Benvenuto Ospite

Forum Entomologi Italiani

www.entomologiitaliani.net/forum
 
Oggi è 23/12/2025, 6:13

Tutti gli orari sono UTC + 1 ora [ ora legale ]

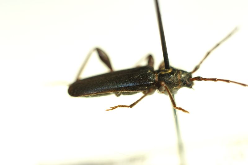
Phymatodes testaceus (Linnaeus, 1758) Dettagli della specie

22.VI.1997 - ITALIA - Toscana - PO, Fossato


nuovo argomento
rispondi
Pagina 1 di 1 [ 3 messaggi ]
Autore Messaggio
MessaggioInviato: 06/12/2014, 10:26 
 

Iscritto il: 09/08/2013, 15:35
Messaggi: 1260
Nome: Andrea marata
Salve,
...sono al buio.. aiutino?
Grazie
Andrea :hi:
Dimensioni: 1 cm


DSC05712.jpg

DSC05711.jpg

DSC05710.jpg

DSC05709.jpg

Top
profilo
 Oggetto del messaggio: Re: Cerambicidae quale?
MessaggioInviato: 06/12/2014, 10:29 
Avatar utente

Iscritto il: 22/12/2009, 13:31
Messaggi: 9646
Località: Napoli
Nome: Francesco Izzillo
Sono sempre P. testaceus.

_________________
Francesco Izzillo


Top
profilo
MessaggioInviato: 06/12/2014, 15:09 
 

Iscritto il: 09/08/2013, 15:35
Messaggi: 1260
Nome: Andrea marata
Grazie,
Andrea :hi:


Top
profilo
Visualizza ultimi messaggi:  Ordina per  
nuovo argomento
rispondi
Pagina 1 di 1 [ 3 messaggi ]

Tutti gli orari sono UTC + 1 ora [ ora legale ]


Chi c’è in linea

Visitano il forum: Nessuno e 0 ospiti


Non puoi aprire nuovi argomenti
Non puoi rispondere negli argomenti
Non puoi modificare i tuoi messaggi
Non puoi cancellare i tuoi messaggi
Non puoi inviare allegati

Cerca per:
Vai a:  
cron