| Autore |
Messaggio |
|
Julodis
|
Inviato: 24/02/2013, 12:55 |
|
Iscritto il: 30/12/2009, 22:20 Messaggi: 31564 Località: Roma
Nome: Maurizio Gigli
|
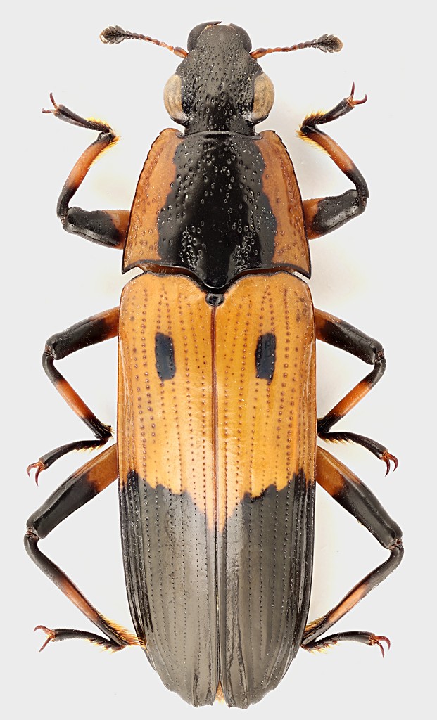
Ecco una famiglia esotica di cui mancava ancora una rappresentanza sul Forum. Comincio con questa specie africana, che credo di aver determinato correttamente. Helota africana Olliff, 1884 Cameroun, Mbalmayo, Obout, 21.XII.1999, J. Mbida Mbida legit 17 mm Qui c'è la descrizione e la chiave per tutte le specie africane allora note di questo genere.
|
|
| Top |
|
 |
|
Enrico Ruzzier
|
Inviato: 24/02/2013, 16:32 |
|
Iscritto il: 16/02/2009, 23:39 Messaggi: 1372 Località: Mirano (Venezia)
Nome: Enrico Ruzzier
|
Ciao Maurzio, Intanto complimenti per la foto, vermente bella! La determinazione credo proprio sia corretta! Ho avuto modo di vedere un discreto numero di Helotidae di Guinea spagnola e golfo d'Africa determinati e non. Sfortunamnte al momeno non c'è nessuno che si occupi di questa famiglia per la fauna Africana. 
_________________ «Discendiamo da scimmie evolute, non da angeli caduti» Robert Ardrey
|
|
| Top |
|
 |
|
Julodis
|
Inviato: 24/02/2013, 16:43 |
|
Iscritto il: 30/12/2009, 22:20 Messaggi: 31564 Località: Roma
Nome: Maurizio Gigli
|
|
Grazie Enrico. Ho notato infatti che l'unico che da circa un secolo a questa parte si azzarda a scrivere qualcosa su questa famiglia è Chi-Feng Lee, di Taiwan. Per il resto, sono quasi tutti lavori di Ritsema, di fine '800, inizio '900.
Ho ricevuto alcuni esemplari, nel corso degli anni, da Africa ed Asia, scambiati ed inviatimi per Buprestidi, e pian piano ho cominciato a raccoglierli, quando capitano (raramente).
|
|
| Top |
|
 |
|
Enrico Ruzzier
|
Inviato: 24/02/2013, 16:55 |
|
Iscritto il: 16/02/2009, 23:39 Messaggi: 1372 Località: Mirano (Venezia)
Nome: Enrico Ruzzier
|
Chi-Feng tratta solamente fauna orientale e credo che possa essere interessato a studiare il tuo materale asiatico. Il materiale africano è un terno al lotto... 
_________________ «Discendiamo da scimmie evolute, non da angeli caduti» Robert Ardrey
|
|
| Top |
|
 |
|
Julodis
|
Inviato: 24/02/2013, 23:43 |
|
Iscritto il: 30/12/2009, 22:20 Messaggi: 31564 Località: Roma
Nome: Maurizio Gigli
|
Enrico Ruzzier ha scritto: Chi-Feng tratta solamente fauna orientale e credo che possa essere interessato a studiare il tuo materale asiatico. Il materiale africano è un terno al lotto...  Ho ancora molto poco, ma sto tenendo gli occhi aperti per rimediarne altri. Intanto sto recuperando anche bibliografia. Un gruppo così piccolo è l'ideale da studiare a tempo perso come interesse secondario. Anzi, credo che metterò quel che ho trovato sul Forum, così magari qualcuno può aggiungere altro.
|
|
| Top |
|
 |
|
Enrico Ruzzier
|
Inviato: 06/10/2013, 17:08 |
|
Iscritto il: 16/02/2009, 23:39 Messaggi: 1372 Località: Mirano (Venezia)
Nome: Enrico Ruzzier
|
Ricontrollando adesso la letteratura il nome attualmente corretto è Afrohelotina africana Olliff, 1884 
_________________ «Discendiamo da scimmie evolute, non da angeli caduti» Robert Ardrey
|
|
| Top |
|
 |
|