Benvenuto Ospite

Forum Entomologi Italiani

www.entomologiitaliani.net/forum
 
Oggi è 21/04/2026, 2:23

Tutti gli orari sono UTC + 1 ora [ ora legale ]

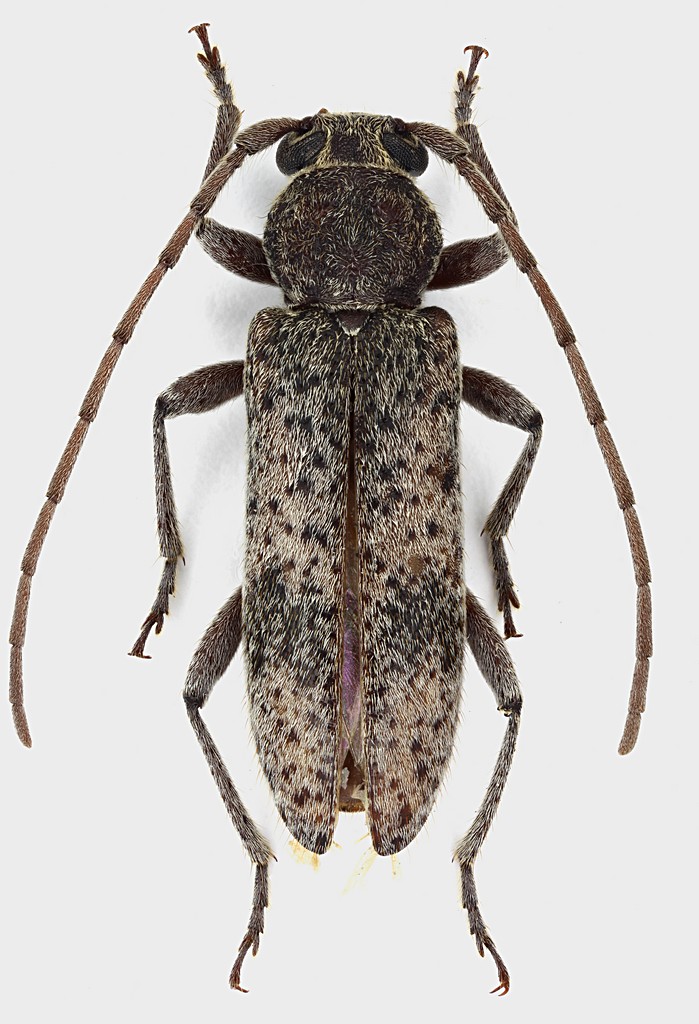
Trichoferus kotschyi Ganglbauer, 1883 - Cerambycidae

VII.2017 - TURCHIA - EE, Mersin, Kizilen


nuovo argomento
rispondi
Pagina 1 di 1 [ 6 messaggi ]
Autore Messaggio
MessaggioInviato: 26/07/2017, 18:39 
Avatar utente

Iscritto il: 30/12/2009, 22:20
Messaggi: 31564
Località: Roma
Nome: Maurizio Gigli
Questo Trichoferus dall'aria un po' strana mi è uscito da rami di terebinto raccolti in Turchia da Daniele Baiocchi. Potrebbe avere qualcosa a che fare con Trichoferus kotschyi Ganglbauer, 1883?

Turkey, Mersin, Kizilen, da rami di terebinto raccolti il 7.IV.2014 da D. Baiocchi, sfarfallato a Roma, sul mio balcone, VII.2017

Trichoferus_Turkey_Kizilen_7-IV-2014_terebinto_VII-2017_11,5mm_grey.jpg


_________________
Maurizio Gigli
http://utenti.romascuola.net/bups
http://bup.xoom.it/


Top
profilo
MessaggioInviato: 27/07/2017, 8:53 
 

Iscritto il: 13/09/2009, 18:04
Messaggi: 882
Nome: Pierpaolo Rapuzzi
È lui. Specie relativamente frequente e diffusa dalla Turchia meridionale, comprese alcune isole greche, alla Siria ed al Libano. Larva polifaga nel legno secco di molte latifoglie.


Top
profilo
MessaggioInviato: 27/07/2017, 11:50 
Avatar utente

Iscritto il: 30/12/2009, 22:20
Messaggi: 31564
Località: Roma
Nome: Maurizio Gigli
Grazie. Ero in dubbio perché la zona scura a 2/3 delle eiltre è meno netta ed evidente che negli esemplari che si trovano sul Web, compreso il nostro Forum.

_________________
Maurizio Gigli
http://utenti.romascuola.net/bups
http://bup.xoom.it/


Top
profilo
MessaggioInviato: 27/07/2017, 17:00 
Avatar utente

Iscritto il: 05/08/2009, 18:02
Messaggi: 2264
Nome: Marcello Benelli
Bellooo!!!
falli riprodurre!!!

_________________
Marci
"S'i fosse fuoco, arderei 'l mondo,
S'i fosse vento, lo tempesterei,
S'i fosse acqua, i' l'annegherei
s'i fosse dio, mandereil' en profondo" ( Cecco Angiolieri).


Top
profilo
MessaggioInviato: 27/07/2017, 18:54 
Avatar utente

Iscritto il: 30/12/2009, 22:20
Messaggi: 31564
Località: Roma
Nome: Maurizio Gigli
Entomarci ha scritto:
Bellooo!!!
falli riprodurre!!!

Per quest'anno sarà difficile. Ne è uscito solo uno! Comunque i rami sono molto leggeri, sintomo che dentro saranno tutti scavati e pieni di segatura. Speriamo ci siano altre larve vive e che sfarfallino il prossimo anno, magari almeno un maschio ed una femmina nello stesso periodo, così posso provare a farli riprodurre. In genere i Trichoferus lo fanno senza problema, in cattività.

_________________
Maurizio Gigli
http://utenti.romascuola.net/bups
http://bup.xoom.it/


Top
profilo
MessaggioInviato: 28/07/2017, 21:35 
Avatar utente

Iscritto il: 05/08/2009, 18:02
Messaggi: 2264
Nome: Marcello Benelli
Speravo anche io in loro ma da cipro sono nati solo dei griseus...

_________________
Marci
"S'i fosse fuoco, arderei 'l mondo,
S'i fosse vento, lo tempesterei,
S'i fosse acqua, i' l'annegherei
s'i fosse dio, mandereil' en profondo" ( Cecco Angiolieri).


Top
profilo
Visualizza ultimi messaggi:  Ordina per  
nuovo argomento
rispondi
Pagina 1 di 1 [ 6 messaggi ]

Tutti gli orari sono UTC + 1 ora [ ora legale ]


Chi c’è in linea

Visitano il forum: Nessuno e 0 ospiti


Non puoi aprire nuovi argomenti
Non puoi rispondere negli argomenti
Non puoi modificare i tuoi messaggi
Non puoi cancellare i tuoi messaggi
Non puoi inviare allegati

Cerca per:
Vai a: