Benvenuto Ospite

Forum Entomologi Italiani

www.entomologiitaliani.net/forum
 
Oggi è 12/02/2026, 11:11

Tutti gli orari sono UTC + 1 ora [ ora legale ]

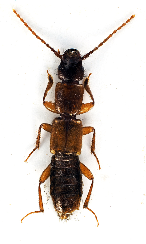
Scymbalium anale (Nordmann, 1836) - Staphylinidae Paederinae Lathrobiina

6.X.2019 - ITALIA - Toscana - AR, Sasso Simone, Sestino


nuovo argomento
rispondi
Pagina 1 di 1 [ 3 messaggi ]
Autore Messaggio
MessaggioInviato: 09/10/2019, 18:34 
Avatar utente

Iscritto il: 10/05/2009, 15:30
Messaggi: 7182
Località: Ancona
Nome: Giacomo Giovagnoli
Mi ha incuriosito parecchio, chi è?

Sasso Simone, Sestino (Arezzo); 06.X.2019, sotto pietra a 1100m

I colori sono questi, non è immaturo perché l'ho tenuto vivo due giorni.

[grazie zio per le foto!!! :birra: ]

Dimensioni: 8mm
Comb2848-17zL6cr.jpg


Comb28498-57zL6cr.jpg



Ciao :)

_________________
Immagine Giacomo


Top
profilo
 Oggetto del messaggio: Re: Staphylinidae da ID
MessaggioInviato: 09/10/2019, 19:37 
 

Iscritto il: 02/11/2010, 22:33
Messaggi: 991
Nome: Aleksei Kovalev
Scymbalium anale: viewtopic.php?f=243&t=60210&hilit=scymbalium+anale
:hi:


Top
profilo
 Oggetto del messaggio: Re: Staphylinidae da ID
MessaggioInviato: 09/10/2019, 19:43 
Avatar utente

Iscritto il: 10/05/2009, 15:30
Messaggi: 7182
Località: Ancona
Nome: Giacomo Giovagnoli
Wow!!! Very fast!!! :ok:

_________________
Immagine Giacomo


Top
profilo
Visualizza ultimi messaggi:  Ordina per  
nuovo argomento
rispondi
Pagina 1 di 1 [ 3 messaggi ]

Tutti gli orari sono UTC + 1 ora [ ora legale ]


Chi c’è in linea

Visitano il forum: Nessuno e 0 ospiti


Non puoi aprire nuovi argomenti
Non puoi rispondere negli argomenti
Non puoi modificare i tuoi messaggi
Non puoi cancellare i tuoi messaggi
Non puoi inviare allegati

Cerca per:
Vai a: