Benvenuto Ospite

Forum Entomologi Italiani

www.entomologiitaliani.net/forum
 
Oggi è 23/03/2026, 19:32

Tutti gli orari sono UTC + 1 ora [ ora legale ]

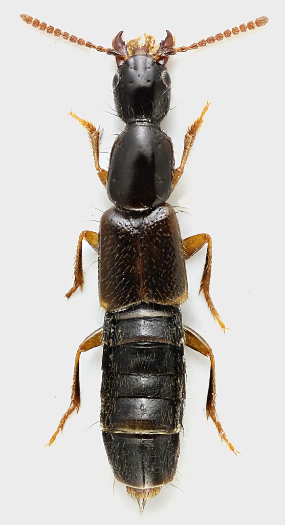
Othius laeviusculus Stephens, 1832 - Staphylinidae - Xantholinae

25.XI.2013 - ITALIA - Lazio - RM, Via di Settebagni


nuovo argomento
rispondi
Pagina 1 di 1 [ 3 messaggi ]
Autore Messaggio
MessaggioInviato: 07/12/2013, 22:38 
Avatar utente

Iscritto il: 30/12/2009, 22:20
Messaggi: 31564
Località: Roma
Nome: Maurizio Gigli
Sempre nei detriti galleggianti nel prato allagato. Un altro degli innumerevoli Staphylinidae.

Prima di fotografarlo mi sembrava molto simile a quest'altro. Ma vedendolo in foto le mandibole sono molto diverse (ed anche molte altre caratteristiche). Non so neanche se appartiene allo stesso genere!

Lazio, Roma, Via di Settebagni, 25.XI.2013, M. Gigli legit

5,7 mm

Staphylinidae_Settebagni_25-XI-2013_07_5,7mm_grey.jpg


_________________
Maurizio Gigli
http://utenti.romascuola.net/bups
http://bup.xoom.it/


Top
profilo
 Oggetto del messaggio: Re: Ochthephilum ? - Staphylinidae
MessaggioInviato: 08/12/2013, 12:16 
Avatar utente

Iscritto il: 09/11/2009, 14:12
Messaggi: 5196
Località: Hradec Kralove,Czech republik
Nome: Jan Matějíček
:no: Ochtephilum (Paederinae)
esso Xantholino

Othius laeviusculus Stephens, 1832 - Staphylinidae - Xantholinae

_________________
Research Fields
Taxonomy, ecology, biomonitoring , faunistic of Staphylinidae


Top
profilo
 Oggetto del messaggio: Re: Ochthephilum ? - Staphylinidae
MessaggioInviato: 08/12/2013, 16:43 
Avatar utente

Iscritto il: 30/12/2009, 22:20
Messaggi: 31564
Località: Roma
Nome: Maurizio Gigli
Grazie Jan. Questi Staphylinidae sono difficilissimi!

_________________
Maurizio Gigli
http://utenti.romascuola.net/bups
http://bup.xoom.it/


Top
profilo
Visualizza ultimi messaggi:  Ordina per  
nuovo argomento
rispondi
Pagina 1 di 1 [ 3 messaggi ]

Tutti gli orari sono UTC + 1 ora [ ora legale ]


Chi c’è in linea

Visitano il forum: Nessuno e 2 ospiti


Non puoi aprire nuovi argomenti
Non puoi rispondere negli argomenti
Non puoi modificare i tuoi messaggi
Non puoi cancellare i tuoi messaggi
Non puoi inviare allegati

Cerca per:
Vai a: