Benvenuto Ospite

Forum Entomologi Italiani

www.entomologiitaliani.net/forum
 
Oggi è 28/12/2025, 12:40

Tutti gli orari sono UTC + 1 ora [ ora legale ]

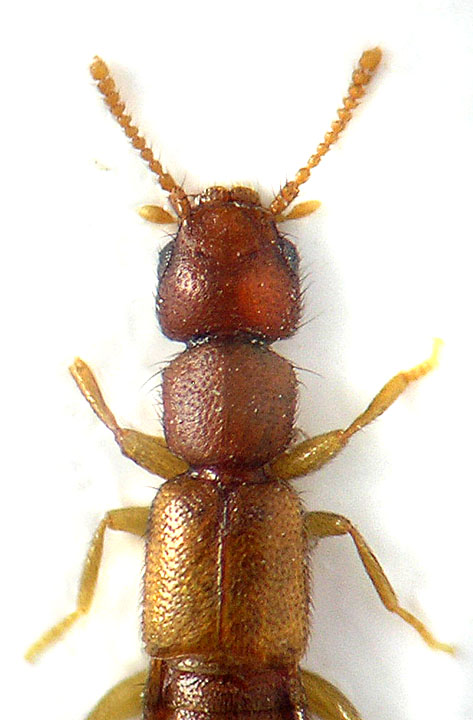
Hypomedon debilicornis (Wollaston, 1857) - Staphylinidae Paederinae

6.IX.2015 - ITALIA - Abruzzo - PE, Pianella, 220m


nuovo argomento
rispondi
Pagina 1 di 1 [ 3 messaggi ]
Autore Messaggio
MessaggioInviato: 12/09/2015, 18:51 
Avatar utente

Iscritto il: 23/06/2010, 19:05
Messaggi: 2588
Località: Pescara
Nome: Alessio Morelli
Su questo non dovrebbero esserci dubbi perché è l'unico (salvo nuove specie non citate nella Checklist) presente in Italia.
Si tratta di Chloecharis debilicornis (Wollaston, 1857) giusto? :oops:

Grazie :birra:

Raccolto di notte alla lampada UV, sul balcone di casa

Dimensioni: 2,5mm
Staphy 12.jpg


Staphy 12 pronoto.JPG


Staphy 12 segmento genitale.JPG



Top
profilo
MessaggioInviato: 12/09/2015, 19:18 
Avatar utente

Iscritto il: 09/11/2009, 14:12
Messaggi: 5176
Località: Hradec Kralove,Czech republik
Nome: Jan Matějíček
:ok: Hypomedon debilicornis (Wollaston, 1857)
syn. Chloecharis


Hypomedon debilicornis
Hypomedon debilicornis.jpg


_________________
Research Fields
Taxonomy, ecology, biomonitoring , faunistic of Staphylinidae
Top
profilo
MessaggioInviato: 13/09/2015, 16:48 
Avatar utente

Iscritto il: 23/06/2010, 19:05
Messaggi: 2588
Località: Pescara
Nome: Alessio Morelli
Grazie anche qui, per la conferma e per la correzione. :ok: :birra:


Top
profilo
Visualizza ultimi messaggi:  Ordina per  
nuovo argomento
rispondi
Pagina 1 di 1 [ 3 messaggi ]

Tutti gli orari sono UTC + 1 ora [ ora legale ]


Chi c’è in linea

Visitano il forum: Nessuno e 0 ospiti


Non puoi aprire nuovi argomenti
Non puoi rispondere negli argomenti
Non puoi modificare i tuoi messaggi
Non puoi cancellare i tuoi messaggi
Non puoi inviare allegati

Cerca per:
Vai a: