Benvenuto Ospite

Forum Entomologi Italiani

www.entomologiitaliani.net/forum
 
Oggi è 25/12/2025, 23:46

Tutti gli orari sono UTC + 1 ora [ ora legale ]

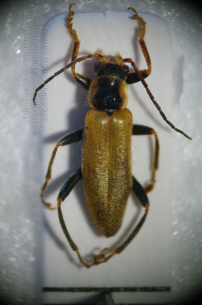
Cantharis sp. - Cantharidae

20.V.2018 - ITALIA - Sardegna - OG, Monte Albo - Siniscola


nuovo argomento
rispondi
Pagina 1 di 1 [ 4 messaggi ]
Autore Messaggio
 Oggetto del messaggio: Cantharis sp. - Cantharidae
MessaggioInviato: 06/10/2018, 17:23 
 

Iscritto il: 30/12/2014, 18:57
Messaggi: 1027
Nome: Adriana Lecis
Salve! Potrebbe essere una Cantharis :roll: :roll: :roll: :roll: misura circa 9 mm. :? :? :?


a1.jpg

a2.jpg

Top
profilo
 Oggetto del messaggio: Re: Determinazione
MessaggioInviato: 06/10/2018, 17:28 
Avatar utente

Iscritto il: 22/12/2009, 13:31
Messaggi: 9646
Località: Napoli
Nome: Francesco Izzillo
si

_________________
Francesco Izzillo


Top
profilo
 Oggetto del messaggio: Re: Determinazione
MessaggioInviato: 06/10/2018, 17:30 
 

Iscritto il: 30/12/2014, 18:57
Messaggi: 1027
Nome: Adriana Lecis
Grazie Francesco, la specie? :hi: :hi: :hi:


Top
profilo
 Oggetto del messaggio: Re: Determinazione
MessaggioInviato: 06/10/2018, 17:34 
Avatar utente

Iscritto il: 22/12/2009, 13:31
Messaggi: 9646
Località: Napoli
Nome: Francesco Izzillo
Adriana49 ha scritto:
Grazie Francesco, la specie? :hi: :hi: :hi:

Non saprei non è proprio il mio campo; forse qualcosa vicino alla decipiens :roll:

_________________
Francesco Izzillo


Top
profilo
Visualizza ultimi messaggi:  Ordina per  
nuovo argomento
rispondi
Pagina 1 di 1 [ 4 messaggi ]

Tutti gli orari sono UTC + 1 ora [ ora legale ]


Chi c’è in linea

Visitano il forum: Nessuno e 0 ospiti


Non puoi aprire nuovi argomenti
Non puoi rispondere negli argomenti
Non puoi modificare i tuoi messaggi
Non puoi cancellare i tuoi messaggi
Non puoi inviare allegati

Cerca per:
Vai a: