Benvenuto Ospite

Forum Entomologi Italiani

www.entomologiitaliani.net/forum
 
Oggi è 23/12/2025, 20:30

Tutti gli orari sono UTC + 1 ora [ ora legale ]

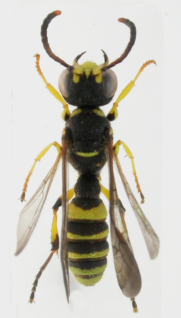
Cerceris arenaria (Linnaeus, 1758) - Crabronidae

7.VIII.2016 - SPAGNA - EE, isole Baleari, Minorca, Son Saura (pineta di), R. Rattu leg.


nuovo argomento
rispondi
Pagina 1 di 1 [ 2 messaggi ]
Autore Messaggio
MessaggioInviato: 22/08/2016, 18:42 
Avatar utente

Iscritto il: 02/09/2009, 20:57
Messaggi: 8703
Località: Cagliari
Nome: Roberto Rattu
Una Cerceris raccolta su fiori di ombrellifera. Misura 9 mm:

DSCN2136.JPG



Top
profilo
 Oggetto del messaggio: Re: Cerceris da id. - Crabronidae
MessaggioInviato: 22/08/2016, 21:29 
 

Iscritto il: 06/02/2009, 9:05
Messaggi: 2588
Località: Alghero
Nome: Pietro Niolu
Per me maschio di Cerceris arenaria.

_________________
Ciao
Pietro


Top
profilo
Visualizza ultimi messaggi:  Ordina per  
nuovo argomento
rispondi
Pagina 1 di 1 [ 2 messaggi ]

Tutti gli orari sono UTC + 1 ora [ ora legale ]


Chi c’è in linea

Visitano il forum: Nessuno e 0 ospiti


Non puoi aprire nuovi argomenti
Non puoi rispondere negli argomenti
Non puoi modificare i tuoi messaggi
Non puoi cancellare i tuoi messaggi
Non puoi inviare allegati

Cerca per:
Vai a: