Benvenuto Ospite

Forum Entomologi Italiani

www.entomologiitaliani.net/forum
 
Oggi è 20/01/2026, 20:19

Tutti gli orari sono UTC + 1 ora [ ora legale ]

Rhodocyrtus cribripennis (Desbrochers des Loges, 1869) - Rhynchitidae

17.V.2019 - ITALIA - Toscana - PI, Bosco di Santa Luce - Santa Luce


nuovo argomento
rispondi
Pagina 1 di 1 [ 13 messaggi ]
Autore Messaggio
MessaggioInviato: 19/05/2019, 18:56 
Avatar utente

Iscritto il: 19/11/2012, 21:32
Messaggi: 276
Località: PISA
Nome: luigi innocenti
Spero questa volta di avere indovinato !
Trovati numerosi esemplari battendo un albero di Olivastro (allego la foto dell'albero per eventuale conferma) . L'ambiente e' di macchia mediterranea nel Bosco di Santa Luce (Pisa). Curioso il fatto che nonostante ci fossero numerosi alberi di questa essenza nelle vicinanze ,e' stato possibile reperire esemplari solo in questo albero.
Dimensioni degli esemplari (una ventina) da 4 a 6 mm compreso il rostro
Luigi


IMG_0431rid.JPG

IMG_0437 rid.jpg

bosco santa luce rid.jpg


_________________
Luigi
Top
profilo
MessaggioInviato: 19/05/2019, 21:23 
Avatar utente

Iscritto il: 24/04/2010, 8:24
Messaggi: 5095
Nome: Lucio Morin
Ciao Luigi,
circa l'id degli insetti non so dirti nulla ma l'arbusto mi sembra un Corbezzolo :? o sbaglio?
Ciao Lucio

_________________
A VOLTE E' MEGLIO TACERE E SEMBRARE STUPIDI CHE APRIR BOCCA E TOGLIERE OGNI DUBBIO Oscar Wilde


Top
profilo
MessaggioInviato: 19/05/2019, 22:47 
Avatar utente

Iscritto il: 19/11/2012, 21:32
Messaggi: 276
Località: PISA
Nome: luigi innocenti
Ciao Lucio
Assolutamente no (Il corbezzolo lo conosco anche io, sai quanta marmellata di corbezzole fatta da mia nonna ho mangiato da piccolo !)
La foto inganna altri hanno detto corbezzolo ! Questa pianta ha piccole bacche rosse raggruppate agli apici dei rami , non ricordo se poi diventano nere .Le foglie sono lanceate molto piccole simili a quelle dell' ulivo ma meno cerose
Luigi

_________________
Luigi


Top
profilo
MessaggioInviato: 19/05/2019, 23:04 
Avatar utente

Iscritto il: 22/12/2009, 13:31
Messaggi: 9646
Località: Napoli
Nome: Francesco Izzillo
Mirto? Comunque non mi pare oleastro che ha la pagina inferire della foglia più chiara e la pagina superiore più sul verde scuro rispetto a quelle nella tua foto. Ma perchè in questi casi non fate una foto ravvicinata delle foglie?

_________________
Francesco Izzillo


Top
profilo
MessaggioInviato: 20/05/2019, 9:59 
Avatar utente

Iscritto il: 19/11/2012, 21:32
Messaggi: 276
Località: PISA
Nome: luigi innocenti
Ciao Francesco
Hai perfettamente ragione ma non avevo in mente di postare la foto dell'albero
Comunque non e' nemmeno Mirto che conosco bene
Oggi, tempo permettendo, tornero' sul posto per fotografare meglio l'albero perche' a questo punto sono curioso anche io
Luigi

_________________
Luigi


Top
profilo
MessaggioInviato: 20/05/2019, 10:30 
 

Iscritto il: 08/03/2019, 20:47
Messaggi: 62
Località: Putignano (BA)
Nome: Angelo Maria Petruzzi
Potrebbe essere una pianta di fillirea o di alaterno (se a foglie alterne).
Angelo


Top
profilo
MessaggioInviato: 20/05/2019, 14:57 
Avatar utente

Iscritto il: 08/02/2010, 23:01
Messaggi: 6180
Località: Vicenza
Nome: Silvano Biondi
Comunque la bestia è quella :ok:

:hi:

_________________



Silvano


Top
profilo
MessaggioInviato: 20/05/2019, 18:09 
Avatar utente

Iscritto il: 19/11/2012, 21:32
Messaggi: 276
Località: PISA
Nome: luigi innocenti
Grazie Silvano :hp:
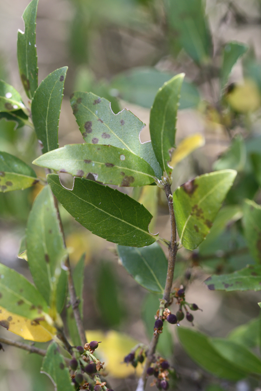
Sono tornato sul posto per le foto all'albero e regolarmente sullo stesso ho reperito altri esemplari. Questa volta ne ho trovati altri in altre zone sempre sulla stessa essenza che direi trattarsi di Fillirea


IMG_0457 rid.jpg

IMG_0449 rid.jpg

IMG_0446 ridrdrd.jpg


_________________
Luigi
Top
profilo
MessaggioInviato: 20/05/2019, 18:14 
Avatar utente

Iscritto il: 22/12/2009, 13:31
Messaggi: 9646
Località: Napoli
Nome: Francesco Izzillo
La Fillirea, che io sappia, ha il bordo della foglia completamente liscio.

_________________
Francesco Izzillo


Top
profilo
MessaggioInviato: 21/05/2019, 9:53 
Avatar utente

Iscritto il: 19/11/2012, 21:32
Messaggi: 276
Località: PISA
Nome: luigi innocenti
Ciao Francesco
Ho provato a documentarmi un poco . Di Phillyrea esistono numerose specie tra cui P. latifolia che ha le foglioline seghettate e dalle foto sul Web sembrerebbe proprio questa specie .
Vediamo se ci saranno altri interventi
Ritornando a R. cribripennis il ritrovamento in numero di questa specie classica per olivo e olivastro , potrebbe far pensare ad una dispersione piu' ampia interessando anche Phillyrea e da verificare altre Olivacee
Luigi

_________________
Luigi


Top
profilo
MessaggioInviato: 22/05/2019, 9:56 
Avatar utente

Iscritto il: 08/02/2010, 23:01
Messaggi: 6180
Località: Vicenza
Nome: Silvano Biondi
Vedo che esistono altre segnalazioni su Phylliraea, per esempio nella Faune de France (Hoffmann, 1958), in questo caso P. angustifolia. Come già segnalato, la biologia di questa specie andrebbe approfondita.
Luigi, se ne hai raccolti parecchi esemplari, potresti tenermi una coppia? Della Toscana ho diverse catture, ma il fatto che sia certificata la pianta ospite li rende più interessanti.

:hi:

_________________



Silvano


Top
profilo
MessaggioInviato: 22/05/2019, 22:49 
Avatar utente

Iscritto il: 19/11/2012, 21:32
Messaggi: 276
Località: PISA
Nome: luigi innocenti
Ciao Silvano
Gli esemplari sono gia' messi da parte per te
Luigi

_________________
Luigi


Top
profilo
MessaggioInviato: 22/05/2019, 22:57 
Avatar utente

Iscritto il: 08/02/2010, 23:01
Messaggi: 6180
Località: Vicenza
Nome: Silvano Biondi
Grazie

:hi:

_________________



Silvano


Top
profilo
Visualizza ultimi messaggi:  Ordina per  
nuovo argomento
rispondi
Pagina 1 di 1 [ 13 messaggi ]

Tutti gli orari sono UTC + 1 ora [ ora legale ]


Chi c’è in linea

Visitano il forum: Nessuno e 0 ospiti


Non puoi aprire nuovi argomenti
Non puoi rispondere negli argomenti
Non puoi modificare i tuoi messaggi
Non puoi cancellare i tuoi messaggi
Non puoi inviare allegati

Cerca per:
Vai a: