Benvenuto Ospite

Forum Entomologi Italiani

www.entomologiitaliani.net/forum
 
Oggi è 13/02/2026, 19:18

Tutti gli orari sono UTC + 1 ora [ ora legale ]

Coriomeris affinis (Herrich-Schäffer, 1839) - Coreidae

25.VI.2015 - ITALIA - Piemonte - TO, San Giorio di Susa


nuovo argomento
rispondi
Pagina 1 di 1 [ 8 messaggi ]
Autore Messaggio
MessaggioInviato: 22/04/2016, 16:33 
Avatar utente

Iscritto il: 17/03/2012, 15:52
Messaggi: 75
Località: Volpiano (TO)
Nome: graziano brocani
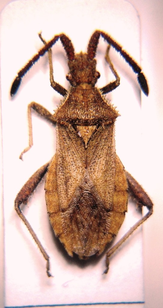
anche in questo caso mi trovo di fronte a dei dubbi su come interpretare i caratteri esterni per classificare questo esemplare di Coriomeris. le setole sulle antenne ed i denti sul bordo laterale del pronoto mi porterebbe verso il denticulatus, mentre il numero di spine sul femore posteriore è più da Hirticornis (in questo caso mi sono basato sulle chiavi che ho trovato su FNM e su un testo delle memorie della S.E.I. di Tamanini).
anche in questo caso si tratta di un esemplare femmina.
Spero mi possiate aiutare vedendo le immagini (non certo ideali).
grazie mille :hi:
lunghezza 9 mm
905 coriomeris denticulatus (Scopoli, 1763) 1.jpg

dettaglio capo e antenne
905 coriomeris denticulatus (Scopoli, 1763) 2.jpg

dettaglio denti su femore posteriore
905 coriomeris denticulatus (Scopoli, 1763) 3.jpg


_________________
Graziano


Top
profilo
 Oggetto del messaggio: Re: Coriomeris ma quale?
MessaggioInviato: 22/04/2016, 16:50 
Avatar utente

Iscritto il: 21/09/2014, 11:55
Messaggi: 1561
Località: Istanbul Turkey
Nome: Barış
Coriomeris affinis


Top
profilo
 Oggetto del messaggio: Re: Coriomeris ma quale?
MessaggioInviato: 23/04/2016, 5:55 
 

Iscritto il: 30/09/2009, 19:19
Messaggi: 1084
Località: Czech rep.
Nome: Ivo Boščík
You have the key in the PDF?


Top
profilo
 Oggetto del messaggio: Re: Coriomeris ma quale?
MessaggioInviato: 23/04/2016, 14:32 
Avatar utente

Iscritto il: 21/09/2014, 11:55
Messaggi: 1561
Località: Istanbul Turkey
Nome: Barış
Better, as a link:
http://macroid.ru/determination.php?cat=591


Top
profilo
 Oggetto del messaggio: Re: Coriomeris ma quale?
MessaggioInviato: 23/04/2016, 22:33 
Avatar utente

Iscritto il: 17/03/2012, 15:52
Messaggi: 75
Località: Volpiano (TO)
Nome: graziano brocani
thanks a lot for ID and for the link. :birra:
Now I try to translate it and so I can understand better how to identify this genre
:hi:

_________________
Graziano


Top
profilo
 Oggetto del messaggio: Re: Coriomeris ma quale?
MessaggioInviato: 23/04/2016, 22:34 
 

Iscritto il: 30/09/2009, 19:19
Messaggi: 1084
Località: Czech rep.
Nome: Ivo Boščík
Thanks you Baris.
What's the picture right :? ?


Top
profilo
 Oggetto del messaggio: Re: Coriomeris ma quale?
MessaggioInviato: 23/04/2016, 22:35 
Avatar utente

Iscritto il: 21/09/2014, 11:55
Messaggi: 1561
Località: Istanbul Turkey
Nome: Barış
"Google translate" translates Russian to English very well :)


Top
profilo
 Oggetto del messaggio: Re: Coriomeris ma quale?
MessaggioInviato: 23/04/2016, 22:36 
Avatar utente

Iscritto il: 21/09/2014, 11:55
Messaggi: 1561
Località: Istanbul Turkey
Nome: Barış
ivo ha scritto:
Thanks you Baris.
What's the picture right :? ?

Lateroposterior margin of the pronotum :)


Top
profilo
Visualizza ultimi messaggi:  Ordina per  
nuovo argomento
rispondi
Pagina 1 di 1 [ 8 messaggi ]

Tutti gli orari sono UTC + 1 ora [ ora legale ]


Chi c’è in linea

Visitano il forum: Nessuno e 0 ospiti


Non puoi aprire nuovi argomenti
Non puoi rispondere negli argomenti
Non puoi modificare i tuoi messaggi
Non puoi cancellare i tuoi messaggi
Non puoi inviare allegati

Cerca per:
Vai a:  
cron