanthopus .JPG



Sotto la spessa corteccia mi è subito balzato agli occhi questo grosso tenebrionide che, guardando un po' in rete ho immaginato potesse essere un
Accanthopus velikensis (Piller & Mitterpacher, 1783)
49(Tenebrionidi) Accanthopus velikensis (Piller & Mitterpacher, 1783)1a.JPG



49b(Tenebrionidi) Accanthopus velikensis (Piller & Mitterpacher, 1783)1b.JPG



Oltre a questo, controllando più da vicino, il tronco era pieno di un Silvanide molto diffuso, la Uleiota planata (Linneo, 1761)
50(Silvanide) Uleiota planata (Linnaeus, 1761)1a.JPG



51(Silvanide) Uleiota planata (Linnaeus, 1761)1b.JPG



Infine, dopo non vi assillo più, ecco l'ultimo incontro....davvero abbondante
(Cucuidi) Placonotus testaceus (Fabricius)
52(Cucuidi) Placonotus testaceus (Fabricius)1a.JPG



53(Cucuidi) Placonotus testaceus (Fabricius)1b.JPG




Un saluto a tutti voi, pazienti lettori :hi:

Loris

_________________
Loris


Top
profilo
MessaggioInviato: 25/11/2009, 21:27 
Avatar utente

Iscritto il: 05/02/2009, 17:28
Messaggi: 3228
Nome: Marco Uliana
Accidenti, che bella caccia! E che bel report :ok:

Ti do qualche nome:
Secondo Ptinide preparato (pronoto molto peloso)
Ptinus (Cyphoderes) sp.
Terzo Ptinide preparato:
Giusto: Ptinus (Gynopterus) sexpunctatus Panzer, 1789

Antribide ignoto:
Phaenotherion fasciculatum

Presunto monotomide:
Synchita cfr. mediolanensis (Colydiidae, una volta, ora... boh)

Continua così!

Ciao, Marco


Top
profilo
MessaggioInviato: 25/11/2009, 21:58 
Avatar utente

Iscritto il: 02/02/2009, 23:32
Messaggi: 5645
Località: da Ferrara ad Alghero
Nome: Roberto A. Pantaleoni
Loriscola ha scritto:
...poco più in là si trovano alcuni grossi tronchi di un albero ancora sconosciuto ...

Olmo? Possibile secondo te?

Ciao Roberto :to:

_________________
verum stabile cetera fumus


Top
profilo
MessaggioInviato: 26/11/2009, 9:10 
Avatar utente

Iscritto il: 05/02/2009, 17:25
Messaggi: 4894
Località: Zola Predosa (BO)
Nome: Loris Colacurcio
Grazie Marco per le dritte....se l'Anthribide interessa, ne ho alcuni esemplari.

Per Hemerobius.....sì che può essere. Io pensavo ad un tiglio, ma in effetti è più plausibile la tua ipotesi.

Ciao, Loris

_________________
Loris


Top
profilo
Visualizza ultimi messaggi:  Ordina per  
nuovo argomento
rispondi
Vai alla pagina 1, 2, 3, 4  Prossimo
Pagina 1 di 4 [ 46 messaggi ]

Tutti gli orari sono UTC + 1 ora [ ora legale ]


Chi c’è in linea

Visitano il forum: Nessuno e 0 ospiti


Non puoi aprire nuovi argomenti
Non puoi rispondere negli argomenti
Non puoi modificare i tuoi messaggi
Non puoi cancellare i tuoi messaggi
Non puoi inviare allegati

Cerca per:
Vai a: