Benvenuto Ospite

Forum Entomologi Italiani

www.entomologiitaliani.net/forum
 
Oggi è 13/05/2026, 23:03

Tutti gli orari sono UTC + 1 ora [ ora legale ]

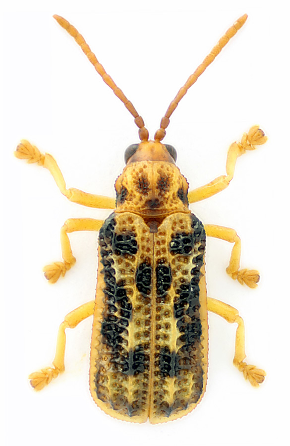
Gonophora sp. - Chrysomelidae Hispinae

1.IV.2016 - INDONESIA - OVEST - EE, Bali is., Gunung Batur Mount


nuovo argomento
rispondi
Pagina 1 di 1 [ 2 messaggi ]
Autore Messaggio
MessaggioInviato: 29/07/2016, 11:13 
Avatar utente

Iscritto il: 13/04/2013, 14:10
Messaggi: 401
Località: Moscow
Nome: Ilya Zabaluev
5mm
:?


Hispinae_1m.jpg

Top
profilo
 Oggetto del messaggio: Re: Chrysomelidae: Hispinae sp.1
MessaggioInviato: 29/07/2016, 14:23 
 

Iscritto il: 24/03/2010, 12:42
Messaggi: 1458
Nome: Lech Borowiec
Gonophora sp.


Top
profilo
Visualizza ultimi messaggi:  Ordina per  
nuovo argomento
rispondi
Pagina 1 di 1 [ 2 messaggi ]

Tutti gli orari sono UTC + 1 ora [ ora legale ]


Chi c’è in linea

Visitano il forum: Nessuno e 1 ospite


Non puoi aprire nuovi argomenti
Non puoi rispondere negli argomenti
Non puoi modificare i tuoi messaggi
Non puoi cancellare i tuoi messaggi
Non puoi inviare allegati

Cerca per:
Vai a: