Benvenuto Ospite

Forum Entomologi Italiani

www.entomologiitaliani.net/forum
 
Oggi è 27/03/2026, 16:24

Tutti gli orari sono UTC + 1 ora [ ora legale ]

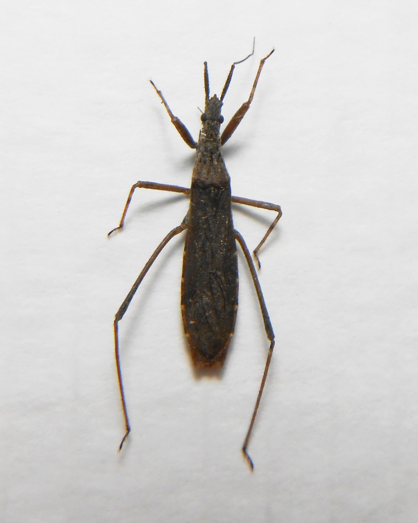
Pygolampis bidentata (Goeze, 1778) - Reduviidae

29.III.2014 - ITALIA - Veneto - RO, Giacciano con Baruchella, Fossa Maestra sx


nuovo argomento
rispondi
Pagina 1 di 1 [ 3 messaggi ]
Autore Messaggio
MessaggioInviato: 04/04/2014, 21:43 
Avatar utente

Iscritto il: 28/05/2011, 21:10
Messaggi: 1981
Nome: Umberto Devincenzo
Ciao a tutti! :)

Lunghezza 13-14mm.


DSCN3101 - Copia.JPG


_________________
"La compassione e l'empatia per il più piccolo degli animali, è una delle più nobili virtù che un uomo possa ricevere in dono."
Charles Darwin
Top
profilo
MessaggioInviato: 13/04/2014, 23:48 
Avatar utente

Iscritto il: 05/02/2009, 17:34
Messaggi: 894
Località: Sondrio - Lombardia - Italia
Nome: Paride Dioli
confermo :ok:

_________________
Link: https://www.ndsu.edu/pubweb/~rider/Pentatomoidea/Researchers/Dioli_Paride.htm
Papers in PDF format: https://www.researchgate.net/profile/Paride_Dioli/?ev=hdr_xprf/


Top
profilo
MessaggioInviato: 14/04/2014, 11:32 
Avatar utente

Iscritto il: 28/05/2011, 21:10
Messaggi: 1981
Nome: Umberto Devincenzo
Grazie Paride! :)

_________________
"La compassione e l'empatia per il più piccolo degli animali, è una delle più nobili virtù che un uomo possa ricevere in dono."
Charles Darwin


Top
profilo
Visualizza ultimi messaggi:  Ordina per  
nuovo argomento
rispondi
Pagina 1 di 1 [ 3 messaggi ]

Tutti gli orari sono UTC + 1 ora [ ora legale ]


Chi c’è in linea

Visitano il forum: Nessuno e 0 ospiti


Non puoi aprire nuovi argomenti
Non puoi rispondere negli argomenti
Non puoi modificare i tuoi messaggi
Non puoi cancellare i tuoi messaggi
Non puoi inviare allegati

Cerca per:
Vai a: