Benvenuto Ospite

Forum Entomologi Italiani

www.entomologiitaliani.net/forum
 
Oggi è 17/11/2025, 13:42

Tutti gli orari sono UTC + 1 ora [ ora legale ]

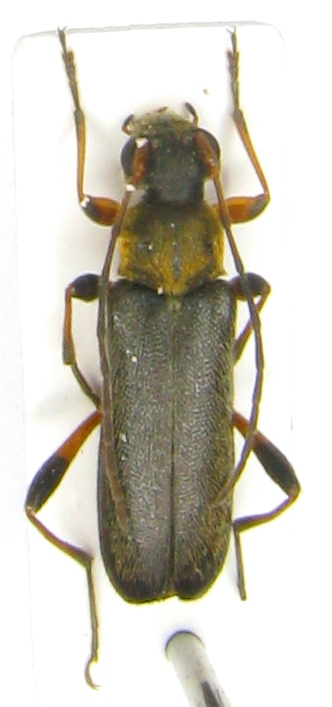
Grammoptera auricollis bipustulata Steiner, 1975

VI.2012 - GRECIA - EE, Peloponneso , tra Kalavrita e Klitoria


nuovo argomento
rispondi
Pagina 1 di 1 [ 2 messaggi ]
Autore Messaggio
MessaggioInviato: 07/01/2015, 19:20 
Avatar utente

Iscritto il: 20/11/2009, 0:34
Messaggi: 571
Località: Vignola (Mo)
Nome: Claudio Sola
Misura 7,5mm


Peloponneso, tra Kalavrita e Klitoria , VI-2012 leg Sola C.  7,5mm..JPG


_________________
merlino
Top
profilo
 Oggetto del messaggio: Re: Grammoptera
MessaggioInviato: 07/01/2015, 20:22 
Avatar utente

Iscritto il: 17/11/2010, 4:40
Messaggi: 269
Località: POLSKA - Warszawa
Nome: Adam Woźniak
Hi Claudio! :lov2:

You have found an interesting species: Grammoptera auricollis bipustulata STEINER, 1975 :ok:


Top
profilo
Visualizza ultimi messaggi:  Ordina per  
nuovo argomento
rispondi
Pagina 1 di 1 [ 2 messaggi ]

Tutti gli orari sono UTC + 1 ora [ ora legale ]


Chi c’è in linea

Visitano il forum: Nessuno e 12 ospiti


Non puoi aprire nuovi argomenti
Non puoi rispondere negli argomenti
Non puoi modificare i tuoi messaggi
Non puoi cancellare i tuoi messaggi
Non puoi inviare allegati

Cerca per:
Vai a: