Benvenuto Ospite

Forum Entomologi Italiani

www.entomologiitaliani.net/forum
 
Oggi è 27/12/2025, 5:24

Tutti gli orari sono UTC + 1 ora [ ora legale ]

Suillia affinis (Meigen, 1830) (cf.) - Heleomyzidae

IX.2020 - ITALIA - Lazio - FR, Posta Fibreno


nuovo argomento
rispondi
Pagina 1 di 1 [ 11 messaggi ]
Autore Messaggio
MessaggioInviato: 25/11/2020, 22:49 
Avatar utente

Iscritto il: 05/07/2009, 12:23
Messaggi: 6860
Località: Anzio (RM)
Nome: Vittorio Risoldi
Posta Fibreno FR

Dal 3 al 8.9.2020

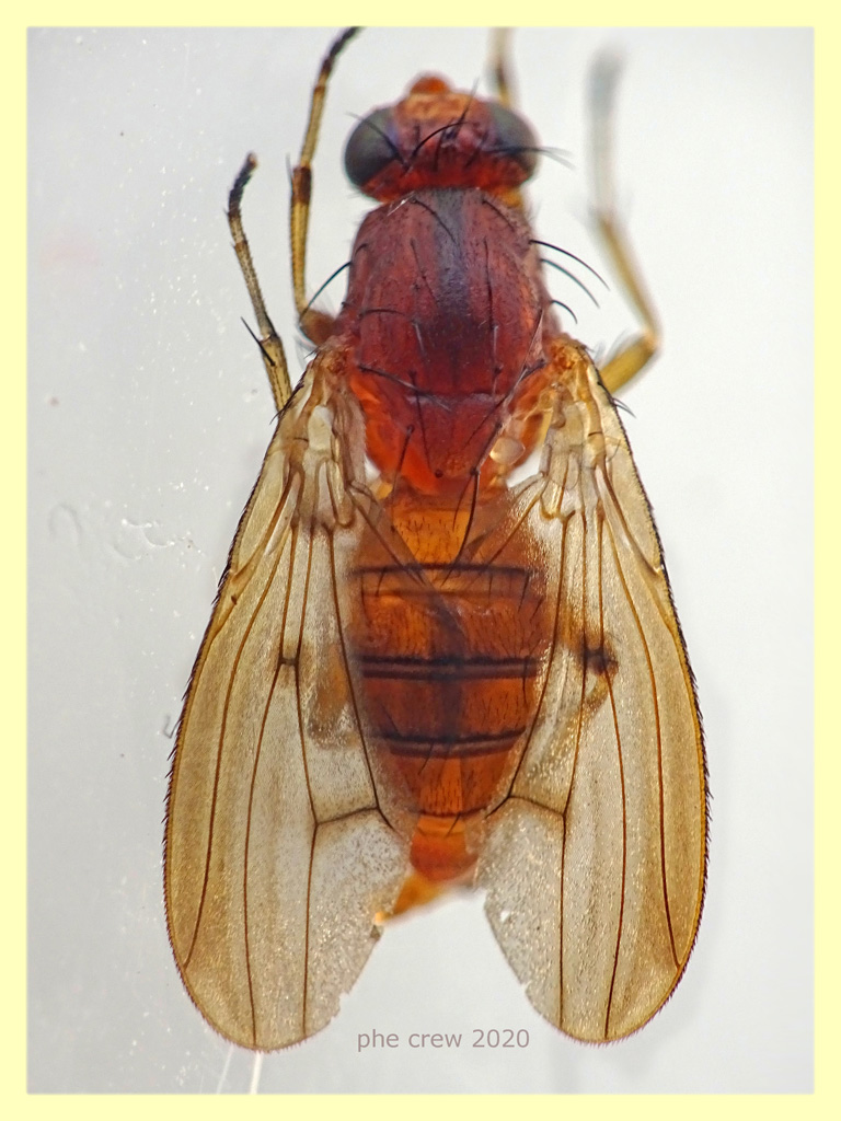
7 mm. in trappola ad aceto. Sembra un Lauxaniidae. Se servono altri dettagli chiedete pure.

probabile Lauxaniidae 7 mm.  - Posta Fibreno FR - dal 3 al 8.9.2020 - (1).JPG

probabile Lauxaniidae 7 mm.  - Posta Fibreno FR - dal 3 al 8.9.2020 - (2).JPG

probabile Lauxaniidae 7 mm.  - Posta Fibreno FR - dal 3 al 8.9.2020 - (9).JPG

probabile Lauxaniidae 7 mm.  - Posta Fibreno FR - dal 3 al 8.9.2020 - (4).JPG

probabile Lauxaniidae 7 mm.  - Posta Fibreno FR - dal 3 al 8.9.2020 - (3).JPG

probabile Lauxaniidae 7 mm.  - Posta Fibreno FR - dal 3 al 8.9.2020 - (8).JPG

probabile Lauxaniidae 7 mm.  - Posta Fibreno FR - dal 3 al 8.9.2020 - (6).JPG

probabile Lauxaniidae 7 mm.  - Posta Fibreno FR - dal 3 al 8.9.2020 - (7).JPG

probabile Lauxaniidae 7 mm.  - Posta Fibreno FR - dal 3 al 8.9.2020 - (5).JPG


_________________
°°°°°°°°°°°°°°°°°°°°°°°°°°°°°°°°°°°°°°°°
Ciao
Vittorio


Flickr

Phe Immagini

Facebook


Top
profilo
 Oggetto del messaggio: Re: Dittero
MessaggioInviato: 26/11/2020, 14:30 
Avatar utente

Iscritto il: 05/09/2011, 17:28
Messaggi: 2641
Nome: Leonida GRAZIOLI
Più particolari di così.
Belle immagini.
Ciao
Leonida


Top
profilo
 Oggetto del messaggio: Re: Dittero
MessaggioInviato: 26/11/2020, 20:53 
Avatar utente

Iscritto il: 05/07/2009, 12:23
Messaggi: 6860
Località: Anzio (RM)
Nome: Vittorio Risoldi
...alcuni insetti per essere determinati oltre all' edeago hanno bisogno di altri piccoli dettagli....peli, capo, addome etc etc. Cerco sempre di fotografare il più possibile specialmente in natura...sempre se il soggetto me lo consente. :hi:

_________________
°°°°°°°°°°°°°°°°°°°°°°°°°°°°°°°°°°°°°°°°
Ciao
Vittorio


Flickr

Phe Immagini

Facebook


Top
profilo
 Oggetto del messaggio: Re: Dittero
MessaggioInviato: 27/11/2020, 22:00 
 

Iscritto il: 10/08/2010, 14:39
Messaggi: 3235
Località: Milano
Nome: Carlo Monari
L'aceto non deve avergli fatto bene. Che fine han fatto le antenne? Comunque, per il momento brancolo ancora nel buio; Lauxaniidae non mi convince ma altre alternative sensate non ne ancora trovate.

_________________
Ciao

Carlo


Top
profilo
 Oggetto del messaggio: Re: Dittero
MessaggioInviato: 27/11/2020, 22:11 
Avatar utente

Iscritto il: 05/07/2009, 12:23
Messaggi: 6860
Località: Anzio (RM)
Nome: Vittorio Risoldi
... grazie Carlo per l'impegno :lov2: continua continua :D
...in aceto è stato 3 gg, il colore è proprio questo....le antenne si vedono nell'ultima foto...sono purtroppo attaccate al muso...dimmi te che foto posso fare...

_________________
°°°°°°°°°°°°°°°°°°°°°°°°°°°°°°°°°°°°°°°°
Ciao
Vittorio


Flickr

Phe Immagini

Facebook


Top
profilo
 Oggetto del messaggio: Re: Dittero
MessaggioInviato: 28/11/2020, 15:00 
Avatar utente

Iscritto il: 05/07/2009, 12:23
Messaggi: 6860
Località: Anzio (RM)
Nome: Vittorio Risoldi
....dopo essermi scervellato per ore con la venulazione alare...mi accorgo con mio grande stupore che un angolo di ala era ripiegato su se stesso... dopodiché ripercorrendo i miei passi sono arrivato ad Agromyzidae Agromyzinae... :? ...che ne dici Carlo ?

ala (3).JPG


_________________
°°°°°°°°°°°°°°°°°°°°°°°°°°°°°°°°°°°°°°°°
Ciao
Vittorio


Flickr

Phe Immagini

Facebook


Top
profilo
 Oggetto del messaggio: Re: Dittero
MessaggioInviato: 28/11/2020, 17:04 
 

Iscritto il: 10/08/2010, 14:39
Messaggi: 3235
Località: Milano
Nome: Carlo Monari
Non ho trovato Agromyzidae con un aspetto simile a questo. Finora le maggiori somiglianze di habitus le ho trovate tra gli Heleomyzidae, ma continuano ad esserci cose che non tornano.

_________________
Ciao

Carlo


Top
profilo
 Oggetto del messaggio: Re: Dittero
MessaggioInviato: 28/11/2020, 19:01 
Avatar utente

Iscritto il: 05/07/2009, 12:23
Messaggi: 6860
Località: Anzio (RM)
Nome: Vittorio Risoldi
Carlo Monari ha scritto:
Non ho trovato Agromyzidae con un aspetto simile a questo. Finora le maggiori somiglianze di habitus le ho trovate tra gli Heleomyzidae, ma continuano ad esserci cose che non tornano.


...esatto Carlo...anche io mi sono accorto che il 7 mm. in Agromyzidae sono troppi, le ali con aloni e tacche non combaciano...sono quasi sempre ialine...le antenne sono piumate... dunque, dopo tanta fatica spero sia una Suillia sp. non tanto comune. Allego altri dettagli e passo la palla a voi esperti. :hi:

pron.JPG

ant (12).JPG

addome (2).JPG

zampa (18).JPG


_________________
°°°°°°°°°°°°°°°°°°°°°°°°°°°°°°°°°°°°°°°°
Ciao
Vittorio


Flickr

Phe Immagini

Facebook


Top
profilo
 Oggetto del messaggio: Re: Dittero
MessaggioInviato: 25/12/2020, 9:46 
 

Iscritto il: 10/08/2010, 14:39
Messaggi: 3235
Località: Milano
Nome: Carlo Monari
Confermerei Heleomyzidae; forse Suillia gruppo affinis

_________________
Ciao

Carlo


Top
profilo
 Oggetto del messaggio: Re: Dittero
MessaggioInviato: 26/12/2020, 23:15 
Avatar utente

Iscritto il: 05/07/2009, 12:23
Messaggi: 6860
Località: Anzio (RM)
Nome: Vittorio Risoldi
Grazie Carlo...stavo cercando un link sugli Heleomyzidae che non trovo più, dove c'era un soggetto con questa fronte puntinata....il problema che non era una Suillia...Appena lo ritrovo lo posto.

_________________
°°°°°°°°°°°°°°°°°°°°°°°°°°°°°°°°°°°°°°°°
Ciao
Vittorio


Flickr

Phe Immagini

Facebook


Top
profilo
 Oggetto del messaggio: Re: Dittero
MessaggioInviato: 27/12/2020, 13:31 
Avatar utente

Iscritto il: 05/07/2009, 12:23
Messaggi: 6860
Località: Anzio (RM)
Nome: Vittorio Risoldi
...il soggetto che dicevo ha la fronte molto meno puntinata e si tratta di una Morpholeria sp. vista su Spessart-fliegen.de. Dunque è molto probabile che sia proprio una Suillia affinis ... anche un cf. va benissimo :birra:

_________________
°°°°°°°°°°°°°°°°°°°°°°°°°°°°°°°°°°°°°°°°
Ciao
Vittorio


Flickr

Phe Immagini

Facebook


Top
profilo
Visualizza ultimi messaggi:  Ordina per  
nuovo argomento
rispondi
Pagina 1 di 1 [ 11 messaggi ]

Tutti gli orari sono UTC + 1 ora [ ora legale ]


Chi c’è in linea

Visitano il forum: Nessuno e 0 ospiti


Non puoi aprire nuovi argomenti
Non puoi rispondere negli argomenti
Non puoi modificare i tuoi messaggi
Non puoi cancellare i tuoi messaggi
Non puoi inviare allegati

Cerca per:
Vai a:  
cron