Benvenuto Ospite

Forum Entomologi Italiani

www.entomologiitaliani.net/forum
 
Oggi è 07/02/2026, 21:02

Tutti gli orari sono UTC + 1 ora [ ora legale ]

Agapanthia probsti Holzschuh, 1984 - Cerambycidae

23.II.2014 - GRECIA - EE, Chora Sfakion (Creta)


nuovo argomento
rispondi
Pagina 1 di 1 [ 10 messaggi ]
Autore Messaggio
MessaggioInviato: 23/02/2014, 12:21 
Avatar utente

Iscritto il: 05/08/2009, 18:02
Messaggi: 2264
Nome: Marcello Benelli
Sfarfallata oggi da un fusticino di asphodeline raccolto a fine Maggio 2013 a Creta. :hp: :hp: :hp:
Sono davvero molto soddisfatto di questa nascita perchè avevamo trovato un campo di asfodeli letteralmente infestato da questo bellissimo insetto, ma si trattava di piante appena attaccate e le larvette erano davvero infinitesimali (considerate ch egli adulti sono attivi in Aprile, è ragionevole supporre che le deposizioni fossero state fatte a fine mese e le larve si fossero schiuse nella prima quindicina di Maggio...).
La probabilità che i fusti di asfodelo così prelevati, caricati in stiva e mantenuti circa 9 mesi in laboratorio cercando di preservare le giuste condizioni per lo sviluppo delle larve dessero questo risultato erano piuttosto scarse.
Ho mantenuto i fusti dentro un vaso riempiendo di terra la parte basale e nebulizzando acqua almeno una volta alla settimana cercando di mantenere un tasso di umidità costante.
Speriamo che seguano altri sfarfallamenti!
L'ambiente di raccolta, Chora Sfakion, è un ambiente submontano che digrada rapidamente sul mare, molto assolato con terreno piuttosto brullo e roccioso. La vegetazoine dominante sono immense distese di asfodeli, probabilmente durante la stagione giusta deve pullulare letteralmente di agapanthia cretica!
tn_DSCN1404.JPG





tn_IMG_4581.JPG


_________________
Marci
"S'i fosse fuoco, arderei 'l mondo,
S'i fosse vento, lo tempesterei,
S'i fosse acqua, i' l'annegherei
s'i fosse dio, mandereil' en profondo" ( Cecco Angiolieri).


Top
profilo
MessaggioInviato: 23/02/2014, 14:26 
Avatar utente

Iscritto il: 23/04/2010, 15:29
Messaggi: 604
Località: Morgano (TV)
Nome: Michele Carraretto
Davero bravo Marcello. Deve essere davvero una bella soddisfazione, oltre che per l'insetto, anche per la scommessa vinta (di portare a termine lo sviluppo). Compliment!!!
:hi: michele

PS: le larve stanno alla base del fusto, vicino alle radici o più semplicemente alla metà del fusto?


Top
profilo
MessaggioInviato: 23/02/2014, 14:47 
Avatar utente

Iscritto il: 23/04/2010, 15:29
Messaggi: 604
Località: Morgano (TV)
Nome: Michele Carraretto
Scusa Marcelli, ma è una A. cretica o una Agapanthia probsti Holzschuh, 1984? :oops:
:hi: michele


Top
profilo
MessaggioInviato: 23/02/2014, 14:53 
Avatar utente

Iscritto il: 05/08/2009, 18:02
Messaggi: 2264
Nome: Marcello Benelli
michele.carraretto ha scritto:
Scusa Marcelli, ma è una A. cretica o una Agapanthia probsti Holzschuh, 1984? :oops:
:hi: michele


A me sembra la cretica...hai dei dubbi?

_________________
Marci
"S'i fosse fuoco, arderei 'l mondo,
S'i fosse vento, lo tempesterei,
S'i fosse acqua, i' l'annegherei
s'i fosse dio, mandereil' en profondo" ( Cecco Angiolieri).


Top
profilo
MessaggioInviato: 23/02/2014, 16:23 
Avatar utente

Iscritto il: 23/04/2010, 15:29
Messaggi: 604
Località: Morgano (TV)
Nome: Michele Carraretto
No, non ho mai visto ne l'una e ne l'altra, solo che mi sembrava molto scura, mentre la cretica mi sembrava fosse più chiara. Come ripeto, non le conosco e quindi ...
:hi: michele


Top
profilo
MessaggioInviato: 23/02/2014, 20:24 
Avatar utente

Iscritto il: 18/09/2009, 17:23
Messaggi: 217
Località: Czech rep.
Nome: Jan Hrbek
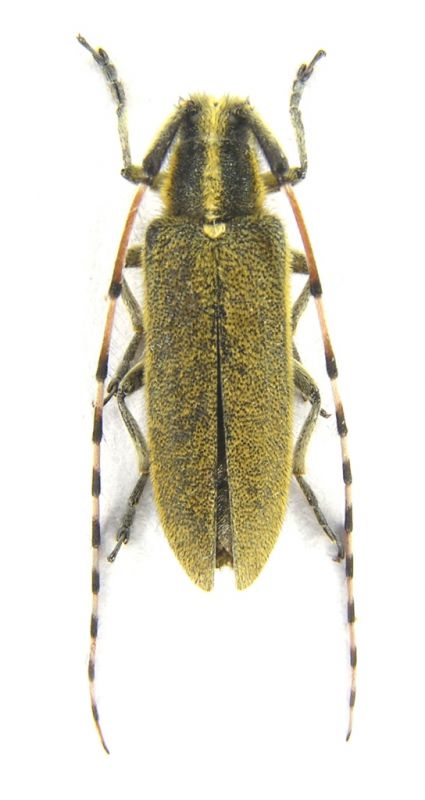
This is Agapanthia probsti - host plant Asphodeline lutea and Asphodeline liburnica.
Host plant of Agapanthia cretica is Asphodelus aestivus.

A. probsti is smaller, has "flat" body and elytrae have distinct yellow stripe on lateral margin.. A. cretica is larger, more robust and quite similar to A. asphodeli or A. dahli..


Agapanthia cretica
Agapanthia cretica.JPG

Agapanthia probsti
Agapanthia_probsti.JPG


_________________
Cerambycidae of Western palearctic region
http://www.cerambycidae-hrbek.cz
Top
profilo
MessaggioInviato: 23/02/2014, 21:06 
Avatar utente

Iscritto il: 05/08/2009, 18:02
Messaggi: 2264
Nome: Marcello Benelli
È vero...è la probsti...
Fantastico!
Non ci speravo mica! :hp:

_________________
Marci
"S'i fosse fuoco, arderei 'l mondo,
S'i fosse vento, lo tempesterei,
S'i fosse acqua, i' l'annegherei
s'i fosse dio, mandereil' en profondo" ( Cecco Angiolieri).


Top
profilo
MessaggioInviato: 23/02/2014, 21:27 
Avatar utente

Iscritto il: 23/04/2010, 15:29
Messaggi: 604
Località: Morgano (TV)
Nome: Michele Carraretto
Bel colpo :ok: :ok: :ok:
:hi: michele


Top
profilo
MessaggioInviato: 24/02/2014, 8:13 
Avatar utente

Iscritto il: 30/12/2009, 22:20
Messaggi: 31564
Località: Roma
Nome: Maurizio Gigli
In quella zona ci sono stato tanti anni fa a luglio. Era praticamente un deserto con temperature proibitive, e quel poco che ci sono stato, prima di rifugiarmi sul versante Nord dell'isola, non ci ho trovato praticamente niente in giro. A saperlo mi portavo a casa qualche fusto secco di Asphodeline!

Una domanda: ricordo di aver trovato delle tracce di probabile Agapanthia sulle Asphodeline lutea del nostro Appennino. Sapete quale delle nostre specie la attacca? La asphodeli, anche se credo sia limitata alla zona costiera, la villosoviridescens o la solita cardui?

_________________
Maurizio Gigli
http://utenti.romascuola.net/bups
http://bup.xoom.it/


Top
profilo
MessaggioInviato: 01/03/2014, 23:08 
Avatar utente

Iscritto il: 21/05/2009, 14:59
Messaggi: 6994
Località: Parigi
Nome: Riccardo Poloni
La villosovirdiscescens non so, ma la cardui sta su tutto praticamente, quindi forse anche sull'Asphodeline :D :) .

_________________
Riccardo Poloni
La dignità degli elementi
la libertà della poesia,
al di là dei tradimenti degli uomini
è magia, è magia, è magia...
Negrita, Rotolando verso sud


Top
profilo
Visualizza ultimi messaggi:  Ordina per  
nuovo argomento
rispondi
Pagina 1 di 1 [ 10 messaggi ]

Tutti gli orari sono UTC + 1 ora [ ora legale ]


Chi c’è in linea

Visitano il forum: Nessuno e 5 ospiti


Non puoi aprire nuovi argomenti
Non puoi rispondere negli argomenti
Non puoi modificare i tuoi messaggi
Non puoi cancellare i tuoi messaggi
Non puoi inviare allegati

Cerca per:
Vai a: