Benvenuto Ospite

Forum Entomologi Italiani

www.entomologiitaliani.net/forum
 
Oggi è 22/04/2026, 16:33

Tutti gli orari sono UTC + 1 ora [ ora legale ]

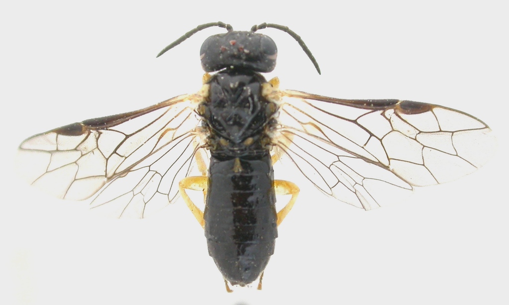
Aneugmenus padi (Linnaeus, 1761) ♀ - Tenthredinidae Selandriinae

10.V.2014 - ITALIA - Sardegna - CA, San Gregorio (Sìnnai), R. Rattu leg.


nuovo argomento
rispondi
Pagina 1 di 1 [ 5 messaggi ]
Autore Messaggio
MessaggioInviato: 20/08/2015, 16:37 
Avatar utente

Iscritto il: 02/09/2009, 20:57
Messaggi: 8703
Località: Cagliari
Nome: Roberto Rattu
Esemplare lungo 6.0 mm, raccolto su fronde di pioppo:

DSCN0499.JPG



Top
profilo
 Oggetto del messaggio: Re: Symphyta da id.
MessaggioInviato: 21/08/2015, 0:05 
Avatar utente

Iscritto il: 22/11/2010, 18:16
Messaggi: 1130
Località: Donzy (Bourgogne : Dipart. Nièvre) - Francia
Nome: Jean-Pierre Balmer
Hello,
Aneugmenus.
To determine the species, a view of the Face is necessary showing the color of Labrum (and maybe a ventral view).
Ciao.
D & JP Balmer


Top
profilo
 Oggetto del messaggio: Re: Symphyta da id.
MessaggioInviato: 21/08/2015, 12:45 
Avatar utente

Iscritto il: 02/09/2009, 20:57
Messaggi: 8703
Località: Cagliari
Nome: Roberto Rattu
Dear Jean-Pierre, here are the pictures you requested; I hope it is visible what you want to see. Thank you! :)

DSCN0524.JPG


DSCN0525.JPG



Top
profilo
MessaggioInviato: 21/08/2015, 14:24 
Avatar utente

Iscritto il: 22/11/2010, 18:16
Messaggi: 1130
Località: Donzy (Bourgogne : Dipart. Nièvre) - Francia
Nome: Jean-Pierre Balmer
Saluti,

Labrum yellow, then 3 sp. : coronatus padi temporalis
- NOT coronatus because the last Tergit of this sp. is white
-- Last Tergit black, then padi or temporalis
--- Cenchri wide apart, distance between them more than their larger diameter, then padi (if not : temporalis)

Thus sp. padi

Ciao.
D & JP balmer


Top
profilo
 Oggetto del messaggio: Re: Symphyta da id.
MessaggioInviato: 21/08/2015, 15:30 
Avatar utente

Iscritto il: 02/09/2009, 20:57
Messaggi: 8703
Località: Cagliari
Nome: Roberto Rattu
Thank you :birra:

:hi:


Top
profilo
Visualizza ultimi messaggi:  Ordina per  
nuovo argomento
rispondi
Pagina 1 di 1 [ 5 messaggi ]

Tutti gli orari sono UTC + 1 ora [ ora legale ]


Chi c’è in linea

Visitano il forum: Nessuno e 1 ospite


Non puoi aprire nuovi argomenti
Non puoi rispondere negli argomenti
Non puoi modificare i tuoi messaggi
Non puoi cancellare i tuoi messaggi
Non puoi inviare allegati

Cerca per:
Vai a: