Benvenuto Ospite

Forum Entomologi Italiani

www.entomologiitaliani.net/forum
 
Oggi è 21/12/2025, 7:27

Tutti gli orari sono UTC + 1 ora [ ora legale ]

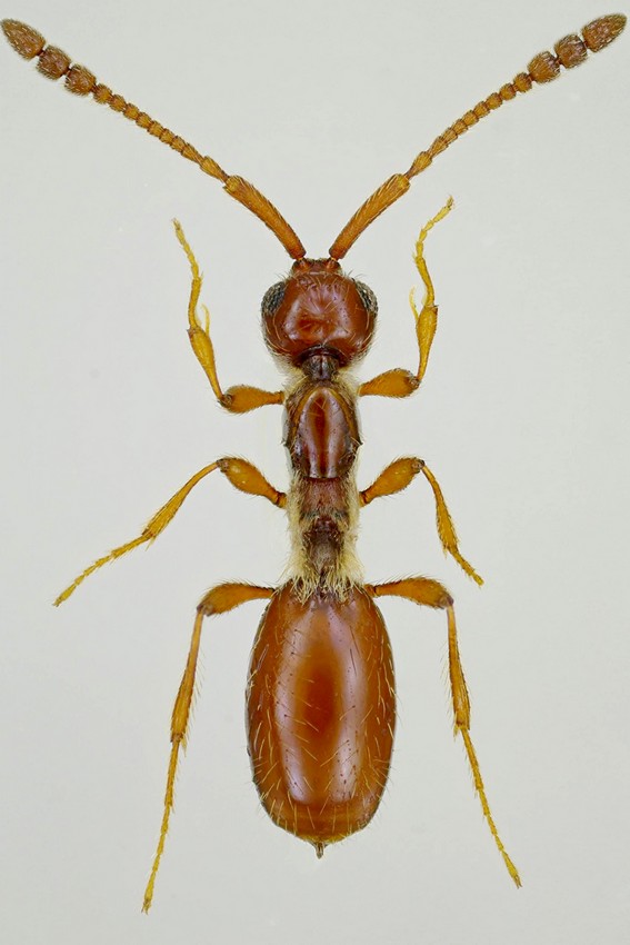
Proctotrupoidea sp.

5.IV.2013 - ITALIA - Sicilia - PA, Lago di Piana degli Albanesi (PA), 800m


nuovo argomento
rispondi
Pagina 1 di 1 [ 3 messaggi ]
Autore Messaggio
 Oggetto del messaggio: Proctotrupoidea sp.
MessaggioInviato: 26/04/2013, 16:58 
Avatar utente

Iscritto il: 06/02/2009, 9:03
Messaggi: 6374
Località: Bubano di Mordano (Bologna)
Nome: Augusto Degiovanni
Spero vada in questa sezione, mi sembra un imenottero ma non so a che famiglia appartenga. :roll: :oops: :roll: :oops:
Sul campo visto che "sò cecato" lo avevo scambiato per uno Pselaphidae in particolare visto le dimensioni a un Amaurops , pensa te (non avevo gli occhiali con me), ma sono stato prontamente smentito dall'occhio di falco (visto l'interesse che avevo creato) da Loris :gh: :gh:

Lunghezza: 2,3 mm

Imenottero.JPG


_________________
CIAO :hi: Augusto Degiovanni

http://anthicidaeecarabidae.altervista.org


Top
profilo
 Oggetto del messaggio: Re: Imenottero.....spero
MessaggioInviato: 26/04/2013, 18:28 
Avatar utente

Iscritto il: 02/02/2009, 23:32
Messaggi: 5645
Località: da Ferrara ad Alghero
Nome: Roberto A. Pantaleoni
Una delle famiglie dei vecchi Proctotrupoidei (adesso suddivisi anche in superfamiglie).

Roberto :to:

_________________
verum stabile cetera fumus


Top
profilo
 Oggetto del messaggio: Re: Imenottero.....spero
MessaggioInviato: 27/04/2013, 13:21 
Avatar utente

Iscritto il: 06/02/2009, 9:03
Messaggi: 6374
Località: Bubano di Mordano (Bologna)
Nome: Augusto Degiovanni
Grazie Roberto :ok:

_________________
CIAO :hi: Augusto Degiovanni

http://anthicidaeecarabidae.altervista.org


Top
profilo
Visualizza ultimi messaggi:  Ordina per  
nuovo argomento
rispondi
Pagina 1 di 1 [ 3 messaggi ]

Tutti gli orari sono UTC + 1 ora [ ora legale ]


Chi c’è in linea

Visitano il forum: Nessuno e 0 ospiti


Non puoi aprire nuovi argomenti
Non puoi rispondere negli argomenti
Non puoi modificare i tuoi messaggi
Non puoi cancellare i tuoi messaggi
Non puoi inviare allegati

Cerca per:
Vai a: