Benvenuto Ospite

Forum Entomologi Italiani

www.entomologiitaliani.net/forum
 
Oggi è 26/03/2026, 10:09

Tutti gli orari sono UTC + 1 ora [ ora legale ]

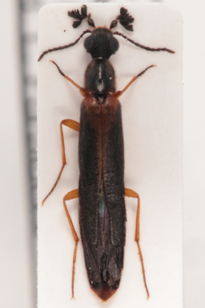
Lymexylon navale (Linnaeus, 1758) ♂ - Lymexylidae

16.VII.2013 - ITALIA - Toscana - LI, Marciana (LI) - Monte Capanne


nuovo argomento
rispondi
Vai alla pagina 1, 2  Prossimo
Pagina 1 di 2 [ 17 messaggi ]
Autore Messaggio
MessaggioInviato: 06/08/2013, 10:48 
Avatar utente

Iscritto il: 17/02/2009, 0:05
Messaggi: 8524
Località: Isola d'Elba - Arcipelago Toscano
Nome: Leonardo Forbicioni
Era ora che inserissi qualche bestiolina, altrimenti la mia collaborazione al forum potrebbe sembrare poco "fattiva". :dead:
Comunque, aspettavo di incontrare qualche bestiola insolita e, qualche settimana fa, grazie sempre al "magico ombrello-Apoderus"!!!! :lov2: .....battendo una pianta di Edera, mi è saltata giù questa strana bestiola. :gh: :gh:
La specie è già presente sul forum, ma sono tutte femmine!! :lol:
Credo invece che la bellezza in questo genere, risieda proprio nei palpi dei maschi!!! :hp: :hp:
Spero gradiate. :lov2: :lov2:

Lymexylon navale 1.JPG

Lymexylon navale 2.JPG

Lymexylon navale 3.JPG


_________________
"Stay hungry, stay foolish".
Steve Jobs, 2005
___________________
jjuniper8(at)gmail.com
Twitter: @weevil_forbix
cell. 339/5275910
___________________


Top
profilo
MessaggioInviato: 06/08/2013, 11:14 
Avatar utente

Iscritto il: 02/09/2009, 20:57
Messaggi: 8703
Località: Cagliari
Nome: Roberto Rattu
Molto bello, assolutamente particolare :birra: : quanto è lungo? 15/20 mm?


Top
profilo
MessaggioInviato: 06/08/2013, 11:14 
Avatar utente

Iscritto il: 04/02/2009, 17:49
Messaggi: 5557
Località: Cagliari
Nome: Daniele Sechi
Mi hai battuto sul tempo Leo! I miei esemplari però hanno 6 zampe :D

_________________
:hi:
Daniele


Top
profilo
MessaggioInviato: 06/08/2013, 11:18 
Avatar utente

Iscritto il: 22/05/2009, 21:00
Messaggi: 2781
Località: Pergine Valsugana (TN)
Nome: Andrea Carlin
:ok: BELLOOOOO veramente! :shock: :shock:

:birra: Grazie Leonardo :lov2:

_________________
Andrea Carlin, Pergine Valsugana (TN) carlin.andrea(AT)gmail.com

Nota: tutti gli esemplari inseriti nelle discussioni aperte da me sono da ritenere "Andrea Carlin legit" se non diversamente specificato.


Top
profilo
MessaggioInviato: 06/08/2013, 12:08 
Avatar utente

Iscritto il: 23/06/2010, 19:05
Messaggi: 2588
Località: Pescara
Nome: Alessio Morelli
Gradiamo, gradiamo :o . Gran bella bestiola, mi piacerebbe trovarla un giorno.


Top
profilo
MessaggioInviato: 06/08/2013, 16:08 
Avatar utente

Iscritto il: 30/12/2009, 22:20
Messaggi: 31564
Località: Roma
Nome: Maurizio Gigli
Ecco una di quelle bestie strane che ancora non mi sono capitate, e che non saprei nemmeno come cercare.

Le antenne sono veramente particolari. Quasi barocche!

_________________
Maurizio Gigli
http://utenti.romascuola.net/bups
http://bup.xoom.it/


Top
profilo
MessaggioInviato: 06/08/2013, 17:35 
Avatar utente

Iscritto il: 04/02/2009, 17:49
Messaggi: 5557
Località: Cagliari
Nome: Daniele Sechi
Maurizio, ti dico come li ho trovati in Alto Adige: in due abeti vicini, apparentemente uguali a molti altri della zona, svolazzavano i maschi; probabilmente sui rami alti stavano posate le femmine. Erano attivi nelle ore calde e nella parte esposta al sole. Hanno un volo curioso, stanno quasi in verticale durante il volo (come alcuni cerambicidi). Nonostante non avessi il retino (ero in un parco giochi per bambini) e gli esemplari volavano per lo più troppo in alto, ogni tanto qualcuno scendeva a portata di mano così ne ho preso una serietta tra cui anche una femmina. Nessuna attività invece negli alberi vicini o nelle cataste della zona. La situazione si è protratta per almeno 2 giorni.
Se ti interessa te ne metto da parte un esemplare. :)

_________________
:hi:
Daniele


Top
profilo
MessaggioInviato: 06/08/2013, 17:36 
Avatar utente

Iscritto il: 04/02/2009, 17:49
Messaggi: 5557
Località: Cagliari
Nome: Daniele Sechi
Julodis ha scritto:
Le antenne sono veramente particolari. Quasi barocche!


Sono i palpi ;)

_________________
:hi:
Daniele


Top
profilo
MessaggioInviato: 06/08/2013, 19:26 
Avatar utente

Iscritto il: 30/12/2009, 22:20
Messaggi: 31564
Località: Roma
Nome: Maurizio Gigli
Lapsus!

_________________
Maurizio Gigli
http://utenti.romascuola.net/bups
http://bup.xoom.it/


Top
profilo
MessaggioInviato: 06/08/2013, 19:27 
 

Iscritto il: 10/07/2010, 14:42
Messaggi: 4866
Nome: Giuseppe Pace
BRAVO Leonardo :ok:

Ciao
Giuseppe


Top
profilo
MessaggioInviato: 06/08/2013, 22:25 
Avatar utente

Iscritto il: 22/12/2009, 13:31
Messaggi: 9646
Località: Napoli
Nome: Francesco Izzillo
Complimenti Leonà, bella bestia! (e complimenti anche a Daniele!)

_________________
Francesco Izzillo


Top
profilo
MessaggioInviato: 07/08/2013, 19:04 
Avatar utente

Iscritto il: 11/11/2009, 20:54
Messaggi: 4857
Località: Pesaro
Nome: Marco Paglialunga
GRANDE LEO!! :shock: :shock: :shock:
Hoi tetù che bestioline stai tirando fori!! :mrgreen:

_________________
O voi ch'avete li 'ntelletti sani, mirate la dottrina che s'asconde sotto 'l velame de li versi strani
(InfeRRno - canto IX - vv. 61-63)


Top
profilo
MessaggioInviato: 07/08/2013, 19:20 
Avatar utente

Iscritto il: 30/12/2009, 22:20
Messaggi: 31564
Località: Roma
Nome: Maurizio Gigli
Daniele Sechi ha scritto:
Se ti interessa te ne metto da parte un esemplare. :)

Mica mi farebbe schifo!
L'unico Lymexylonidae che ho, mi pare venga dal SE asiatico!

_________________
Maurizio Gigli
http://utenti.romascuola.net/bups
http://bup.xoom.it/


Top
profilo
MessaggioInviato: 08/08/2013, 8:42 
Avatar utente

Iscritto il: 04/02/2009, 17:49
Messaggi: 5557
Località: Cagliari
Nome: Daniele Sechi
Julodis ha scritto:
Daniele Sechi ha scritto:
Se ti interessa te ne metto da parte un esemplare. :)

Mica mi farebbe schifo!
L'unico Lymexylonidae che ho, mi pare venga dal SE asiatico!


Aggiudicato! Gli devo fare i puntini neri sulle elitre?

_________________
:hi:
Daniele


Top
profilo
MessaggioInviato: 08/08/2013, 12:19 
Avatar utente

Iscritto il: 22/12/2009, 13:31
Messaggi: 9646
Località: Napoli
Nome: Francesco Izzillo
Daniele Sechi ha scritto:
Julodis ha scritto:
Daniele Sechi ha scritto:
Se ti interessa te ne metto da parte un esemplare. :)

Mica mi farebbe schifo!
L'unico Lymexylonidae che ho, mi pare venga dal SE asiatico!


Aggiudicato! Gli devo fare i puntini neri sulle elitre?

...e c'è bisogno di chiederlo?! :to:

_________________
Francesco Izzillo


Top
profilo
Visualizza ultimi messaggi:  Ordina per  
nuovo argomento
rispondi
Vai alla pagina 1, 2  Prossimo
Pagina 1 di 2 [ 17 messaggi ]

Tutti gli orari sono UTC + 1 ora [ ora legale ]


Chi c’è in linea

Visitano il forum: Nessuno e 0 ospiti


Non puoi aprire nuovi argomenti
Non puoi rispondere negli argomenti
Non puoi modificare i tuoi messaggi
Non puoi cancellare i tuoi messaggi
Non puoi inviare allegati

Cerca per:
Vai a: