| Autore |
Messaggio |
|
Caliddo
|
Inviato: 30/10/2012, 21:12 |
|
Iscritto il: 01/06/2011, 11:43 Messaggi: 292 Località: Palermo
Nome: Lello Brancato
|
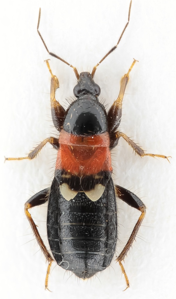
Trovato in un formicaio dentro un vecchio tronco. 4 mm circa Grazie per l'aiuto Lello
_________________ ....ed era tutta vela la navicella dell'ingegno mio.
|
|
| Top |
|
 |
|
Umbro
|
Inviato: 30/10/2012, 21:32 |
|
Iscritto il: 28/05/2011, 21:10 Messaggi: 1981
Nome: Umberto Devincenzo
|
Forse Prostemma sanguineum (Rossi, 1790) - Nabidae ??  Anche se non ha solitamente le zampe di quella colorazione, forse ancora in sviluppo. 
_________________ "La compassione e l'empatia per il più piccolo degli animali, è una delle più nobili virtù che un uomo possa ricevere in dono." Charles Darwin
|
|
| Top |
|
 |
|
FORBIX
|
Inviato: 30/10/2012, 21:37 |
|
Iscritto il: 17/02/2009, 0:05 Messaggi: 8524 Località: Isola d'Elba - Arcipelago Toscano
Nome: Leonardo Forbicioni
|
_________________ "Stay hungry, stay foolish". Steve Jobs, 2005 ___________________ jjuniper8(at)gmail.com Twitter: @weevil_forbixcell. 339/5275910 ___________________
|
|
| Top |
|
 |
|
Umbro
|
Inviato: 30/10/2012, 21:48 |
|
Iscritto il: 28/05/2011, 21:10 Messaggi: 1981
Nome: Umberto Devincenzo
|
Grazie della conferma Leonardo! Una curiosità personale: sono più comuni le forme brachittere o macrottere, parlando di Prostemma sp. in generale?
_________________ "La compassione e l'empatia per il più piccolo degli animali, è una delle più nobili virtù che un uomo possa ricevere in dono." Charles Darwin
|
|
| Top |
|
 |
|
FORBIX
|
Inviato: 30/10/2012, 21:56 |
|
Iscritto il: 17/02/2009, 0:05 Messaggi: 8524 Località: Isola d'Elba - Arcipelago Toscano
Nome: Leonardo Forbicioni
|
Umbro ha scritto: Grazie della conferma Leonardo! Una curiosità personale: sono più comuni le forme brachittere o macrottere, parlando di Prostemma sp. in generale? Io ti dico quel poco che conosco e che nel tempo mi sono "appuntato"! Tranne che per P. concinnum Walker, 1873 di cui si dovrebbe conoscere solo la forma macrottera, tutte le altre ( guttula, aeneicolle, bicolor, sanguineum e albimaculata) dovrebbero essere quasi sempre brachittere, ma ovviamente si possono trovare anche esemplari macrotteri, ma con minor frequenza. Probabilmente, come al solito, potrei aver scritto qualche fesseria, ma vedrai che i "cimiciari" d.o.c.  sapranno dirti qualcosa di più serio.! 
_________________ "Stay hungry, stay foolish". Steve Jobs, 2005 ___________________ jjuniper8(at)gmail.com Twitter: @weevil_forbixcell. 339/5275910 ___________________
|
|
| Top |
|
 |
|
Caliddo
|
Inviato: 31/10/2012, 0:46 |
|
Iscritto il: 01/06/2011, 11:43 Messaggi: 292 Località: Palermo
Nome: Lello Brancato
|
Grazie ! 
_________________ ....ed era tutta vela la navicella dell'ingegno mio.
|
|
| Top |
|
 |
|
Umbro
|
Inviato: 31/10/2012, 16:52 |
|
Iscritto il: 28/05/2011, 21:10 Messaggi: 1981
Nome: Umberto Devincenzo
|
FORBIX ha scritto: Umbro ha scritto: Grazie della conferma Leonardo! Una curiosità personale: sono più comuni le forme brachittere o macrottere, parlando di Prostemma sp. in generale? Io ti dico quel poco che conosco e che nel tempo mi sono "appuntato"! Tranne che per P. concinnum Walker, 1873 di cui si dovrebbe conoscere solo la forma macrottera, tutte le altre ( guttula, aeneicolle, bicolor, sanguineum e albimaculata) dovrebbero essere quasi sempre brachittere, ma ovviamente si possono trovare anche esemplari macrotteri, ma con minor frequenza. Probabilmente, come al solito, potrei aver scritto qualche fesseria, ma vedrai che i "cimiciari" d.o.c.  sapranno dirti qualcosa di più serio.!  Grazie mille Leonardo, chiarissimo come sempre!! Ma P. albimaculata e P. concinnum sono presenti in Italia? 
_________________ "La compassione e l'empatia per il più piccolo degli animali, è una delle più nobili virtù che un uomo possa ricevere in dono." Charles Darwin
|
|
| Top |
|
 |
|