Benvenuto Ospite

Forum Entomologi Italiani

www.entomologiitaliani.net/forum
 
Oggi è 09/05/2026, 21:31

Tutti gli orari sono UTC + 1 ora [ ora legale ]

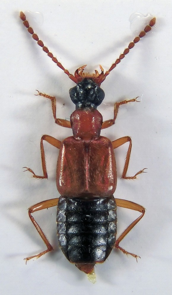
Deleaster dichrous (Gravenhorst, 1802) - Staphylinidae Oxytelinae

19.V.2013 - ITALIA - Umbria - PG, Monte Cucco (Sigillo)


nuovo argomento
rispondi
Pagina 1 di 1 [ 3 messaggi ]
Autore Messaggio
MessaggioInviato: 19/05/2013, 21:39 
Avatar utente

Iscritto il: 10/05/2009, 15:30
Messaggi: 7183
Località: Ancona
Nome: Giacomo Giovagnoli
Trovato oggi, 19.V.2013, in una passeggiata di un'oretta sul Monte Cucco (Sigillo, Perugia).

Credo sia un Deleaster dichrous (Gravenhorst, 1802)... :oops:

Dimensioni: 6mm
CIMG0557.jpg



Ciao :)

_________________
Immagine Giacomo


Top
profilo
MessaggioInviato: 19/05/2013, 21:46 
Avatar utente

Iscritto il: 05/02/2009, 17:31
Messaggi: 9527
Località: milano
Nome: maurizio pavesi
lo credo anch'io :ok: ...

_________________
*****************
Immagine maurizio


Top
profilo
MessaggioInviato: 19/05/2013, 21:52 
Avatar utente

Iscritto il: 10/05/2009, 15:30
Messaggi: 7183
Località: Ancona
Nome: Giacomo Giovagnoli
:birra: :lov1: :lov2:

_________________
Immagine Giacomo


Top
profilo
Visualizza ultimi messaggi:  Ordina per  
nuovo argomento
rispondi
Pagina 1 di 1 [ 3 messaggi ]

Tutti gli orari sono UTC + 1 ora [ ora legale ]


Chi c’è in linea

Visitano il forum: Nessuno e 1 ospite


Non puoi aprire nuovi argomenti
Non puoi rispondere negli argomenti
Non puoi modificare i tuoi messaggi
Non puoi cancellare i tuoi messaggi
Non puoi inviare allegati

Cerca per:
Vai a: