Benvenuto Ospite

Forum Entomologi Italiani

www.entomologiitaliani.net/forum
 
Oggi è 09/04/2026, 15:33

Tutti gli orari sono UTC + 1 ora [ ora legale ]

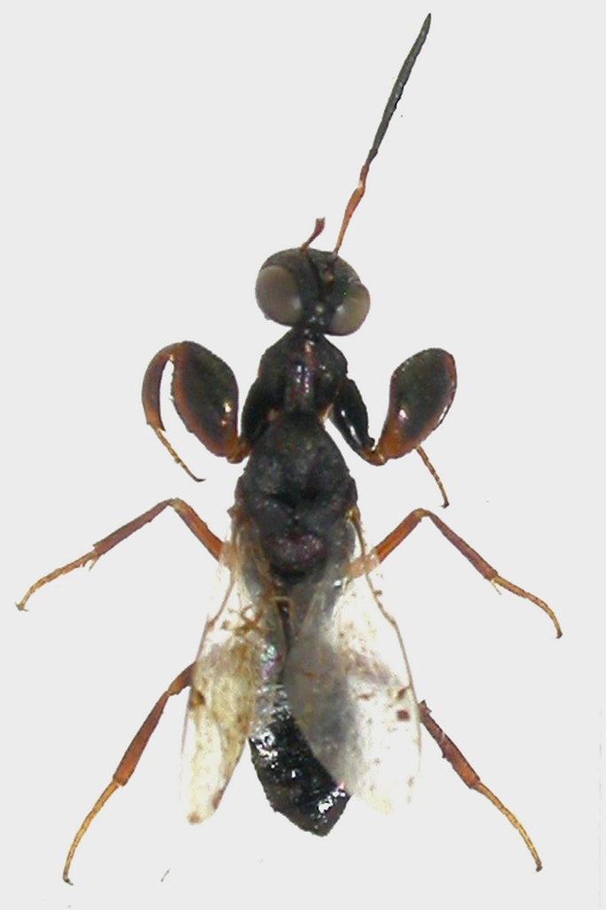
Oodera hoggarensis Hedqvist, 1967 - Pteromalidae

14.V.2017 - MAROCCO - EE, MEKNES-TAFILALT – Strada N13 – 9,5 Km a 313° da Er-Rachidia, R. Rattu leg.


nuovo argomento
rispondi
Pagina 1 di 1 [ 11 messaggi ]
Autore Messaggio
MessaggioInviato: 12/02/2018, 18:18 
Avatar utente

Iscritto il: 02/09/2009, 20:57
Messaggi: 8703
Località: Cagliari
Nome: Roberto Rattu
Piccolo esemplare molto particolare, lungo 5.3 mm, raccolto al suolo mentre cercavo crisidi in zona predesertica:

DSCN3475.JPG



Top
profilo
 Oggetto del messaggio: Re: Hymenoptera da id.
MessaggioInviato: 12/02/2018, 19:35 
 

Iscritto il: 29/04/2014, 1:30
Messaggi: 475
Località: Napoli
Nome: Vincenzo Gentile
Non sono sicuro, ma dalla strozzatura mesotoracica credo Chalcidoidea Eupelmidae. Le zampe anteriori raptatorie però sono favolose...

_________________
Vade ad formicam...


Top
profilo
 Oggetto del messaggio: Re: Hymenoptera da id.
MessaggioInviato: 12/02/2018, 21:32 
Avatar utente

Iscritto il: 02/09/2009, 20:57
Messaggi: 8703
Località: Cagliari
Nome: Roberto Rattu
Ciao Vincenzo, intanto grazie :ok:

:hi:


Top
profilo
 Oggetto del messaggio: Re: Hymenoptera da id.
MessaggioInviato: 12/02/2018, 21:48 
Avatar utente

Iscritto il: 01/07/2010, 22:26
Messaggi: 5665
Località: Viterbo
Nome: Marco Selis
Non conosco minimamente queste piccole e interessanti bestiole, ma da un confronto iconografico penso possa essere uno Pteromalidae Cleonyminae del genere Oodera, o qualcosa di molto vicino.
Le zampe anteriori sono veramente fantastiche, chissà a cosa servono e che biologia hanno queste vespine.


Top
profilo
 Oggetto del messaggio: Re: Hymenoptera da id.
MessaggioInviato: 12/02/2018, 22:04 
 

Iscritto il: 29/04/2014, 1:30
Messaggi: 475
Località: Napoli
Nome: Vincenzo Gentile
Sì! Famiglia a me completamente ignota, ma sembra il taxon giusto. :)

Le zampe raptatorie molto probabilmente servono per tenere le prede. Il punto è che, siccome dovrebbero essere parassitoidi, forse in alcuni casi è previsto anche il rilascio della preda ancora vitale.

_________________
Vade ad formicam...


Top
profilo
 Oggetto del messaggio: Re: Hymenoptera da id.
MessaggioInviato: 12/02/2018, 22:14 
 

Iscritto il: 29/04/2014, 1:30
Messaggi: 475
Località: Napoli
Nome: Vincenzo Gentile
Altra cosa, ma qui siamo nella pura speculazione mentale: credo che l'anatomia simile agli Eupelmidi possa essere legata alla stessa funzione, cioè il salto.

Noto due caratteri in comune, entrambi potenzialmente propedeutici alla funzione saltatoria: il mesotorace strozzato e gli speroni tibiali delle zampe medie ben sviluppati.

Gli Eupelmidi hanno questa conformazione per poter contrarre la muscolatura mesotoracica, accumulare energia potenziale elastica e, rilasciando i muscoli, scaricarla al suolo attraverso gli arti medi, con i quali si sono piantati a terra con la base delle tibie e gli speroni.

Qualche euro lo scommetterei sul fatto che anche queste bestioline possano saltare.

_________________
Vade ad formicam...


Top
profilo
 Oggetto del messaggio: Re: Hymenoptera da id.
MessaggioInviato: 13/02/2018, 9:37 
Avatar utente

Iscritto il: 02/09/2009, 20:57
Messaggi: 8703
Località: Cagliari
Nome: Roberto Rattu
Grazie ancora :birra:

:hi:


Top
profilo
MessaggioInviato: 27/03/2018, 9:44 
 

Iscritto il: 26/06/2011, 9:07
Messaggi: 204
Nome: adriano cazzuoli
San Felice, 27 marzo

Si tratta dello Pteromalidae cleonymino (o del Cleonymidae, le posizioni degli specialisti sono ancora discordanti)
Oodera hoggarensis: Bravo, bravo a colui che è arrivato al genere!!
Ne abbiamo una specie molto simile anche in Europa, Oodera formosa, mediterranea.
Parassitano i coleotteri xilofagi, in particolare Buprestidae e Cerambycidae; dalla foto non si vede benissimo, ma sulla tibia ingrossata ci sono spazzole di setole nere: non servono per tenere ferma una larva quasi immobile, ma per spostare la segatura con la quale la larva tenta di proteggersi all'interno della sua galleria.


Top
profilo
MessaggioInviato: 27/03/2018, 11:51 
Avatar utente

Iscritto il: 02/09/2009, 20:57
Messaggi: 8703
Località: Cagliari
Nome: Roberto Rattu
Ciao Adriano, grazie :)

:hi:


Top
profilo
MessaggioInviato: 16/01/2019, 0:32 
Avatar utente

Iscritto il: 01/07/2010, 22:26
Messaggi: 5665
Località: Viterbo
Nome: Marco Selis
Mi sono recentemente imbattuto in una revisione uscita appena un mese dopo questa determinazione. Per il Marocco è stata descritta una specie che risulta molto simile a questo esemplare ed è fornita una chiave ben fatta, forse è il caso di ricontrollare la determinazione ;)

https://jhr.pensoft.net/articles.php?id=12754


Top
profilo
MessaggioInviato: 23/01/2019, 13:37 
 

Iscritto il: 26/06/2011, 9:07
Messaggi: 204
Nome: adriano cazzuoli
San Felice sul Panaro, 23 gennaio 2017

Ti ringrazio tantissimo di avermi aggiornato su di un gruppo di mio grande interesse; poiché d'inverno non viene catturato granché e poiché vado ad aggiornarmi lo zoological records circa una volta all'anno, ancora non conoscevo questo bellissimo lavoro.
Considerando che di solito un calcidoideo non lo si studia da una foto, oltretutto mediocre, posso però, utilizzando la nuova chiave, vedere che i margini del pronoto sono dritti e che il femore anteriore è circa 2,2 volte più lungo che largo, il che esclude Oodera circularicollis.
Ho controllato anche Oodera niehuisorum, perché una specie israeliana può giungere anche in nord Africa; quest'ultima ha le ali trasparenti e il mesoscutello con una diversa scultura, ma purtroppo nell'esemplare non si vede; inoltre presenterebbe forti riflessi blu, che nell'esemplare non sembrerebbero esservi.
Dunque confermerei Oodera hoggarensis, con qualche riserva circa Oodera formosa.
Oodera hoggarensis l'ho raccolta anche in Sicilia ( prossimo lavoro). Tu ti occupi anche di calcidoidei???

Adriano Cazzuoli


Top
profilo
Visualizza ultimi messaggi:  Ordina per  
nuovo argomento
rispondi
Pagina 1 di 1 [ 11 messaggi ]

Tutti gli orari sono UTC + 1 ora [ ora legale ]


Chi c’è in linea

Visitano il forum: Nessuno e 0 ospiti


Non puoi aprire nuovi argomenti
Non puoi rispondere negli argomenti
Non puoi modificare i tuoi messaggi
Non puoi cancellare i tuoi messaggi
Non puoi inviare allegati

Cerca per:
Vai a: