Benvenuto Ospite

Forum Entomologi Italiani

www.entomologiitaliani.net/forum
 
Oggi è 24/05/2026, 11:09

Tutti gli orari sono UTC + 1 ora [ ora legale ]

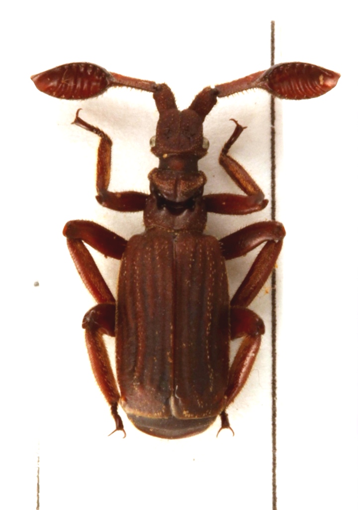
Paussus (Anapaussus) howa Dohrn, 1881 - Carabidae Paussinae - Madagascar

30.XII.2003 - MADAGASCAR - EE, W Madagascar, Morondava distr., Kirindy Res., S. Biondi leg.


nuovo argomento
rispondi
Pagina 1 di 1 [ 12 messaggi ]
Autore Messaggio
MessaggioInviato: 03/04/2010, 21:30 
Avatar utente

Iscritto il: 08/02/2010, 23:01
Messaggi: 6190
Località: Vicenza
Nome: Silvano Biondi
Tornato da una breve vacanza, ho trovato che era arrivato lo stativo che aspettavo. Non che questo risolva tutti i problemi :gh:
New-Out99999 - Copia - Copia.jpg


W Madagascar, Morondava distr., Kirindy Res., 30 XII 2003, S. Biondi leg.
10 mm
Una colonna di formiche, che purtroppo non ho fotografato, lo stava trasportando.
:hi:

_________________



Silvano


Top
profilo
 Oggetto del messaggio: Re: Paussus howa?
MessaggioInviato: 03/04/2010, 21:51 
Avatar utente

Iscritto il: 30/12/2009, 22:20
Messaggi: 31564
Località: Roma
Nome: Maurizio Gigli
Mi sa che questo è il primo Paussidae (anzi, Carabidae Paussinae) del Forum! La foto non è male. Forse dovresti tenere il diaframma un po' più aperto per migliorare ulteriormente la risoluzione.

_________________
Maurizio Gigli
http://utenti.romascuola.net/bups
http://bup.xoom.it/


Top
profilo
 Oggetto del messaggio: Re: Paussus howa?
MessaggioInviato: 03/04/2010, 22:25 
Avatar utente

Iscritto il: 18/06/2009, 16:54
Messaggi: 1093
Località: Casalecchio di Reno (BO)
Nome: Iuri Zappi
Bellissimo!!! :sh: :sh: :sh: Sempre belli i Paussidae. Bah? So bene che ora sono una sottofamiglia dei Carabidae quindi Paussinae. Ri..bah?
Mi piacerebbe sapere il parere di qualche specialista di Carabidae che si occupa di tassonomia dei piani alti. Per chi si occupa di altri gruppi si fa un po' fatica a pensare che i Paussidae sono stati declassati a sottofamiglia dei Carabidae.
Sarà così!!
Forse è solo mia rigidità mentale. Quando per lungo tempo si è sempre ritenuto i Passalidae una famiglia ben caratterizzata, si fa fatica a cambiare idea....

_________________
:hi: :hi: :hi:
Iuri


Top
profilo
 Oggetto del messaggio: Re: Paussus howa? - Madagascar
MessaggioInviato: 10/05/2010, 11:49 
Avatar utente

Iscritto il: 08/05/2010, 22:25
Messaggi: 1463
Località: Milano
Nome: Riccardo Sciaky
Corretto! Si tratta di un Enneapaussus howa Dohrn, 1881. Splendido!

_________________
Riccardo


Top
profilo
 Oggetto del messaggio: Re: Paussus howa?
MessaggioInviato: 10/05/2010, 15:49 
Avatar utente

Iscritto il: 04/02/2009, 17:49
Messaggi: 5558
Località: Cagliari
Nome: Daniele Sechi
Enoplium ha scritto:
Bellissimo!!! :sh: :sh: :sh: Sempre belli i Paussidae. Bah? So bene che ora sono una sottofamiglia dei Carabidae quindi Paussinae. Ri..bah?
Mi piacerebbe sapere il parere di qualche specialista di Carabidae che si occupa di tassonomia dei piani alti. Per chi si occupa di altri gruppi si fa un po' fatica a pensare che i Paussidae sono stati declassati a sottofamiglia dei Carabidae.
Sarà così!!
Forse è solo mia rigidità mentale. Quando per lungo tempo si è sempre ritenuto i Passalidae una famiglia ben caratterizzata, si fa fatica a cambiare idea....


Effettivamente son diversi però l'odore è lo stesso! Ho raccolto dei Paussus in Tunisia ed avevano un odore nauseabondo, una via di mezzo tra un Carabus e un Chlaenius :sick:

_________________
:hi:
Daniele


Top
profilo
MessaggioInviato: 07/09/2015, 9:47 
Avatar utente

Iscritto il: 28/08/2009, 13:45
Messaggi: 1951
Località: Ginevra, Svizzera
Nome: Guido Sabatinelli
Anche io oggi ho preso un Paussidae in Tunisia a Matmata.
Interessante? Ciao. Guido

_________________
Guido Sabatinelli
Museo di storia naturale, Ginevra, Svizzera
http://www.glaphyridae.com
http://www.scarabeidi.it


Top
profilo
MessaggioInviato: 23/11/2016, 20:48 
Avatar utente

Iscritto il: 26/03/2010, 14:55
Messaggi: 5993
Località: Romania
Nome: Cosmin-Ovidiu Manci
Ciao a tutti da Silvano,

Questo non lo ho potuto non rifotografarlo.
Un trailer :)

Paussus_howa_1_9.8mm_s.jpg



:hi:

_________________
Cosmin-Ovidiu Manci
**********************
cosmln's place - my blog
just insects
Dragonflies of Romania


Top
profilo
MessaggioInviato: 23/11/2016, 23:59 
 

Iscritto il: 21/09/2009, 9:34
Messaggi: 1535
Località: Padova
Nome: Gianfranco Salvato
ESAGERATO !!!
:ok: Splendida foto.
Gianfranco


Top
profilo
MessaggioInviato: 17/12/2016, 2:07 
Avatar utente

Iscritto il: 26/03/2010, 14:55
Messaggi: 5993
Località: Romania
Nome: Cosmin-Ovidiu Manci
finito !

Paussus_howa_s.jpg



:hi:

_________________
Cosmin-Ovidiu Manci
**********************
cosmln's place - my blog
just insects
Dragonflies of Romania


Top
profilo
MessaggioInviato: 17/12/2016, 9:05 
Avatar utente

Iscritto il: 08/02/2010, 23:01
Messaggi: 6190
Località: Vicenza
Nome: Silvano Biondi
:ok:
superfoto, come sempre!

:hi:

_________________



Silvano


Top
profilo
MessaggioInviato: 17/12/2016, 13:02 
Avatar utente

Iscritto il: 22/05/2009, 21:00
Messaggi: 2790
Località: Pergine Valsugana (TN)
Nome: Andrea Carlin
:sh: :sh: :sh: :sh: :sh: :sh:

_________________
Andrea Carlin, Pergine Valsugana (TN) carlin.andrea(AT)gmail.com

Nota: tutti gli esemplari inseriti nelle discussioni aperte da me sono da ritenere "Andrea Carlin legit" se non diversamente specificato.


Top
profilo
MessaggioInviato: 18/01/2017, 19:46 
Avatar utente

Iscritto il: 08/02/2010, 23:01
Messaggi: 6190
Località: Vicenza
Nome: Silvano Biondi
Se ho capito bene, alla luce di questo interessante articolo, il nome andrebbe cambiato in

Paussus (Anapaussus) howa Dohrn, 1881

(non che ciò cambi il fascino di questi animali)

:hi:

_________________



Silvano


Top
profilo
Visualizza ultimi messaggi:  Ordina per  
nuovo argomento
rispondi
Pagina 1 di 1 [ 12 messaggi ]

Tutti gli orari sono UTC + 1 ora [ ora legale ]


Chi c’è in linea

Visitano il forum: Nessuno e 7 ospiti


Non puoi aprire nuovi argomenti
Non puoi rispondere negli argomenti
Non puoi modificare i tuoi messaggi
Non puoi cancellare i tuoi messaggi
Non puoi inviare allegati

Cerca per:
Vai a: