Benvenuto Ospite

Forum Entomologi Italiani

www.entomologiitaliani.net/forum
 
Oggi è 22/12/2025, 20:24

Tutti gli orari sono UTC + 1 ora [ ora legale ]

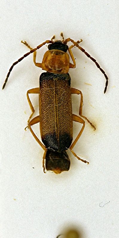
Cratosilis laeta (Fabricius, 1792) - Cantharidae - Sasso Marconi (BO)

1.V.2006 - ITALIA - Emilia-Romagna - BO, Sasso Marconi - Palazzo Rossi


nuovo argomento
rispondi
Pagina 1 di 1 [ 3 messaggi ]
Autore Messaggio
MessaggioInviato: 04/02/2010, 21:16 
Avatar utente

Iscritto il: 05/02/2009, 17:25
Messaggi: 4894
Località: Zola Predosa (BO)
Nome: Loris Colacurcio
....o Lampyride ?? :?

E' una bestiola che incontro occasionalmente sfalciando le numerose graminacee che crescono nella mia "amata" località. Qualcuno di voi la conosce o almeno può darmi delle dritte per capire a quale famiglia appartenga ??

Sasso Marconi (BO) - Palazzo Rossi, 01.V.2006
Lunghezza: 7 mm. circa
(Lampyridi) Luciola 1.JPG


_________________
Loris


Top
profilo
 Oggetto del messaggio: Re: Cantharide ? Sasso Marconi (BO)
MessaggioInviato: 04/02/2010, 21:30 
Avatar utente

Iscritto il: 10/05/2009, 15:30
Messaggi: 7182
Località: Ancona
Nome: Giacomo Giovagnoli
E' una Cantharidae; direi Cratosilis laeta (vedi qui su NM)...

Ciao :)

_________________
Immagine Giacomo


Top
profilo
 Oggetto del messaggio: Re: Cantharide ? Sasso Marconi (BO)
MessaggioInviato: 04/02/2010, 21:38 
Avatar utente

Iscritto il: 05/02/2009, 17:25
Messaggi: 4894
Località: Zola Predosa (BO)
Nome: Loris Colacurcio
Grazie !! Sembra proprio lei..... :ok:

_________________
Loris


Top
profilo
Visualizza ultimi messaggi:  Ordina per  
nuovo argomento
rispondi
Pagina 1 di 1 [ 3 messaggi ]

Tutti gli orari sono UTC + 1 ora [ ora legale ]


Chi c’è in linea

Visitano il forum: Nessuno e 0 ospiti


Non puoi aprire nuovi argomenti
Non puoi rispondere negli argomenti
Non puoi modificare i tuoi messaggi
Non puoi cancellare i tuoi messaggi
Non puoi inviare allegati

Cerca per:
Vai a: