Benvenuto Ospite

Forum Entomologi Italiani

www.entomologiitaliani.net/forum
 
Oggi è 27/03/2026, 20:57

Tutti gli orari sono UTC + 1 ora [ ora legale ]

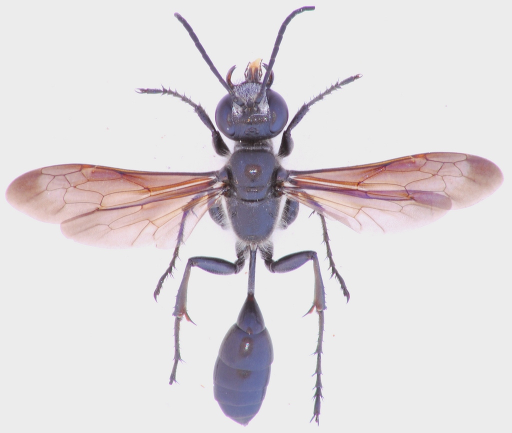
Isodontia mexicana (Saussure, 1867) - Sphecidae

11.VIII.2014 - ITALIA - Sardegna - CA, Sinnai, loc. Bau Arrexini, leg. R. Rattu


nuovo argomento
rispondi
Pagina 1 di 1 [ 12 messaggi ]
Autore Messaggio
MessaggioInviato: 15/08/2014, 14:40 
Avatar utente

Iscritto il: 02/09/2009, 20:57
Messaggi: 8703
Località: Cagliari
Nome: Roberto Rattu
Non conosco i caratteri per distinguere questi imenotteri; se occorrono foto di determinati dettagli proverò a farle. L'esemplare misura 18 mm. L'ho raccolto alla melata artificiale:

DSC_9546.jpg



Top
profilo
 Oggetto del messaggio: Re: Hymenoptera da id.
MessaggioInviato: 15/08/2014, 15:19 
Avatar utente

Iscritto il: 18/01/2011, 9:45
Messaggi: 359
Località: France (Limousin - Haute Vienne)
Nome: Stéphane Vassel
Sphecidae, but after...


Top
profilo
 Oggetto del messaggio: Re: Hymenoptera da id.
MessaggioInviato: 15/08/2014, 15:54 
Avatar utente

Iscritto il: 02/09/2009, 20:57
Messaggi: 8703
Località: Cagliari
Nome: Roberto Rattu
Entomofou ha scritto:
Sphecidae, but after...


Grazie! :ok: Isodontia sp.? :roll:


Top
profilo
 Oggetto del messaggio: Re: Hymenoptera da id.
MessaggioInviato: 15/08/2014, 17:29 
Avatar utente

Iscritto il: 19/06/2012, 14:35
Messaggi: 5666
Località: Alfonsine (RA)
Nome: Marco Villani
Fumea crassiorella ha scritto:
Entomofou ha scritto:
Sphecidae, but after...


Grazie! :ok: Isodontia sp.? :roll:

Esatto.
E perchè non la solita I. mexicana?


Top
profilo
 Oggetto del messaggio: Re: Hymenoptera da id.
MessaggioInviato: 15/08/2014, 17:38 
Avatar utente

Iscritto il: 02/09/2009, 20:57
Messaggi: 8703
Località: Cagliari
Nome: Roberto Rattu
marco villa ha scritto:
E perchè non la solita I. mexicana?

Perché non conosco questi imenotteri ma potrebbe benissimo essere lei. C'erano precedenti segnalazioni per la Sardegna?

:hi:


Top
profilo
 Oggetto del messaggio: Re: Hymenoptera da id.
MessaggioInviato: 15/08/2014, 17:43 
Avatar utente

Iscritto il: 19/06/2012, 14:35
Messaggi: 5666
Località: Alfonsine (RA)
Nome: Marco Villani
Giusto, in effetti non sembra segnalata per la regione. Quindi dovrebbe trattarsi di Isodontia paludosa Rossi 1790 ;)


Top
profilo
 Oggetto del messaggio: Re: Hymenoptera da id.
MessaggioInviato: 15/08/2014, 22:37 
Avatar utente

Iscritto il: 01/07/2010, 22:26
Messaggi: 5663
Località: Viterbo
Nome: Marco Selis
Secondo me è la mexicana, bisogna vedere se il clipeo ha dei peli lunghi e ispidi neri.


Top
profilo
 Oggetto del messaggio: Re: Hymenoptera da id.
MessaggioInviato: 16/08/2014, 8:41 
Avatar utente

Iscritto il: 19/06/2012, 14:35
Messaggi: 5666
Località: Alfonsine (RA)
Nome: Marco Villani
Ma faunaeur non la segnala per la Sardegna... :roll:


Top
profilo
 Oggetto del messaggio: Re: Hymenoptera da id.
MessaggioInviato: 16/08/2014, 9:20 
 

Iscritto il: 08/12/2013, 1:52
Messaggi: 7683
Località: Bagnacavallo (RA)
Nome: Giorgio Pezzi
Per me è mexicana, lunghi peli si intravedono contro lo sfondo, al clipeo: non può essere paludosa per le ali totalmente imbrunite e il peziolo lungo. Pagliano la riporta di Corsica, quindi niente di più facile che sia "emigrata".
:hi:


Top
profilo
 Oggetto del messaggio: Re: Hymenoptera da id.
MessaggioInviato: 16/08/2014, 16:02 
Avatar utente

Iscritto il: 19/06/2012, 14:35
Messaggi: 5666
Località: Alfonsine (RA)
Nome: Marco Villani
In effetti mi sono basato esclusivamente sulla distribuzione. Quindi la specie è nuova di Sardegna? :p


Top
profilo
 Oggetto del messaggio: Re: Hymenoptera da id.
MessaggioInviato: 17/08/2014, 7:49 
 

Iscritto il: 06/02/2009, 9:05
Messaggi: 2588
Località: Alghero
Nome: Pietro Niolu
La incontro da una decina d'anni, per lo meno al nord dell'isola.

_________________
Ciao
Pietro


Top
profilo
 Oggetto del messaggio: Re: Hymenoptera da id.
MessaggioInviato: 17/08/2014, 13:04 
Avatar utente

Iscritto il: 02/09/2009, 20:57
Messaggi: 8703
Località: Cagliari
Nome: Roberto Rattu
Chalybion ha scritto:
Pagliano la riporta di Corsica, quindi niente di più facile che sia "emigrata"


e infatti...

Pietro Niolu ha scritto:
La incontro da una decina d'anni, per lo meno al nord dell'isola.


Ora la abbiamo anche del sud-Sardegna.

Grazie a tutti!

:hi:


Top
profilo
Visualizza ultimi messaggi:  Ordina per  
nuovo argomento
rispondi
Pagina 1 di 1 [ 12 messaggi ]

Tutti gli orari sono UTC + 1 ora [ ora legale ]


Chi c’è in linea

Visitano il forum: Nessuno e 0 ospiti


Non puoi aprire nuovi argomenti
Non puoi rispondere negli argomenti
Non puoi modificare i tuoi messaggi
Non puoi cancellare i tuoi messaggi
Non puoi inviare allegati

Cerca per:
Vai a: