Benvenuto Ospite

Forum Entomologi Italiani

www.entomologiitaliani.net/forum
 
Oggi è 19/12/2025, 21:38

Tutti gli orari sono UTC + 1 ora [ ora legale ]

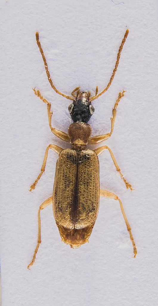
Demetrias (Demetrias) atricapillus (Linnaeus, 1758) - Carabidae

III.2015 - ITALIA - Sicilia - PA, Piana degli Albanesi


nuovo argomento
rispondi
Pagina 1 di 1 [ 3 messaggi ]
Autore Messaggio
MessaggioInviato: 17/11/2015, 19:46 
 

Iscritto il: 07/09/2015, 15:59
Messaggi: 178
Località: Marsiliana, Manciano. Grosseto
Nome: Matteo Lausetti
Chiedo conferma: Demetrias (Demetrias) atricapillus (Linnaeus, 1758)

Dimensioni: 5mm

Località: Palermo, Piana degli Albanesi

Marzo 2015


30.jpg

Top
profilo
 Oggetto del messaggio: Re: Carabidae, Demetrias ?
MessaggioInviato: 18/11/2015, 16:27 
Avatar utente

Iscritto il: 08/11/2010, 12:40
Messaggi: 1722
Località: Brescia
Nome: Mauro Agosti
:ok: :hi:


Top
profilo
 Oggetto del messaggio: Re: Carabidae, Demetrias ?
MessaggioInviato: 18/11/2015, 18:03 
 

Iscritto il: 07/09/2015, 15:59
Messaggi: 178
Località: Marsiliana, Manciano. Grosseto
Nome: Matteo Lausetti
magosti ha scritto:
:ok: :hi:



Grazie Mauro :)


Top
profilo
Visualizza ultimi messaggi:  Ordina per  
nuovo argomento
rispondi
Pagina 1 di 1 [ 3 messaggi ]

Tutti gli orari sono UTC + 1 ora [ ora legale ]


Chi c’è in linea

Visitano il forum: Nessuno e 1 ospite


Non puoi aprire nuovi argomenti
Non puoi rispondere negli argomenti
Non puoi modificare i tuoi messaggi
Non puoi cancellare i tuoi messaggi
Non puoi inviare allegati

Cerca per:
Vai a: