Benvenuto Ospite

Forum Entomologi Italiani

www.entomologiitaliani.net/forum
 
Oggi è 22/12/2025, 10:02

Tutti gli orari sono UTC + 1 ora [ ora legale ]

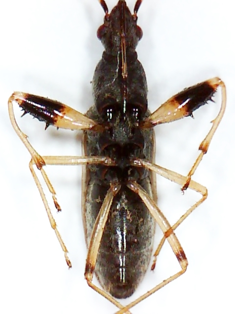
Paraparomius leptopoides (Baeresprung, 1859) - Lygaeidae

21.I.2014 - SVIZZERA - EE, Lugano-Ticino


nuovo argomento
rispondi
Pagina 1 di 1 [ 4 messaggi ]
Autore Messaggio
MessaggioInviato: 21/01/2014, 20:42 
Avatar utente

Iscritto il: 10/04/2012, 21:45
Messaggi: 873
Località: Lugano (Ti/CH)
Nome: Mattia Bianchini
Trovata nel terreno quasi paludoso.

Lunghezza: 6 mm.

Grazie, :hi:
7.jpg



1.jpg

6.jpg

2.jpg

Top
profilo
 Oggetto del messaggio: Re: Hemiptera da ID
MessaggioInviato: 21/01/2014, 20:45 
 

Iscritto il: 10/07/2010, 14:42
Messaggi: 4826
Nome: Giuseppe Pace
Lygaeidae: Paraparomius leptopoides

Ciao
Giuseppe


Top
profilo
 Oggetto del messaggio: Re: Hemiptera da ID
MessaggioInviato: 21/01/2014, 20:50 
Avatar utente

Iscritto il: 10/04/2012, 21:45
Messaggi: 873
Località: Lugano (Ti/CH)
Nome: Mattia Bianchini
Grazie, :hi:


Top
profilo
 Oggetto del messaggio: Re: Hemiptera da ID
MessaggioInviato: 03/02/2014, 16:13 
Avatar utente

Iscritto il: 05/02/2009, 17:34
Messaggi: 894
Località: Sondrio - Lombardia - Italia
Nome: Paride Dioli
giuseppe55 ha scritto:
Lygaeidae: Paraparomius leptopoides

Ciao
Giuseppe



:ok: certo!

_________________
Link: https://www.ndsu.edu/pubweb/~rider/Pentatomoidea/Researchers/Dioli_Paride.htm
Papers in PDF format: https://www.researchgate.net/profile/Paride_Dioli/?ev=hdr_xprf/


Top
profilo
Visualizza ultimi messaggi:  Ordina per  
nuovo argomento
rispondi
Pagina 1 di 1 [ 4 messaggi ]

Tutti gli orari sono UTC + 1 ora [ ora legale ]


Chi c’è in linea

Visitano il forum: Nessuno e 1 ospite


Non puoi aprire nuovi argomenti
Non puoi rispondere negli argomenti
Non puoi modificare i tuoi messaggi
Non puoi cancellare i tuoi messaggi
Non puoi inviare allegati

Cerca per:
Vai a: