| Autore |
Messaggio |
|
Valerio
|
Inviato: 12/05/2020, 11:16 |
|
Iscritto il: 28/04/2010, 23:44 Messaggi: 2107 Località: Roma
Nome: Valerio Viglioglia
|
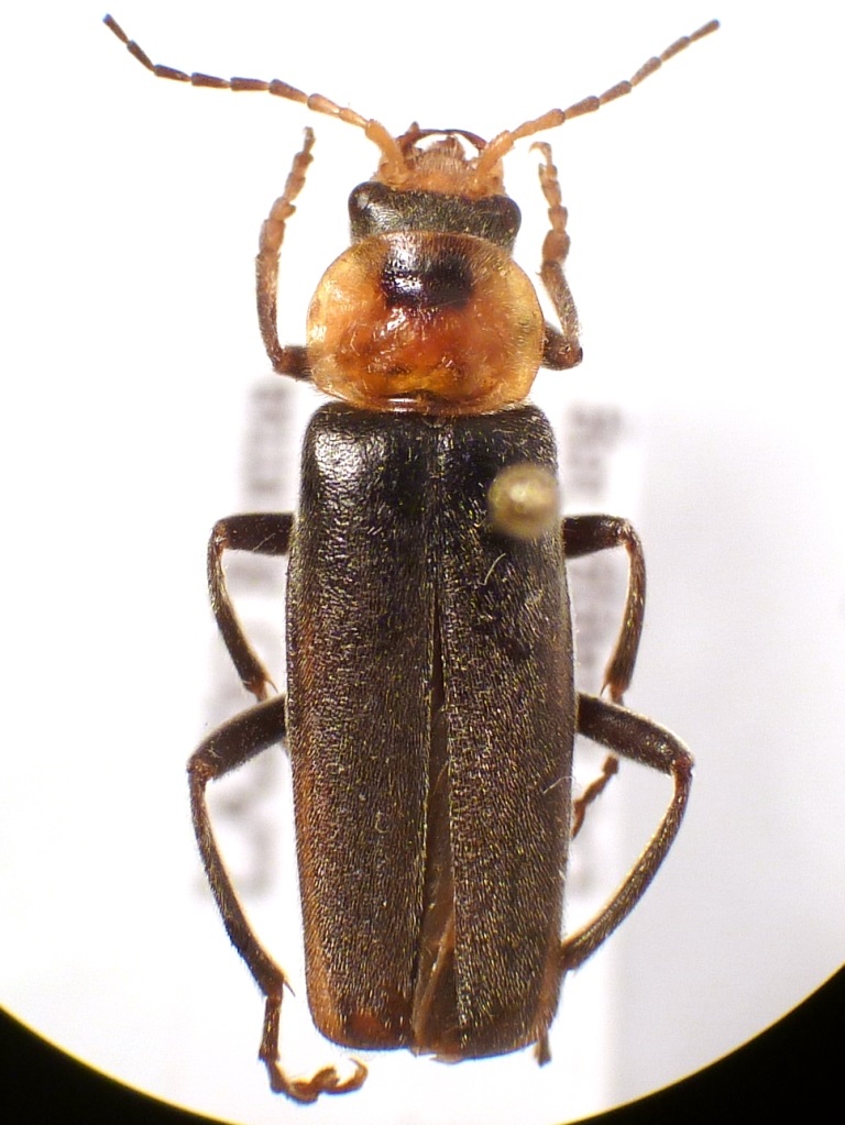
Quest esemplare, insieme ad un'altro (che pubblicherò probabilmente fra 4-5 anni) li ho determinati come Cantharis fusca. Chiedo conferma o smentita L. = 15 mm
_________________ Valerio V
|
|
| Top |
|
 |
|
Paradomorphus
|
Inviato: 13/05/2020, 11:29 |
|
Iscritto il: 14/10/2016, 16:39 Messaggi: 437 Località: Settimo Torinese (TO)
Nome: Federico Rosso
|
Ci sono decine di specie similerrime, non è assolutamente detto che sia C. fusca. Qualche tempo fa mi interessai un poco di Cantharidi, ma lasciai perdere per via della complessità del gruppo, che se avessi seguito mi avrebbe portato via troppo tempo per i buprestidi. Comunque con questi animali non ti consiglio di sbilanciarti in determinazioni specifiche senza farli vedere a uno specialista, ce ne sono davvero tanti molto molto simili. Di specialista ne conosco uno, ma non visita più il forum da anni. 
_________________ Federico Rosso
... venite pure con le ragioni e con le dimostrazioni, vostre o di Aristotile, e non con testi e nude autorità, perché i discorsi nostri hanno a essere intorno al mondo sensibile, e non sopra un mondo di carta. (Galileo Galilei)
|
|
| Top |
|
 |
|
Valerio
|
Inviato: 13/05/2020, 11:39 |
|
Iscritto il: 28/04/2010, 23:44 Messaggi: 2107 Località: Roma
Nome: Valerio Viglioglia
|
|
Si so che sono ostici, per questo li raccolgo poco e ne metto un po' qui. Lo specialista che citi è Hutia? Mi sono accorto che il suo profilo non è più accessibile. Forse cancellato
_________________ Valerio V
|
|
| Top |
|
 |
|
Paradomorphus
|
Inviato: 13/05/2020, 11:47 |
|
Iscritto il: 14/10/2016, 16:39 Messaggi: 437 Località: Settimo Torinese (TO)
Nome: Federico Rosso
|
Valerio ha scritto: Si so che sono ostici, per questo li raccolgo poco e ne metto un po' qui. Lo specialista che citi è Hutia? Mi sono accorto che il suo profilo non è più accessibile. Forse cancellato Già, si è fatto cancellare dal forum, lunga storia. Ti mando un MP per fornirti due dati sui cantaridi 
_________________ Federico Rosso
... venite pure con le ragioni e con le dimostrazioni, vostre o di Aristotile, e non con testi e nude autorità, perché i discorsi nostri hanno a essere intorno al mondo sensibile, e non sopra un mondo di carta. (Galileo Galilei)
|
|
| Top |
|
 |
|
Valerio
|
Inviato: 16/05/2020, 19:36 |
|
Iscritto il: 28/04/2010, 23:44 Messaggi: 2107 Località: Roma
Nome: Valerio Viglioglia
|
F. Fanti conferma Cantharis fusca femmina 
_________________ Valerio V
|
|
| Top |
|
 |
|
Paradomorphus
|
Inviato: 16/05/2020, 19:58 |
|
Iscritto il: 14/10/2016, 16:39 Messaggi: 437 Località: Settimo Torinese (TO)
Nome: Federico Rosso
|
Valerio ha scritto: F. Fanti conferma Cantharis fusca femmina   a breve rinomino
_________________ Federico Rosso
... venite pure con le ragioni e con le dimostrazioni, vostre o di Aristotile, e non con testi e nude autorità, perché i discorsi nostri hanno a essere intorno al mondo sensibile, e non sopra un mondo di carta. (Galileo Galilei)
|
|
| Top |
|
 |
|