Benvenuto Ospite

Forum Entomologi Italiani

www.entomologiitaliani.net/forum
 
Oggi è 28/03/2026, 22:07

Tutti gli orari sono UTC + 1 ora [ ora legale ]

Oligota sp. - Staphylinidae

7.III.2010 - ITALIA - Lazio - FR, Serrone, loc. San Quirico, circa 400 m


nuovo argomento
rispondi
Pagina 1 di 1 [ 3 messaggi ]
Autore Messaggio
 Oggetto del messaggio: Oligota sp. - Staphylinidae
MessaggioInviato: 08/03/2010, 9:39 
Avatar utente

Iscritto il: 30/12/2009, 22:20
Messaggi: 31564
Località: Roma
Nome: Maurizio Gigli
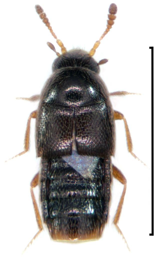
Una piccola serie di Staphylinidae presi su muschio cresciuto su un ceppo nei pressi di un fossetto.

Questo è il secondo:

Lazio, Frosinone, Serrone, loc. San Quirico, circa 400 m, 7.III.2010
1,1 mm

Staphylinidae_San-Quirico_7-III-2010_b.jpg


_________________
Maurizio Gigli
http://utenti.romascuola.net/bups
http://bup.xoom.it/


Top
profilo
 Oggetto del messaggio: Re: Staphylinidae 02 - Lazio
MessaggioInviato: 04/10/2012, 10:53 
 

Iscritto il: 02/11/2010, 22:33
Messaggi: 991
Nome: Aleksei Kovalev
Oligota sp.


Top
profilo
 Oggetto del messaggio: Re: Oligota sp. - Staphylinidae
MessaggioInviato: 04/10/2012, 13:29 
Avatar utente

Iscritto il: 09/11/2009, 14:12
Messaggi: 5197
Località: Hradec Kralove,Czech republik
Nome: Jan Matějíček
Necessari organi copulatori


Oligota punctulata (Heer, 1839)
Oligota punctulata (Heer, 1839).jpg

Oligota pumilio Kiesenwetter, 1858
Oligota pumilio Kiesenwetter, 1858.jpg

Scan740.jpg

Scan741.jpg

Scan742.jpg


_________________
Research Fields
Taxonomy, ecology, biomonitoring , faunistic of Staphylinidae
Top
profilo
Visualizza ultimi messaggi:  Ordina per  
nuovo argomento
rispondi
Pagina 1 di 1 [ 3 messaggi ]

Tutti gli orari sono UTC + 1 ora [ ora legale ]


Chi c’è in linea

Visitano il forum: Nessuno e 1 ospite


Non puoi aprire nuovi argomenti
Non puoi rispondere negli argomenti
Non puoi modificare i tuoi messaggi
Non puoi cancellare i tuoi messaggi
Non puoi inviare allegati

Cerca per:
Vai a: