Benvenuto Ospite

Forum Entomologi Italiani

www.entomologiitaliani.net/forum
 
Oggi è 21/12/2025, 22:00

Tutti gli orari sono UTC + 1 ora [ ora legale ]

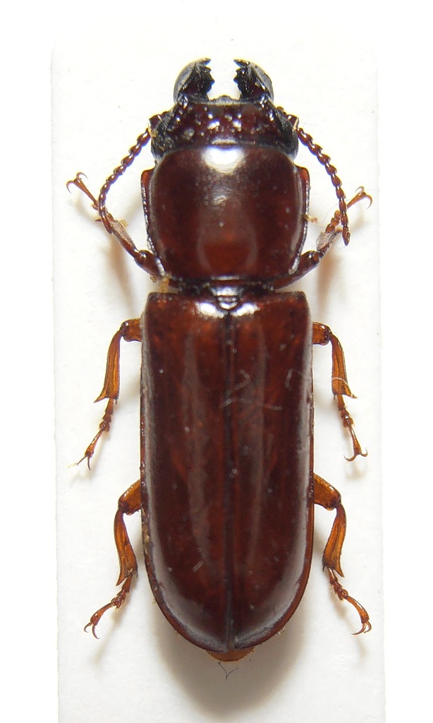
Parandra araucariae Gressitt, 1959 (cf.) - Cerambycidae

30.XII.2014 - INDONESIA - EST - EE, Ambaidiru, Yapen, Papua


nuovo argomento
rispondi
Pagina 1 di 1 [ 4 messaggi ]
Autore Messaggio
MessaggioInviato: 17/01/2016, 22:48 
Avatar utente

Iscritto il: 06/11/2011, 23:59
Messaggi: 1134
Località: Casola Valsenio
Nome: Carlo Arrigo Casadio
Di queste ne ho raccolte una piccola serie, stavano nascoste nella segatura in mezzo agli scarti di legna di una grossa Araucaria abbattuta per farne assi.

Lunghezza mandibole comprese 11 mm
Parandra Papua Ambaidiru.jpg



il luogo del ritrovamento
Ambaidiru 14.jpg


_________________
Carlo Arrigo

"Solo un entomologo può capire il piacere da me provato nel cacciare per ore in qua e in là, sotto il sole cocente, tra i rami e i ramoscelli e la corteccia degli alberi caduti"
Alfred Russel Wallace


Top
profilo
MessaggioInviato: 17/01/2016, 22:57 
Avatar utente

Iscritto il: 30/12/2009, 22:20
Messaggi: 31564
Località: Roma
Nome: Maurizio Gigli
Ma la riducono in assi direttamente sul posto? Chissà che odore di legno ci sarà lì intorno!

_________________
Maurizio Gigli
http://utenti.romascuola.net/bups
http://bup.xoom.it/


Top
profilo
MessaggioInviato: 17/01/2016, 23:20 
Avatar utente

Iscritto il: 06/11/2011, 23:59
Messaggi: 1134
Località: Casola Valsenio
Nome: Carlo Arrigo Casadio
Si Maurizio, tagliano le assi sul posto; considera che sono alberi che superano i 40 m di altezza, li abbattono e li sezionano portando via solo quello che gli interessa (usano le assi per costruirsi le capanne), tutto il resto rimane sul posto.
Quando l'ho visto mi sono illuso di trovarci di ogni......invece non ho raccolto pochissimo.
Non ho potuto piazzare trappole perché sono rimasto in quel posto solo due giorni pieni ed il tempo era variabile, con il sole solo a sprazzi.
Avrei voluto farci un giro anche la notte, ma ha sempre diluviato, probabilmente in un altra stagione in un posto simile c'è da togliersi delle soddisfazioni :p :p
Aggiungo una foto del ceppo, il diametro era superiore al metro e si vede bene l'abbondanza di resina prodotta dalla pianta; alla fine dei due giorni di caccia tra quella legna (c'erano altri siti simili nelle vicinanze) ho dovuto buttare i pantaloni da tanto erano appiccicosi.....a saperlo li avrei tenuti per la lotta allo Philaenus :lol1: :lol1: :lol1:

Ceppo.jpg


_________________
Carlo Arrigo

"Solo un entomologo può capire il piacere da me provato nel cacciare per ore in qua e in là, sotto il sole cocente, tra i rami e i ramoscelli e la corteccia degli alberi caduti"
Alfred Russel Wallace


Top
profilo
MessaggioInviato: 18/01/2016, 7:24 
Avatar utente

Iscritto il: 30/12/2009, 22:20
Messaggi: 31564
Località: Roma
Nome: Maurizio Gigli
Carlo A. ha scritto:
si vede bene l'abbondanza di resina prodotta dalla pianta; alla fine dei due giorni di caccia tra quella legna (c'erano altri siti simili nelle vicinanze) ho dovuto buttare i pantaloni da tanto erano appiccicosi.....a saperlo li avrei tenuti per la lotta allo Philaenus :lol1: :lol1: :lol1:
:lol:
Come quando, girando per i boschi di conifere del Mediterrano, dopo un po' che camminavo sulle cataste, avevo le suole delle scarpe così appiccicose che avrei potuto arrampicarmi come l'Uomo ragno.

_________________
Maurizio Gigli
http://utenti.romascuola.net/bups
http://bup.xoom.it/


Top
profilo
Visualizza ultimi messaggi:  Ordina per  
nuovo argomento
rispondi
Pagina 1 di 1 [ 4 messaggi ]

Tutti gli orari sono UTC + 1 ora [ ora legale ]


Chi c’è in linea

Visitano il forum: Bing [Bot] e 0 ospiti


Non puoi aprire nuovi argomenti
Non puoi rispondere negli argomenti
Non puoi modificare i tuoi messaggi
Non puoi cancellare i tuoi messaggi
Non puoi inviare allegati

Cerca per:
Vai a: