Benvenuto Ospite

Forum Entomologi Italiani

www.entomologiitaliani.net/forum
 
Oggi è 28/03/2026, 23:07

Tutti gli orari sono UTC + 1 ora [ ora legale ]

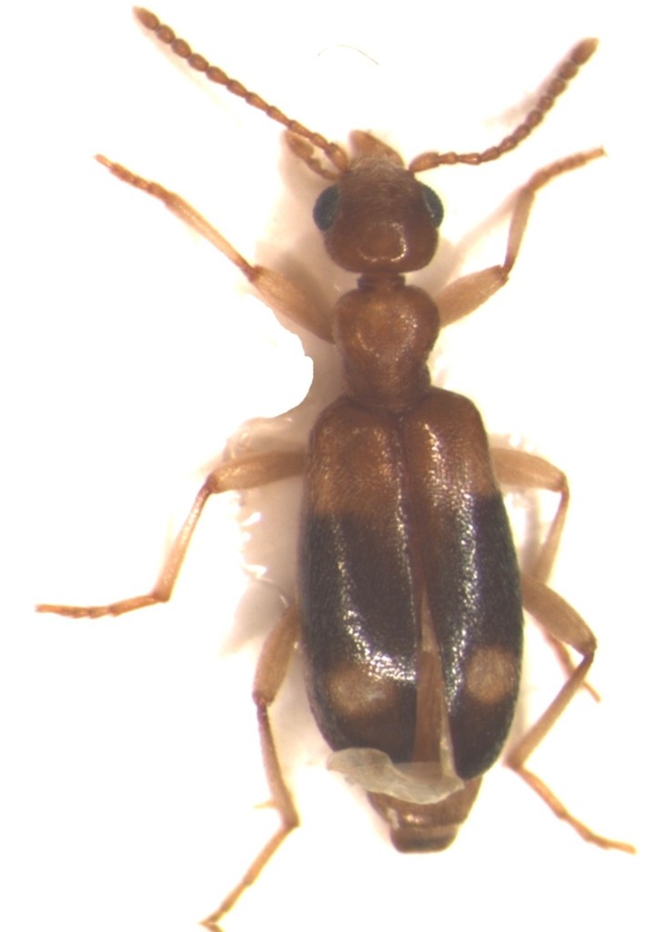
Stricticollis tobias (De Marseul, 1879) - Anthicidae - Veneto

11.XI.2008 - ITALIA - Veneto - VE, Campocroce di Mirano


nuovo argomento
rispondi
Vai alla pagina 1, 2  Prossimo
Pagina 1 di 2 [ 26 messaggi ]
Autore Messaggio
MessaggioInviato: 11/01/2010, 15:33 
Avatar utente

Iscritto il: 16/02/2009, 23:39
Messaggi: 1369
Località: Mirano (Venezia)
Nome: Enrico Ruzzier
raccolto nel giardino di casa mia :D , e devo dire che quel giorno erano a centinaia! ( e io quanti ne vado a raccogliere? solo 2 :devil: , e da allora mai più visti)
più precisamente nel letamaio e sulla neve che lo ricopriva! :shock:

raccolto il 11/11/2008, località Campocroce di Mirano (Ve)
La foto non è delle migliori, ma più di così.. :cry: :cry:
Bitmap in Grafica2.jpg


_________________
«Discendiamo da scimmie evolute, non da angeli caduti» Robert Ardrey


Top
profilo
MessaggioInviato: 11/01/2010, 16:00 
Avatar utente

Iscritto il: 21/05/2009, 14:59
Messaggi: 6995
Località: Parigi
Nome: Riccardo Poloni
a campocroce? e dire che ho cercato coleotteri anche lì, ma niente Anthicidi :mrgreen: :no1:

_________________
Riccardo Poloni
La dignità degli elementi
la libertà della poesia,
al di là dei tradimenti degli uomini
è magia, è magia, è magia...
Negrita, Rotolando verso sud


Top
profilo
MessaggioInviato: 11/01/2010, 16:04 
Avatar utente

Iscritto il: 16/02/2009, 23:39
Messaggi: 1369
Località: Mirano (Venezia)
Nome: Enrico Ruzzier
Qualcosa si trova :mrgreen: , ma non son bestie che mi interessano particolarmente :no1: :no1:

_________________
«Discendiamo da scimmie evolute, non da angeli caduti» Robert Ardrey


Top
profilo
MessaggioInviato: 11/01/2010, 16:16 
Avatar utente

Iscritto il: 21/05/2009, 14:59
Messaggi: 6995
Località: Parigi
Nome: Riccardo Poloni
ti interessano i mordellidi? ne raccolgo involontariamente un quantità da inizio marzo fino all'autunno con l'aspiratore e in altri modi, te li devo tenere? :D :)

_________________
Riccardo Poloni
La dignità degli elementi
la libertà della poesia,
al di là dei tradimenti degli uomini
è magia, è magia, è magia...
Negrita, Rotolando verso sud


Top
profilo
MessaggioInviato: 11/01/2010, 16:23 
Avatar utente

Iscritto il: 16/02/2009, 23:39
Messaggi: 1369
Località: Mirano (Venezia)
Nome: Enrico Ruzzier
sarebbe cosa estremamente gradita!!! :birra: Mi sevon più dati possibili per la fauna italiana!!! (non che rifiuti assoulutamente materiale da altri paesi, anzi..) :mrgreen:
C'è qualcosa che ti interessa particolarmente, così eventualmente vedo di ricambiare il favore ?:ok:

Magari posta qualche foto così vedo, nel possibile, di determinarli!! :gh:

_________________
«Discendiamo da scimmie evolute, non da angeli caduti» Robert Ardrey


Top
profilo
MessaggioInviato: 11/01/2010, 16:36 
Avatar utente

Iscritto il: 21/05/2009, 14:59
Messaggi: 6995
Località: Parigi
Nome: Riccardo Poloni
:ok: , se vedi Cerambycidi o Buprestidi sono graditi, ma non ti preocupare, a me non costa nulla, tanto anche se non li prendo apposta me li ritrovo nei barattolini lo stesso :mrgreen:

_________________
Riccardo Poloni
La dignità degli elementi
la libertà della poesia,
al di là dei tradimenti degli uomini
è magia, è magia, è magia...
Negrita, Rotolando verso sud


Top
profilo
MessaggioInviato: 11/01/2010, 16:37 
Avatar utente

Iscritto il: 16/02/2009, 23:39
Messaggi: 1369
Località: Mirano (Venezia)
Nome: Enrico Ruzzier
Vedrò ti trovarti qualche chicca :ok:

_________________
«Discendiamo da scimmie evolute, non da angeli caduti» Robert Ardrey


Top
profilo
MessaggioInviato: 11/01/2010, 16:39 
Avatar utente

Iscritto il: 08/06/2009, 0:06
Messaggi: 3415
Località: Feltre(BL)
Nome: Nicola Dal Zotto
Allora te li tengo da parte anch' io se ti interessano ;)
Anche perche tutti quelli che ho provato a preparare si sono frantumati :( :x :devil:
Nicola

_________________
Nicola Dal Zotto


Top
profilo
MessaggioInviato: 11/01/2010, 17:08 
Avatar utente

Iscritto il: 16/02/2009, 23:39
Messaggi: 1369
Località: Mirano (Venezia)
Nome: Enrico Ruzzier
La preparazione è difficile.. e per di più irritante :devil:
se gli esemplari sono morti in etere acetico la preparazione può esser fattibile, altrimenti rinuncia!! :dead:

_________________
«Discendiamo da scimmie evolute, non da angeli caduti» Robert Ardrey


Top
profilo
MessaggioInviato: 11/01/2010, 18:00 
Avatar utente

Iscritto il: 05/02/2009, 17:47
Messaggi: 7252
Località: Cagliari
Nome: Piero Leo
Attualmente ilo nome valido del genere è Stricticollis.
Vedi qui:
viewtopic.php?f=161&t=2940&start=0&hilit=stricticollis
:) Ciao
Piero


Top
profilo
MessaggioInviato: 11/01/2010, 18:06 
Avatar utente

Iscritto il: 06/02/2009, 9:03
Messaggi: 6379
Località: Bubano di Mordano (Bologna)
Nome: Augusto Degiovanni
Cita:
Attualmente ilo nome valido del genere è Stricticollis.
Vedi qui:
viewtopic.php?f=161&t=2940&start=0&hilit=stricticollis
Ciao
Piero


Bravissimo Piero :ok: .

Ciao Enrico,
specie inconfondibile, anche se fino ad ora era considerata una specie sporadica perchè trovata generalmente in pochi esemplari (fino a poco tempo fa, unica eccezzione l'abbondanza sui fanghi di scarico del depuratore di Roma, Bucciarelli, 1980) e in ambienti diversi. Questa cattura è un'ulteriore conferma del ritrovamento in Lombardia a Cerro Maggiore nei pressi di un letamaio (Bucciarelli, 1980). Sarebbe bello sapere se qualcun'altro ha fatto osservazioni su questo biotopo. So per certo che questa specie può essere catturata, e in serie mediante light-trapp, ne ho avuto una conferma nel 2000, ricevendone da Plutenko una grossa serie presa in Iran, poi nel 2005, il caro amico (Anostirius) Platia, mi ha dato delle provette con all'interno gli Anthicidae presi tramite queste trappole luminose in, ROMAGNA: S. Angelo, Gatteo, RM, VII-VIII. 2005, Leg. Platia, e tra questi vi erano circa una ventina di esemplari di questa specie.

_________________
CIAO :hi: Augusto Degiovanni

http://anthicidaeecarabidae.altervista.org


Top
profilo
MessaggioInviato: 11/01/2010, 18:18 
Avatar utente

Iscritto il: 16/02/2009, 23:39
Messaggi: 1369
Località: Mirano (Venezia)
Nome: Enrico Ruzzier
Ciao Piero, Ciao augusto

Ti ringrazio Piero per la precisazione del genere, ho controllato poco dopo aver postato questo topic.. se ero furbo potevo farlo prima :mrgreen:

Augusto, quello che mi ha stupito di più ti dico, non è stato il ritrovamento in se della specie dalle mie parti, quanto la strana situazione e il numero di esemplari in cui lo ho trovato!!
E' stata la prima e unica volta che mi è capitato di osservare anticidi sulla neve.. e pure notevolmente attivi! non ho idea se possano essersi radunati magari spinti dal tepore del materiale marcescente, fattostà che la montagna di "sfalci erbosi" era completamente brullicante!!!

:hi:

_________________
«Discendiamo da scimmie evolute, non da angeli caduti» Robert Ardrey


Top
profilo
MessaggioInviato: 11/01/2010, 18:20 
Avatar utente

Iscritto il: 08/06/2009, 0:06
Messaggi: 3415
Località: Feltre(BL)
Nome: Nicola Dal Zotto
Enrico Ruzzier ha scritto:
La preparazione è difficile.. e per di più irritante :devil:
se gli esemplari sono morti in etere acetico la preparazione può esser fattibile, altrimenti rinuncia!! :dead:


Per etere uso etere, ma rinuncio a prepararli... In bustina ti vanno bene?

_________________
Nicola Dal Zotto


Top
profilo
MessaggioInviato: 11/01/2010, 18:28 
Avatar utente

Iscritto il: 30/12/2009, 22:20
Messaggi: 31564
Località: Roma
Nome: Maurizio Gigli
Enrico, se ti servono Mordellidi del centro Italia, non ho problemi a metterteli da parte, visto che tra quelli che aspiro insieme ai Buprestidi floricoli e quelli che cadono nelle trappole gialle ne raccolgo sempre a centinaia ogni anno. Di solito li mando ad uno specialista francese, che mi manda Buprestidi africani, di cui lui non sa che farsene, ma se vuoi faccio metà e metà.
Ciao

_________________
Maurizio Gigli
http://utenti.romascuola.net/bups
http://bup.xoom.it/


Top
profilo
MessaggioInviato: 11/01/2010, 18:30 
Avatar utente

Iscritto il: 16/02/2009, 23:39
Messaggi: 1369
Località: Mirano (Venezia)
Nome: Enrico Ruzzier
meglio un pacchettino o simile in cui stiano fermi, altrimenti perdo antenne e palpi boccali, che sono importantissimi per l'identificazione.. sopratutto con le femmine !! :lol1:

grazie :hi:

_________________
«Discendiamo da scimmie evolute, non da angeli caduti» Robert Ardrey


Top
profilo
Visualizza ultimi messaggi:  Ordina per  
nuovo argomento
rispondi
Vai alla pagina 1, 2  Prossimo
Pagina 1 di 2 [ 26 messaggi ]

Tutti gli orari sono UTC + 1 ora [ ora legale ]


Chi c’è in linea

Visitano il forum: Nessuno e 0 ospiti


Non puoi aprire nuovi argomenti
Non puoi rispondere negli argomenti
Non puoi modificare i tuoi messaggi
Non puoi cancellare i tuoi messaggi
Non puoi inviare allegati

Cerca per:
Vai a: