Benvenuto Ospite

Forum Entomologi Italiani

www.entomologiitaliani.net/forum
 
Oggi è 23/03/2026, 13:23

Tutti gli orari sono UTC + 1 ora [ ora legale ]

Quedius (Raphirus) semiobscurus (Marsham, 1802) - Staphylinidae Staphylininae Quedinii

7.X.2015 - ITALIA - Sardegna - NU, Seui- Passo di Arquerì


nuovo argomento
rispondi
Pagina 1 di 1 [ 13 messaggi ]
Autore Messaggio
MessaggioInviato: 02/02/2018, 19:21 
 

Iscritto il: 30/12/2014, 18:57
Messaggi: 1027
Nome: Adriana Lecis
Salve! 10-11 mm. Potrebbe essere un Quedius? :roll: :roll:


2018-02-02 16-40-35 (B,Radius8,Smoothing4).jpg

2018-02-02 16-38-22 (B,Radius8,Smoothing4).jpg

Top
profilo
 Oggetto del messaggio: Re: Determinazione Staphylinidae
MessaggioInviato: 02/02/2018, 19:24 
Avatar utente

Iscritto il: 09/11/2009, 14:12
Messaggi: 5196
Località: Hradec Kralove,Czech republik
Nome: Jan Matějíček
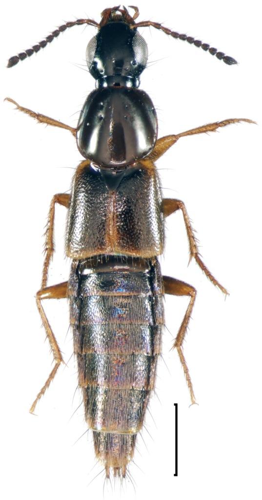
Quedius (Raphirus) sp.

Sardegna

humeralis Stephens, 1832
nemoralis Baudi, 1848
plancus Erichson, 1840
praecox Gravenhorst, 1802
scintillans (Gravenhorst, 1806)
semiaeneus (Stephens, 1833)
semiobscurus (Marsham, 1802)
umbrinus Erichson, 1839
virgulatus Stephens, 1832


subgenus Raphirus Italia.doc [28.5 KiB]
Scaricato 124 volte

_________________
Research Fields
Taxonomy, ecology, biomonitoring , faunistic of Staphylinidae


Ultima modifica di Honza il 02/02/2018, 19:28, modificato 1 volta in totale.
Top
profilo
 Oggetto del messaggio: Re: Determinazione Staphylinidae
MessaggioInviato: 02/02/2018, 19:28 
 

Iscritto il: 30/12/2014, 18:57
Messaggi: 1027
Nome: Adriana Lecis
Grazie Jan! Sei stato velocissimo! come posso arrivare alla specie? servono altre foto? :hi: :hi: :hi:


Top
profilo
 Oggetto del messaggio: Re: Determinazione Staphylinidae
MessaggioInviato: 02/02/2018, 19:39 
Avatar utente

Iscritto il: 09/11/2009, 14:12
Messaggi: 5196
Località: Hradec Kralove,Czech republik
Nome: Jan Matějíček
certamente no.........scintillans (Gravenhorst, 1806)


scintill.jpg


_________________
Research Fields
Taxonomy, ecology, biomonitoring , faunistic of Staphylinidae
Top
profilo
 Oggetto del messaggio: Re: Determinazione Staphylinidae
MessaggioInviato: 02/02/2018, 19:42 
Avatar utente

Iscritto il: 09/11/2009, 14:12
Messaggi: 5196
Località: Hradec Kralove,Czech republik
Nome: Jan Matějíček
certamente no.........humeralis Stephens, 1832


humerali.jpg


_________________
Research Fields
Taxonomy, ecology, biomonitoring , faunistic of Staphylinidae
Top
profilo
 Oggetto del messaggio: Re: Determinazione Staphylinidae
MessaggioInviato: 02/02/2018, 19:43 
Avatar utente

Iscritto il: 09/11/2009, 14:12
Messaggi: 5196
Località: Hradec Kralove,Czech republik
Nome: Jan Matějíček
certamente no .................nemoralis Baudi, 1848


nemorali.jpg


_________________
Research Fields
Taxonomy, ecology, biomonitoring , faunistic of Staphylinidae
Top
profilo
 Oggetto del messaggio: Re: Determinazione Staphylinidae
MessaggioInviato: 02/02/2018, 19:54 
Avatar utente

Iscritto il: 09/11/2009, 14:12
Messaggi: 5196
Località: Hradec Kralove,Czech republik
Nome: Jan Matějíček
certamente no.........umbrinus Erichson, 1839


umbrinus.jpg


_________________
Research Fields
Taxonomy, ecology, biomonitoring , faunistic of Staphylinidae
Top
profilo
 Oggetto del messaggio: Re: Determinazione Staphylinidae
MessaggioInviato: 02/02/2018, 19:56 
Avatar utente

Iscritto il: 09/11/2009, 14:12
Messaggi: 5196
Località: Hradec Kralove,Czech republik
Nome: Jan Matějíček
certamente no.........semiaeneus (Stephens, 1833)


semiaene.jpg


_________________
Research Fields
Taxonomy, ecology, biomonitoring , faunistic of Staphylinidae
Top
profilo
 Oggetto del messaggio: Re: Determinazione Staphylinidae
MessaggioInviato: 02/02/2018, 19:58 
Avatar utente

Iscritto il: 09/11/2009, 14:12
Messaggi: 5196
Località: Hradec Kralove,Czech republik
Nome: Jan Matějíček
certamente no.........plancus Erichson, 1840


plancus.jpg


_________________
Research Fields
Taxonomy, ecology, biomonitoring , faunistic of Staphylinidae
Top
profilo
 Oggetto del messaggio: Re: Determinazione Staphylinidae
MessaggioInviato: 02/02/2018, 20:05 
Avatar utente

Iscritto il: 09/11/2009, 14:12
Messaggi: 5196
Località: Hradec Kralove,Czech republik
Nome: Jan Matějíček
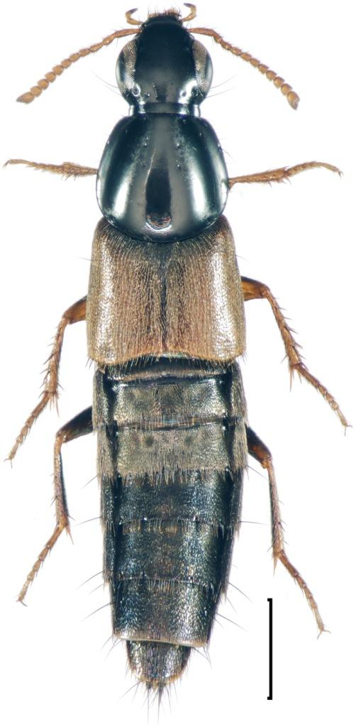
forse semiobscurus (Marsham, 1802) (8 - 11 mm)


semiobsc.jpg

semiobsc.jpg

Bez názvu.jpg


_________________
Research Fields
Taxonomy, ecology, biomonitoring , faunistic of Staphylinidae
Top
profilo
 Oggetto del messaggio: Re: Determinazione Staphylinidae
MessaggioInviato: 02/02/2018, 20:40 
 

Iscritto il: 30/12/2014, 18:57
Messaggi: 1027
Nome: Adriana Lecis
Grazieeeeee! bellissime foto! :hp: :hp: :hp: :hp: :lov1: :lov1:


Top
profilo
 Oggetto del messaggio: Re: Determinazione Staphylinidae
MessaggioInviato: 02/02/2018, 20:44 
 

Iscritto il: 30/12/2014, 18:57
Messaggi: 1027
Nome: Adriana Lecis
E' lui!!!!! ho controllato i punti che hai segnato e ci sono tutti! :hi: :hi: :hi:


Top
profilo
 Oggetto del messaggio: Re: Determinazione Staphylinidae
MessaggioInviato: 02/02/2018, 21:59 
Avatar utente

Iscritto il: 09/11/2009, 14:12
Messaggi: 5196
Località: Hradec Kralove,Czech republik
Nome: Jan Matějíček
:ok:
Quedius (Raphirus) semiobscurus (Marsham, 1802) - Staphylinidae - Staphylininae - Quedinii

_________________
Research Fields
Taxonomy, ecology, biomonitoring , faunistic of Staphylinidae


Top
profilo
Visualizza ultimi messaggi:  Ordina per  
nuovo argomento
rispondi
Pagina 1 di 1 [ 13 messaggi ]

Tutti gli orari sono UTC + 1 ora [ ora legale ]


Chi c’è in linea

Visitano il forum: Nessuno e 2 ospiti


Non puoi aprire nuovi argomenti
Non puoi rispondere negli argomenti
Non puoi modificare i tuoi messaggi
Non puoi cancellare i tuoi messaggi
Non puoi inviare allegati

Cerca per:
Vai a: