Benvenuto Ospite

Forum Entomologi Italiani

www.entomologiitaliani.net/forum
 
Oggi è 12/12/2025, 7:02

Tutti gli orari sono UTC + 1 ora [ ora legale ]

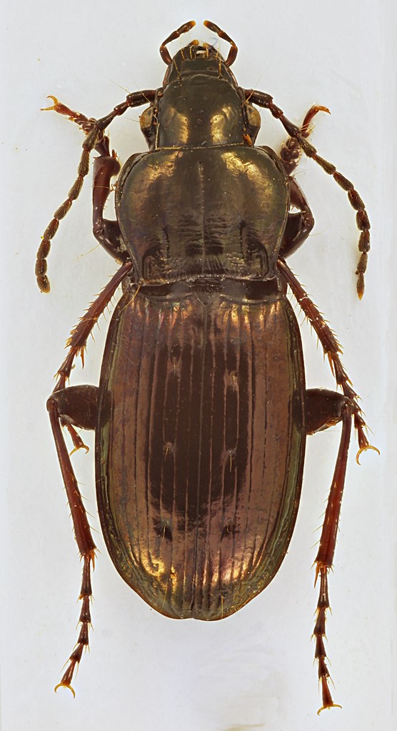
Pterostichus (Oreophilus) jurinei (Panzer, 1803) - Carabidae

29.VIII.1979 - ITALIA - Trentino-Alto Adige - TN, Pozza di Fassa, Val San Nicolò


nuovo argomento
rispondi
Pagina 1 di 1 [ 6 messaggi ]
Autore Messaggio
MessaggioInviato: 15/02/2017, 0:10 
Avatar utente

Iscritto il: 30/12/2009, 22:20
Messaggi: 31564
Località: Roma
Nome: Maurizio Gigli
Colorazione simile a quella del bicolor, ma più scuro e più piccolo, e data la zona suppongo sia una specie simile.

Trentino Alto Adige, Trento, Pozza di Fassa, Val San Nicolò, 2000 m circa, 29.VIII.1979, M. Gigli legit
12 mm
Pterostichus_Trento_Pozza_di_Fassa_Val_San_Nicolò_29-VIII-1979_12mm.jpg


_________________
Maurizio Gigli
http://utenti.romascuola.net/bups
http://bup.xoom.it/


Top
profilo
 Oggetto del messaggio: Re: Pterostichus sp. - Carabidae
MessaggioInviato: 15/02/2017, 0:30 
Avatar utente

Iscritto il: 05/02/2009, 17:31
Messaggi: 9527
Località: milano
Nome: maurizio pavesi
Pterostichus (Oreophilus) jurinei (Panzer, 1803) ;)

_________________
*****************
Immagine maurizio


Top
profilo
MessaggioInviato: 15/02/2017, 8:04 
Avatar utente

Iscritto il: 30/12/2009, 22:20
Messaggi: 31564
Località: Roma
Nome: Maurizio Gigli
Grazie Maurizio. Dalla discussione sugli esemplari di Luca sospettavo che uno dei candidati potesse essere questo, ma ancora non ho capito quali caratteri si debbano controllare per identificare le varie specie di ciascun gruppo (anzi, salvo qualcuno, non ho ancora ben presente come distinguere i sottogeneri).

_________________
Maurizio Gigli
http://utenti.romascuola.net/bups
http://bup.xoom.it/


Top
profilo
MessaggioInviato: 15/02/2017, 10:35 
Avatar utente

Iscritto il: 05/02/2009, 17:44
Messaggi: 2688
Località: Garbagnate Milanese
Nome: Augusto Franzini
Ah, non sono ovvii per nessuno, non preoccuparti. Per orientarsi, la tabella che si trova sul Suppl. I del Porta (ripresa da "I Pterostichus italiani" di A. Schatzmayr del 1929 in cui c'è anche la tabella dei sottogeneri) funziona bene, anche se alcuni nomi sono superati e ci mancano alcune specie o sottosp. descritte successivamente. Se a qualcuno interessa la pubblicazione di Schatzmayr e gli manca, mi può inviare un MP che lo carico su Dropbox.

_________________
Augusto (aug)
Prediction is very difficult, especially about the future (Niels Bohr, fisico)


Top
profilo
MessaggioInviato: 15/02/2017, 12:04 
Avatar utente

Iscritto il: 30/12/2009, 22:20
Messaggi: 31564
Località: Roma
Nome: Maurizio Gigli
aug ha scritto:
Ah, non sono ovvii per nessuno, non preoccuparti. Per orientarsi, la tabella che si trova sul Suppl. I del Porta (ripresa da "I Pterostichus italiani" di A. Schatzmayr del 1929 in cui c'è anche la tabella dei sottogeneri) funziona bene, anche se alcuni nomi sono superati e ci mancano alcune specie o sottosp. descritte successivamente. Se a qualcuno interessa la pubblicazione di Schatzmayr e gli manca, mi può inviare un MP che lo carico su Dropbox.

Ti ringrazio ma per i Carabidi mi fido più delle vostre indicazioni che delle mie capacità di seguire le chiavi. E' giusto per mettere un po' d'ordine nelle mie poche cassette di questa famiglia.

_________________
Maurizio Gigli
http://utenti.romascuola.net/bups
http://bup.xoom.it/


Top
profilo
MessaggioInviato: 15/02/2017, 12:14 
Avatar utente

Iscritto il: 05/02/2009, 17:31
Messaggi: 9527
Località: milano
Nome: maurizio pavesi
Julodis ha scritto:
... ancora non ho capito quali caratteri si debbano controllare per identificare le varie specie di ciascun gruppo ...

non è certo semplice da spiegare in due parole, cmq un carattere da verificare, sia negli Pterostichus che nei Poecilus, dato che spesso permette di separare specie simili (magari solo per convergenza), è la presenza o meno di setole sotto l'onichio

_________________
*****************
Immagine maurizio


Top
profilo
Visualizza ultimi messaggi:  Ordina per  
nuovo argomento
rispondi
Pagina 1 di 1 [ 6 messaggi ]

Tutti gli orari sono UTC + 1 ora [ ora legale ]


Chi c’è in linea

Visitano il forum: Nessuno e 3 ospiti


Non puoi aprire nuovi argomenti
Non puoi rispondere negli argomenti
Non puoi modificare i tuoi messaggi
Non puoi cancellare i tuoi messaggi
Non puoi inviare allegati

Cerca per:
Vai a:  
cron