Benvenuto Ospite

Forum Entomologi Italiani

www.entomologiitaliani.net/forum
 
Oggi è 17/12/2025, 14:44

Tutti gli orari sono UTC + 1 ora [ ora legale ]

Camptopus lateralis (Germar, 1817) - Alydidae

 


nuovo argomento
rispondi
Pagina 1 di 1 [ 4 messaggi ]
Autore Messaggio
MessaggioInviato: 22/02/2010, 19:21 
Avatar utente

Iscritto il: 12/10/2009, 9:27
Messaggi: 59
Località: Bastia
Nome: Danio Miserocchi
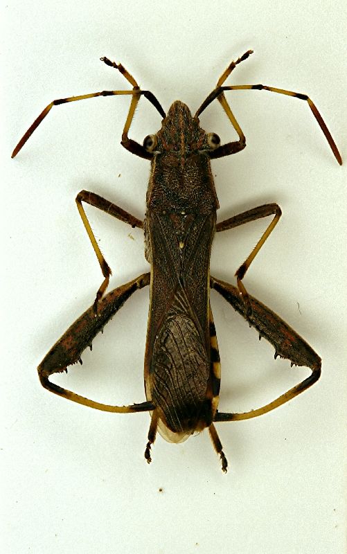
Svernava sotto la corteccia di un pino, è lui?


P2080129.JPG

P2080131.JPG


_________________
Sulle grandi ali colorate
di bellissime farfalle, volerò.
Seguendo le formiche
in fila indiana marcerò,
poi ruberò il violino alla cicala e suonerò
e chi mi ascolterà canterà con me!

A. Celentano
Top
profilo
MessaggioInviato: 22/02/2010, 22:54 
Avatar utente

Iscritto il: 01/11/2009, 9:51
Messaggi: 2330
Nome: Andrea Rattu
Ciao Danio :) . Si, è un Camptopus lateralis.
Qualche settimana fa, ne ho trovato qualcuno svernante sotto la corteccia di un Eucaliptus...

_________________
Se gettassi su di un piatto della bilancia tutto ciò che ho imparato a comprendere in quelle ore di meditazione di fronte all'acquario, e sull'altro tutto ciò che ho ricavato dai libri, come rimarrebbe leggero il secondo!
Konrad Lorenz


Top
profilo
MessaggioInviato: 23/02/2010, 23:54 
Avatar utente

Iscritto il: 12/10/2009, 9:27
Messaggi: 59
Località: Bastia
Nome: Danio Miserocchi
Grazie mille Andrea! Corro subito a nominarlo, è un mediterraneo il nostro amico! ;) :ok:

_________________
Sulle grandi ali colorate
di bellissime farfalle, volerò.
Seguendo le formiche
in fila indiana marcerò,
poi ruberò il violino alla cicala e suonerò
e chi mi ascolterà canterà con me!

A. Celentano


Top
profilo
MessaggioInviato: 25/02/2010, 22:19 
Avatar utente

Iscritto il: 05/02/2009, 17:25
Messaggi: 4894
Località: Zola Predosa (BO)
Nome: Loris Colacurcio
...anche io l'ho trovato proprio in questi giorni; sotto corteccia di platano.
:birra:

Sasso Marconi (BO) - Palazzo Rossi, 22.II.2010
Heterottero n3 Camptopus lateralis.JPG


_________________
Loris


Top
profilo
Visualizza ultimi messaggi:  Ordina per  
nuovo argomento
rispondi
Pagina 1 di 1 [ 4 messaggi ]

Tutti gli orari sono UTC + 1 ora [ ora legale ]


Chi c’è in linea

Visitano il forum: Nessuno e 0 ospiti


Non puoi aprire nuovi argomenti
Non puoi rispondere negli argomenti
Non puoi modificare i tuoi messaggi
Non puoi cancellare i tuoi messaggi
Non puoi inviare allegati

Cerca per:
Vai a: