Benvenuto Ospite

Forum Entomologi Italiani

www.entomologiitaliani.net/forum
 
Oggi è 15/02/2026, 23:31

Tutti gli orari sono UTC + 1 ora [ ora legale ]

Plinthisus (Plinthisus) longicollis Fieber 1861 - Lygaeidae - Sasso Marconi



nuovo argomento
rispondi
Pagina 1 di 1 [ 2 messaggi ]
Autore Messaggio
MessaggioInviato: 15/02/2010, 23:37 
Avatar utente

Iscritto il: 05/02/2009, 17:25
Messaggi: 4894
Località: Zola Predosa (BO)
Nome: Loris Colacurcio
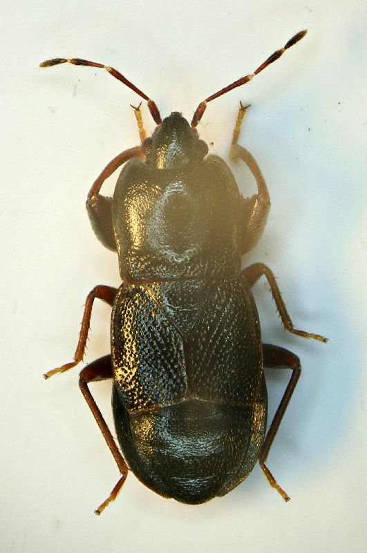
Questi piccoli heterotteri li ho trovati mentre sbattevo alcuni rigogliosi ciuffi di muschio cresciuti ai piedi di un albero d'acacia. Direi con una certa sicurezza che sia del genere Plinthisus, ma differisce dal brevipenis che avevo già postato in un'altra occasione.....sbaglio ? :oops:

Sasso Marconi (BO) - Palazzo Rossi, 15.II.2010
(Heteroptera)Plinthisus no   brevipennis.JPG


_________________
Loris


Top
profilo
MessaggioInviato: 22/02/2010, 23:53 
Avatar utente

Iscritto il: 31/12/2009, 1:47
Messaggi: 945
Località: Bellano (LC)
Nome: Martino Salvetti
Ciao Loris :) , hai ragione, sicuramente non si tratta di Plinthisus brevipennis: anche nella forma brachittera, questa specie ha le ali più chiare e lunghe (come appunto quella che avevi postato). A mio sommesso avviso si tratta di Plinthisus longicollis Fieber 1861, che presenta una certa variabilità di caratteri, specialmente nel taglio posteriore delle emielitre, tanto che si conoscevano due specie distinte (longicollis e brevicollis) ora riunite in una.
Attendo di essere confermato o smentito :no1: da Paride o Attilio.


a presto


Top
profilo
Visualizza ultimi messaggi:  Ordina per  
nuovo argomento
rispondi
Pagina 1 di 1 [ 2 messaggi ]

Tutti gli orari sono UTC + 1 ora [ ora legale ]


Chi c’è in linea

Visitano il forum: Nessuno e 0 ospiti


Non puoi aprire nuovi argomenti
Non puoi rispondere negli argomenti
Non puoi modificare i tuoi messaggi
Non puoi cancellare i tuoi messaggi
Non puoi inviare allegati

Cerca per:
Vai a: