Benvenuto Ospite

Forum Entomologi Italiani

www.entomologiitaliani.net/forum
 
Oggi è 24/04/2026, 15:48

Tutti gli orari sono UTC + 1 ora [ ora legale ]

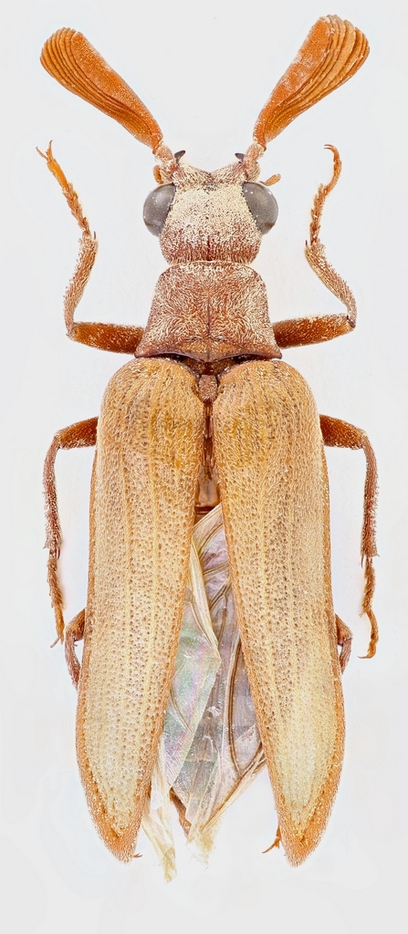
Arrhaphipterus larclausei Reitter, 1894 - Rhipiceridae

8.IX.2015 - TUNISIA - EE, Gabès, Matmata, G. Sabatinelli leg.; foto: M. Romano.


nuovo argomento
rispondi
Pagina 1 di 1 [ 3 messaggi ]
Autore Messaggio
MessaggioInviato: 04/03/2018, 17:31 
Avatar utente

Iscritto il: 02/09/2009, 20:57
Messaggi: 8703
Località: Cagliari
Nome: Roberto Rattu
Questo è un prezioso dono di G. Sabatinelli; Arrhaphipterus larclausei è una specie nota esclusivamente del nord Africa (Marocco, Algeria, Tunisia ed Egitto) ma sempre su reperti sporadici, giunti perlopiù alla lampada. Non sappiamo quasi nulla sugli adulti e quasi nulla sugli stadi preimmaginali: si sa che il genere Sandalus, sempre appartenente ai Rhipiceridae, ha larve parassitoidi di Cicadidae. Chissà che anche le larve di Arrhaphipterus abbiano analoghe preferenze. Non mi stupirei se prima o poi facesse capolino una qualche specie affine in Sardegna: con bestie così elusive e sporadiche tutto è possibile.
Il Cat. Pal. non cita questa specie per la Tunisia: e così, a suo tempo, quando Guido mi inviò l'esemplare, pensai di scrivere due righe per pubblicare il reperto. Fortunatamente diedi però prima uno sguardo ai 'sacri testi' che trattano della coleotterofauna tunisina, dove la specie è citata eccome (dico questo giusto per allacciarmi ad un altro post dove, giustamente, si biasima la frettolosità nel pubblicare e si elogia una stagionatura lenta e meditata prima della spedizione in stampa).
L'esemplare è lungo 13 mm. La foto è di Marcello Romano:

A. larclausei.jpg



Top
profilo
MessaggioInviato: 04/03/2018, 17:39 
Avatar utente

Iscritto il: 30/12/2009, 22:20
Messaggi: 31564
Località: Roma
Nome: Maurizio Gigli
Stranissimo animale. Sembra un incrocio tra un Ripiforide e un Vesperus!

_________________
Maurizio Gigli
http://utenti.romascuola.net/bups
http://bup.xoom.it/


Top
profilo
MessaggioInviato: 11/04/2018, 13:37 
 

Iscritto il: 10/02/2017, 8:56
Messaggi: 31
Nome: Ladislav Cerny
Here is the male of Arrhaphipterus from northern Oman. When I have compared it with the original description of A. zoroaster I think that it is a new species. Also, other Mediterranean species differ a few.
Has anybody another opinion?


Arrhaphipterus sp. n.
Rhipiceridae, Arrhaphipterus sp. n. NE Oman.JPG

Top
profilo
Visualizza ultimi messaggi:  Ordina per  
nuovo argomento
rispondi
Pagina 1 di 1 [ 3 messaggi ]

Tutti gli orari sono UTC + 1 ora [ ora legale ]


Chi c’è in linea

Visitano il forum: Nessuno e 0 ospiti


Non puoi aprire nuovi argomenti
Non puoi rispondere negli argomenti
Non puoi modificare i tuoi messaggi
Non puoi cancellare i tuoi messaggi
Non puoi inviare allegati

Cerca per:
Vai a: