Benvenuto Ospite

Forum Entomologi Italiani

www.entomologiitaliani.net/forum
 
Oggi è 18/02/2026, 14:04

Tutti gli orari sono UTC + 1 ora [ ora legale ]

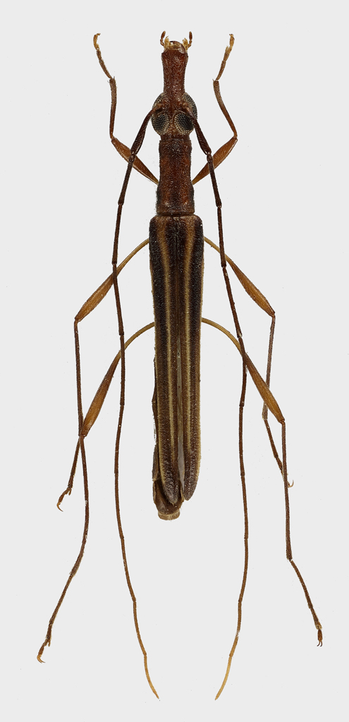
Rhinophthalmus parvus McKeown, 1942 - Cerambycidae Cerambycinae Uracanthini

XII.2000 - AUSTRALIA - EE, QLD, Brochfield (Brisbane)


nuovo argomento
rispondi
Pagina 1 di 1 [ 13 messaggi ]
Autore Messaggio
MessaggioInviato: 28/11/2012, 17:04 
Avatar utente

Iscritto il: 04/02/2009, 17:49
Messaggi: 5553
Località: Cagliari
Nome: Daniele Sechi
Questo mi è stato identificato come Rhinophthalmus sp. - Cerambycidae Cerambycinae Uracanthini

Corpo lungo 1 cm

Rhinophthalmus rid.jpg

Rhinophthalmus prof rid.jpg


_________________
:hi:
Daniele


Top
profilo
MessaggioInviato: 28/11/2012, 17:07 
Avatar utente

Iscritto il: 21/05/2010, 23:05
Messaggi: 2984
Località: San Godenzo (FI)
Nome: Carlo Massarone
Che bello!

_________________
Carlo Massarone


Top
profilo
MessaggioInviato: 28/11/2012, 18:40 
Avatar utente

Iscritto il: 16/09/2009, 22:40
Messaggi: 599
Località: Czech Republic
:sh: :sh: :sh: :sh: :sh: :sh: :sh:

_________________
Daniel

Ἦν τὸ φῶς τὸ ἀληθινόν, ὃ φωτίζει πάντα ἄνθρωπον, ἐρχόμενον εἰς τὸν κόσμον. (ΚΑΤΑ ΙΩΑΝΝΗΝ, 1,9)


Top
profilo
MessaggioInviato: 28/11/2012, 18:54 
Avatar utente

Iscritto il: 08/02/2010, 23:01
Messaggi: 6187
Località: Vicenza
Nome: Silvano Biondi
Un cerambicide con aspirazioni da curculionide

:hi:

_________________



Silvano


Top
profilo
MessaggioInviato: 28/11/2012, 22:57 
Avatar utente

Iscritto il: 01/07/2010, 22:26
Messaggi: 5661
Località: Viterbo
Nome: Marco Selis
Sembra un Oedemeride :o


Top
profilo
MessaggioInviato: 29/11/2012, 0:36 
Avatar utente

Iscritto il: 30/12/2009, 22:20
Messaggi: 31564
Località: Roma
Nome: Maurizio Gigli
Neanche sapevo esistessero bestie simili! L'Australia è proprio un altro mondo.

_________________
Maurizio Gigli
http://utenti.romascuola.net/bups
http://bup.xoom.it/


Top
profilo
MessaggioInviato: 29/11/2012, 18:20 
Avatar utente

Iscritto il: 05/08/2009, 18:02
Messaggi: 2264
Nome: Marcello Benelli
Un mondo privo di lepturini...

_________________
Marci
"S'i fosse fuoco, arderei 'l mondo,
S'i fosse vento, lo tempesterei,
S'i fosse acqua, i' l'annegherei
s'i fosse dio, mandereil' en profondo" ( Cecco Angiolieri).


Top
profilo
MessaggioInviato: 29/11/2012, 22:22 
Avatar utente

Iscritto il: 05/11/2012, 1:00
Messaggi: 460
Località: Cagliari
Nome: cesare ancona
beh... il nome Rhinophthalmus mi pare azzeccato... nomen omen!
devo veramente ringraziarvi per mettere tanti insetti bellissimi (e per contribuire in modo assai significativo alla mia acculturazione in materia)... sono davvero uno più bello ed interessante dell'altro! :hp:

_________________
sono l'asociale più socievole che conosca...


Top
profilo
MessaggioInviato: 08/12/2012, 21:26 
Avatar utente

Iscritto il: 28/07/2010, 11:11
Messaggi: 235
Località: Poland
Nome: Jacek Kurzawa
It is surely
Rhinophthalmus parvus McKeown, 1942


Top
profilo
MessaggioInviato: 08/12/2012, 22:23 
Avatar utente

Iscritto il: 30/12/2009, 22:20
Messaggi: 31564
Località: Roma
Nome: Maurizio Gigli
Entomarci ha scritto:
Un mondo privo di lepturini...

Annientati dalla concorrenza dei Buprestidi! :mrgreen:

_________________
Maurizio Gigli
http://utenti.romascuola.net/bups
http://bup.xoom.it/


Top
profilo
MessaggioInviato: 09/12/2012, 11:22 
Avatar utente

Iscritto il: 04/02/2009, 17:49
Messaggi: 5553
Località: Cagliari
Nome: Daniele Sechi
Phytoecia ha scritto:
It is surely
Rhinophthalmus parvus McKeown, 1942


Hi Jacek, how have you ID it? Have you got a species key or just looking on internet?

_________________
:hi:
Daniele


Top
profilo
MessaggioInviato: 09/12/2012, 12:44 
Avatar utente

Iscritto il: 28/07/2010, 11:11
Messaggi: 235
Località: Poland
Nome: Jacek Kurzawa
Good question!

I have description this species in McKeown 1942:
McKEOWN Keith C. 1942. Australian Insects: An introductory handbook Records of the Royal Zoological Society of New South Wales, Sydney : 1-304.

A complete list a members of genus RHINOPHTHALMUS is:

Rhinophthalmus elongaticeps (Blanchard, 1853)
Rhinophthalmus hyalinatus McKeown, 1942
Rhinophthalmus marginipennis Fairmaire, 1879
Rhinophthalmus modestus Blackburn, 1889
Rhinophthalmus nasutus (Shuckard, 1838)
Rhinophthalmus parvus McKeown, 1942
Rhinophthalmus striicollis Fairmaire, 1879

(not R.elongatus (sic!) as You was listed in yours topics: http://insectnet.proboards.com/index.cg ... post=24579
a list probably from „Australian Cerambycidae List (Longicorn Beetles)”?

Correct name:
RHINOPHTHALMUS ELONGATICEPS (BLANCHARD)
1853. Macrones elongaticeps Blanchard, Voy. Pole Sud, Zool., iv, p. 306, pl. 17, fig. 20 (col.). Tasmania.

Two species are the youngest: Rhinophthalmus hyalinatus McKeown, 1942 and Rhinophthalmus parvus McKeown, 1942. I enclose description of McKeown and his picture R.parvus McKeown, 1942

Cheers!


Rhinophthalmus parvus McKeown, 1942.jpg

Top
profilo
MessaggioInviato: 09/12/2012, 12:48 
Avatar utente

Iscritto il: 04/02/2009, 17:49
Messaggi: 5553
Località: Cagliari
Nome: Daniele Sechi
Thank you! :ok:

_________________
:hi:
Daniele


Top
profilo
Visualizza ultimi messaggi:  Ordina per  
nuovo argomento
rispondi
Pagina 1 di 1 [ 13 messaggi ]

Tutti gli orari sono UTC + 1 ora [ ora legale ]


Chi c’è in linea

Visitano il forum: Nessuno e 0 ospiti


Non puoi aprire nuovi argomenti
Non puoi rispondere negli argomenti
Non puoi modificare i tuoi messaggi
Non puoi cancellare i tuoi messaggi
Non puoi inviare allegati

Cerca per:
Vai a: