| Autore |
Messaggio |
|
Mikiphasmide
|
Inviato: 29/06/2019, 20:00 |
|
Iscritto il: 21/02/2011, 15:25 Messaggi: 3879 Località: Montecchio Emilia (RE)
Nome: Violi Michele
|
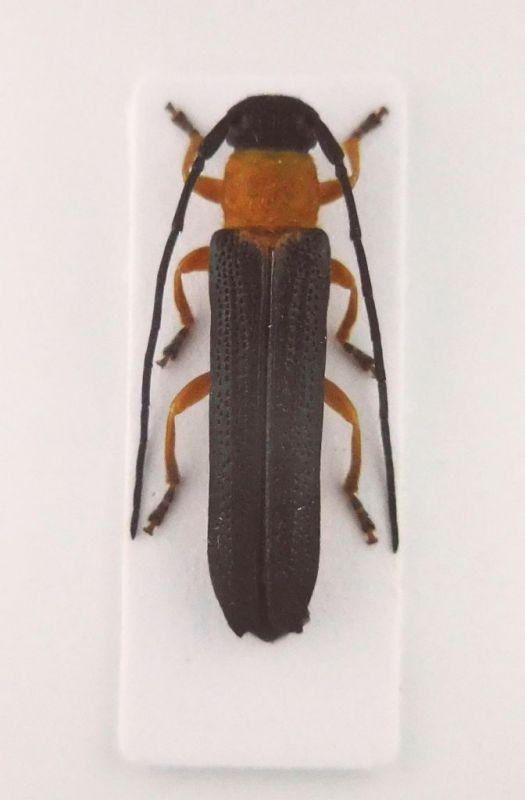
Altra bella e interessante specie, che però non ho avuto il piacere di poter allevare con successo Avendo scoperto qualche alberello e stentato cespuglio di Rhamnus frangula, con numerosi segni della presenza di questa specie, in una stretta gola in fondo alla quale scorre un piccolo rio, affluente torrente Enza (nella foto, a sinistra, uno degli alberelli di Frangola), ho tentato l'allevamento asportando 4 rami attaccati a settembre 2017 e cercando di farli radicare in sabbia umida, senza riuscirvi. Tre giovani larve non sono sopravvissute, solo una larva, più grossa delle altre (quindi immagino al secondo anno di vita) ha portato a termine il ciclo nel giugno 2018, ma sfarfallando molto deformata e di piccole dimensioni, a causa del legno ormai secco da tempo. Metto le foto delle larve di questo tentativo di allevamento, la foto al povero Quasimodo ve la risparmio Quest'anno però ho tenuto controllato il posto in questione, guardando sotto le foglie della pianta nutrice e aspettando di vedere qualche adulto, che non si è fatto attendere! Finalmente due settimane fa ho trovato il bellissimo adulto che vedete in foto! Era già conosciuta della provincia di Reggio Emilia?

|
Giovane larva, IX.2017, stessa località

|
Larva matura, IX.2017, stessa località

|
15 mm

|
_________________ Michele 
|
|
| Top |
|
 |
|
Plagionotus
|
Inviato: 29/06/2019, 21:32 |
|
Iscritto il: 21/05/2009, 14:59 Messaggi: 6995 Località: Parigi
Nome: Riccardo Poloni
|
Ciao Michele, ma davvero l'hai trovata a Reggio? Questa non è la pupillata, ma la pedemontana, bella bestia davvero! Noi non l'abbiamo mai trovata e le citazioni sono tutte vecchie 
_________________ Riccardo Poloni La dignità degli elementi la libertà della poesia, al di là dei tradimenti degli uomini è magia, è magia, è magia... Negrita, Rotolando verso sud
|
|
| Top |
|
 |
|
marco villa
|
Inviato: 30/06/2019, 8:22 |
|
Iscritto il: 19/06/2012, 14:35 Messaggi: 5666 Località: Alfonsine (RA)
Nome: Marco Villani
|
Complimenti per il ritrovamento Michele Marco 
|
|
| Top |
|
 |
|
Mikiphasmide
|
Inviato: 30/06/2019, 11:49 |
|
Iscritto il: 21/02/2011, 15:25 Messaggi: 3879 Località: Montecchio Emilia (RE)
Nome: Violi Michele
|
Grazie Marco! Plagionotus ha scritto: Ciao Michele, ma davvero l'hai trovata a Reggio? Questa non è la pupillata, ma la pedemontana, bella bestia davvero! Noi non l'abbiamo mai trovata e le citazioni sono tutte vecchie  Reggio provincia, praticamente sul confine parmense  se mi vieni a trovare ti ci porto! Ma le citazioni vecchie che dici sono per il reggiano o l’Emilia in generale?
_________________ Michele 
|
|
| Top |
|
 |
|
Xylotrechus
|
Inviato: 30/06/2019, 16:13 |
|
Iscritto il: 07/09/2010, 12:59 Messaggi: 1920 Località: Como
Nome: Matteo Zugno
|
Bravo Michi! 
|
|
| Top |
|
 |
|
Plagionotus
|
Inviato: 01/07/2019, 10:08 |
|
Iscritto il: 21/05/2009, 14:59 Messaggi: 6995 Località: Parigi
Nome: Riccardo Poloni
|
Mikiphasmide ha scritto: Grazie Marco! Plagionotus ha scritto: Ciao Michele, ma davvero l'hai trovata a Reggio? Questa non è la pupillata, ma la pedemontana, bella bestia davvero! Noi non l'abbiamo mai trovata e le citazioni sono tutte vecchie  Reggio provincia, praticamente sul confine parmense  se mi vieni a trovare ti ci porto! Ma le citazioni vecchie che dici sono per il reggiano o l’Emilia in generale? Magari  . Purtroppo quest'anno sono confinato in terra straniera. Magari un altr'anno! Per la citazione non so esattamente la località, però la checklist della fauna italiana la riporta. A me non risulta presente in Emilia e neanche nella checklist dei Cerambycidae emiliani che avevamo pubblicato un paio di anni fa, quindi suppongo sia una citazione o vecchia o del piacentino.
_________________ Riccardo Poloni La dignità degli elementi la libertà della poesia, al di là dei tradimenti degli uomini è magia, è magia, è magia... Negrita, Rotolando verso sud
|
|
| Top |
|
 |
|
Mikiphasmide
|
Inviato: 01/07/2019, 12:47 |
|
Iscritto il: 21/02/2011, 15:25 Messaggi: 3879 Località: Montecchio Emilia (RE)
Nome: Violi Michele
|
Xylotrechus ha scritto: Bravo Michi!  Grazie Matteo! Fatti vivo ogni tanto! Plagionotus ha scritto: A me non risulta presente in Emilia e neanche nella checklist dei Cerambycidae emiliani che avevamo pubblicato un paio di anni fa, quindi suppongo sia una citazione o vecchia o del piacentino. Capito, bene  Ho guardato sulla ckmap che per l'Emilia ci sono solo tre località bolognesi. Di altri dati emiliani conoscevo solo quello della prov. di Piacienza qui.
_________________ Michele 
|
|
| Top |
|
 |
|
Plagionotus
|
Inviato: 01/07/2019, 13:37 |
|
Iscritto il: 21/05/2009, 14:59 Messaggi: 6995 Località: Parigi
Nome: Riccardo Poloni
|
|
Ecco, infatti per l'Emilia centrale non mi risultava!
_________________ Riccardo Poloni La dignità degli elementi la libertà della poesia, al di là dei tradimenti degli uomini è magia, è magia, è magia... Negrita, Rotolando verso sud
|
|
| Top |
|
 |
|