Benvenuto Ospite

Forum Entomologi Italiani

www.entomologiitaliani.net/forum
 
Oggi è 19/03/2026, 18:22

Tutti gli orari sono UTC + 1 ora [ ora legale ]

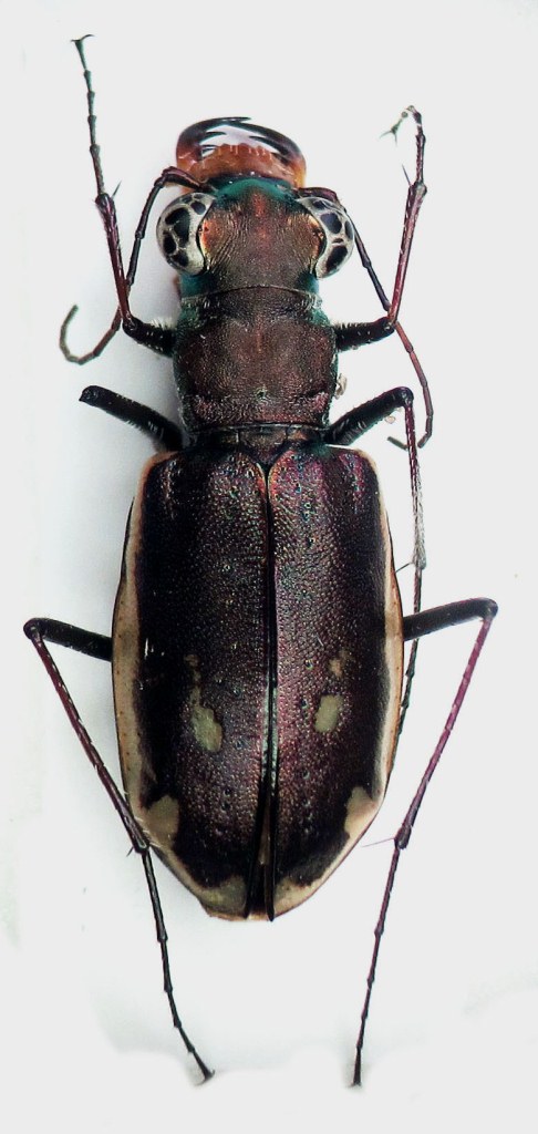
Cephalota (Taenidia) tibialis lyoni (Vigors, 1825) - Carabidae Cicindelinae - Tunisia

20.VII.2013 - TUNISIA - EE, Cap Serrat


nuovo argomento
rispondi
Pagina 1 di 1 [ 6 messaggi ]
Autore Messaggio
MessaggioInviato: 26/01/2014, 8:08 
Avatar utente

Iscritto il: 28/08/2009, 13:45
Messaggi: 1950
Località: Ginevra, Svizzera
Nome: Guido Sabatinelli
Una bella cicindela difficile da catturare con le mani....
Se la mia identificazione è giusta si tratta di una new entry per il Forum!


Cephalota (Taenidia) tibialis (Dejean, 1822).JPG


_________________
Guido Sabatinelli
Museo di storia naturale, Ginevra, Svizzera
http://www.glaphyridae.com
http://www.scarabeidi.it
Top
profilo
MessaggioInviato: 26/01/2014, 8:37 
Avatar utente

Iscritto il: 30/12/2009, 22:20
Messaggi: 31564
Località: Roma
Nome: Maurizio Gigli
Bella bestia, dal disegno particolare. Purtroppo io non sono in grado di confermarti la specie.
Tutti gli esemplari avevano il margine elitrale così conformato, o solo questo?

_________________
Maurizio Gigli
http://utenti.romascuola.net/bups
http://bup.xoom.it/


Top
profilo
MessaggioInviato: 26/01/2014, 16:19 
Avatar utente

Iscritto il: 28/08/2009, 13:45
Messaggi: 1950
Località: Ginevra, Svizzera
Nome: Guido Sabatinelli
Julodis ha scritto:
Bella bestia, dal disegno particolare. Purtroppo io non sono in grado di confermarti la specie.
Tutti gli esemplari avevano il margine elitrale così conformato, o solo questo?

Ne ho raccolto solo un esemplare perchè mi sembrava non fosse interessante....

_________________
Guido Sabatinelli
Museo di storia naturale, Ginevra, Svizzera
http://www.glaphyridae.com
http://www.scarabeidi.it


Top
profilo
MessaggioInviato: 26/01/2014, 16:40 
Avatar utente

Iscritto il: 05/02/2009, 17:31
Messaggi: 9527
Località: milano
Nome: maurizio pavesi
Guido Sabatinelli ha scritto:
Ne ho raccolto solo un esemplare perchè mi sembrava non fosse interessante....

:war0:

Cephalota (Taenidia) tibialis lyoni (Vigors, 1825)

già Cephalota lyoni ;)

_________________
*****************
Immagine maurizio


Top
profilo
MessaggioInviato: 26/01/2014, 16:46 
 

Iscritto il: 05/08/2013, 19:10
Messaggi: 104
Nome: Wael Ben Aba
Elle côtoie L.flexuosa le long de la rivière de Cap serrat ainsi que sur la plage ! tu l'as trouvé près de la rivière Guido ?


Top
profilo
MessaggioInviato: 26/01/2014, 18:58 
Avatar utente

Iscritto il: 28/08/2009, 13:45
Messaggi: 1950
Località: Ginevra, Svizzera
Nome: Guido Sabatinelli
Wael ha scritto:
Elle côtoie L.flexuosa le long de la rivière de Cap serrat ainsi que sur la plage ! tu l'as trouvé près de la rivière Guido ?

Oui le long de la rivière.


Top
profilo
Visualizza ultimi messaggi:  Ordina per  
nuovo argomento
rispondi
Pagina 1 di 1 [ 6 messaggi ]

Tutti gli orari sono UTC + 1 ora [ ora legale ]


Chi c’è in linea

Visitano il forum: Nessuno e 14 ospiti


Non puoi aprire nuovi argomenti
Non puoi rispondere negli argomenti
Non puoi modificare i tuoi messaggi
Non puoi cancellare i tuoi messaggi
Non puoi inviare allegati

Cerca per:
Vai a: