Benvenuto Ospite

Forum Entomologi Italiani

www.entomologiitaliani.net/forum
 
Oggi è 22/12/2025, 15:08

Tutti gli orari sono UTC + 1 ora [ ora legale ]

Anhammus sp. - Cerambycidae

1990 - MALESIA - EE, assente


nuovo argomento
rispondi
Pagina 1 di 1 [ 3 messaggi ]
Autore Messaggio
 Oggetto del messaggio: Anhammus sp. - Cerambycidae
MessaggioInviato: 12/06/2020, 22:35 
Avatar utente

Iscritto il: 19/09/2009, 22:25
Messaggi: 5913
Località: Brescia
Nome: Vinicio Salami
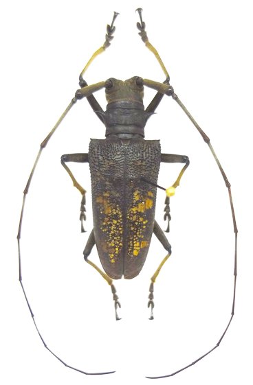
un amico mi chiede lumi su questa bestiola, lunga circa 40mm...gli unici dati riportati sul cartellino sono: Malesia 1990.
qualcuno è in grado di aiutarmi?

:birra: :birra:

DSC08347.jpg



Top
profilo
 Oggetto del messaggio: Re: Cerambycidae della malesia
MessaggioInviato: 13/06/2020, 21:25 
Avatar utente

Iscritto il: 06/11/2011, 23:59
Messaggi: 1134
Località: Casola Valsenio
Nome: Carlo Arrigo Casadio
L'esemplare sembra molto sporco, probabilmente è ricoperto di grasso, ma il genere dovrebbe essere Anhammus; per la specie la vedo dura, forse una qualche ssp di Anhammus dalenii.

_________________
Carlo Arrigo

"Solo un entomologo può capire il piacere da me provato nel cacciare per ore in qua e in là, sotto il sole cocente, tra i rami e i ramoscelli e la corteccia degli alberi caduti"
Alfred Russel Wallace


Top
profilo
 Oggetto del messaggio: Re: Cerambycidae della malesia
MessaggioInviato: 13/06/2020, 21:55 
Avatar utente

Iscritto il: 19/09/2009, 22:25
Messaggi: 5913
Località: Brescia
Nome: Vinicio Salami
Carlo A. ha scritto:
L'esemplare sembra molto sporco, probabilmente è ricoperto di grasso, ma il genere dovrebbe essere Anhammus; per la specie la vedo dura, forse una qualche ssp di Anhammus dalenii.



grazie mille...riferirò.

:birra: :birra: :birra:


Top
profilo
Visualizza ultimi messaggi:  Ordina per  
nuovo argomento
rispondi
Pagina 1 di 1 [ 3 messaggi ]

Tutti gli orari sono UTC + 1 ora [ ora legale ]


Chi c’è in linea

Visitano il forum: Nessuno e 3 ospiti


Non puoi aprire nuovi argomenti
Non puoi rispondere negli argomenti
Non puoi modificare i tuoi messaggi
Non puoi cancellare i tuoi messaggi
Non puoi inviare allegati

Cerca per:
Vai a: