Benvenuto Ospite

Forum Entomologi Italiani

www.entomologiitaliani.net/forum
 
Oggi è 09/02/2026, 16:25

Tutti gli orari sono UTC + 1 ora [ ora legale ]

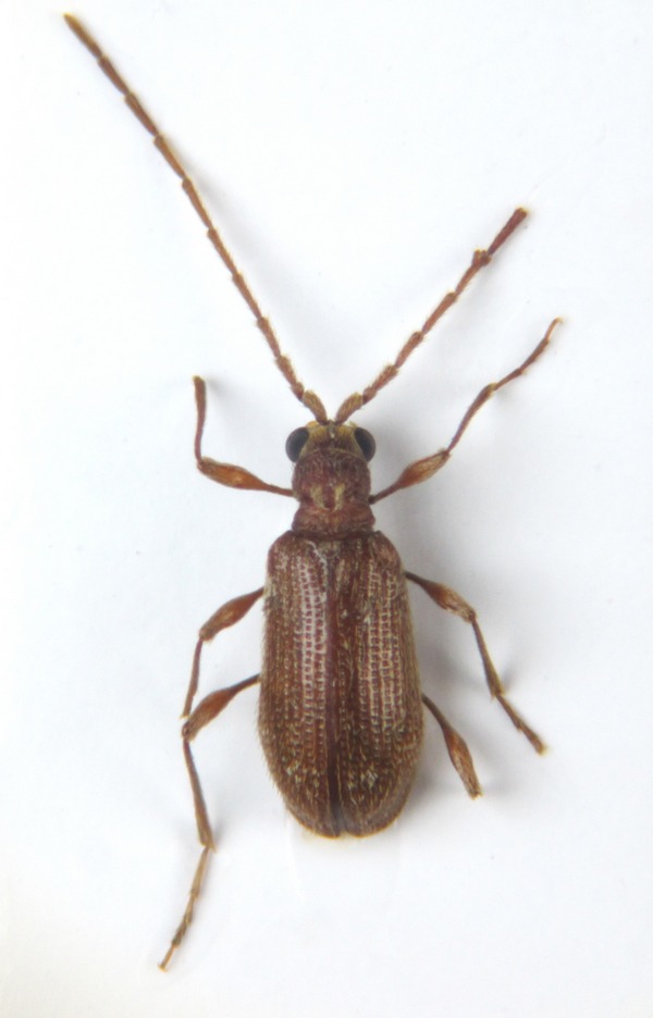
Ptinus (Ptinus) fur (Linnaeus, 1758) - Anobiidae Ptininae

21.XII.2015 - ROMANIA - EE, Bacau County: Comanesti


nuovo argomento
rispondi
Pagina 1 di 1 [ 4 messaggi ]
Autore Messaggio
MessaggioInviato: 25/01/2020, 22:31 
Avatar utente

Iscritto il: 31/08/2010, 7:16
Messaggi: 3043
Località: Romania
Nome: Pintilioaie Alexandru Mihai
Hi all, I am not sure about this Ptinus, it can be Ptinus schrelethi? Lenght ~ 4 mm

IMG_0479.JPG



IMG_0482.JPG



IMG_0486.JPG


_________________
alexandrupintilioaie(AT)gmail.com


Top
profilo
 Oggetto del messaggio: Re: Ptinus sp.
MessaggioInviato: 26/01/2020, 13:05 
 

Iscritto il: 10/07/2010, 14:42
Messaggi: 4849
Nome: Giuseppe Pace
Non conosco direttamente Ptinus schrelethi.

Comunque, anche questo è un:
Ptinus (Ptinus) fur (Linné, 1758).

Ciao
Giuseppe


Top
profilo
MessaggioInviato: 26/01/2020, 18:15 
Avatar utente

Iscritto il: 31/08/2010, 7:16
Messaggi: 3043
Località: Romania
Nome: Pintilioaie Alexandru Mihai
Thank you again :lov2: , the left paramer looked strange to me (I think it is stick to aedeagus) si that's why I was thinking of another species :roll: :hi:

_________________
alexandrupintilioaie(AT)gmail.com


Top
profilo
MessaggioInviato: 27/01/2020, 19:24 
 

Iscritto il: 10/07/2010, 14:42
Messaggi: 4849
Nome: Giuseppe Pace
alexaandru ha scritto:
left paramer looked strange to me (I think it is stick to aedeagus) si that's why I was thinking of another species


Prova a girare la foto, invertendo destra e sinistra.
Sarà più simile a quello dell'altro esemplare. :lol1:

Ciao
Giuseppe


Top
profilo
Visualizza ultimi messaggi:  Ordina per  
nuovo argomento
rispondi
Pagina 1 di 1 [ 4 messaggi ]

Tutti gli orari sono UTC + 1 ora [ ora legale ]


Chi c’è in linea

Visitano il forum: Nessuno e 1 ospite


Non puoi aprire nuovi argomenti
Non puoi rispondere negli argomenti
Non puoi modificare i tuoi messaggi
Non puoi cancellare i tuoi messaggi
Non puoi inviare allegati

Cerca per:
Vai a: