Benvenuto Ospite

Forum Entomologi Italiani

www.entomologiitaliani.net/forum
 
Oggi è 15/12/2025, 2:34

Tutti gli orari sono UTC + 1 ora [ ora legale ]

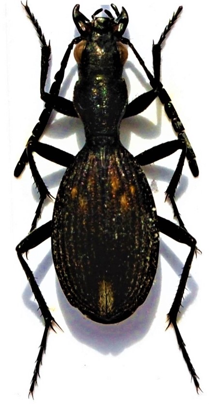
Piezia angusticollis angusticollis Boheman, 1848 - Carabidae

15.XII.2012 - SUD AFRICA - EE, Limpopo prov.,Waterberg br.1010 m,Marken env.


nuovo argomento
rispondi
Pagina 1 di 1 [ 4 messaggi ]
Autore Messaggio
MessaggioInviato: 03/03/2021, 13:49 
Avatar utente

Iscritto il: 09/11/2009, 14:12
Messaggi: 5166
Località: Hradec Kralove,Czech republik
Nome: Jan Matějíček
l'ultima specie Piezia da determinare


6.jpg


_________________
Research Fields
Taxonomy, ecology, biomonitoring , faunistic of Staphylinidae
Top
profilo
 Oggetto del messaggio: Re: Piezia sp.5
MessaggioInviato: 03/03/2021, 14:28 
Avatar utente

Iscritto il: 08/05/2010, 22:25
Messaggi: 1463
Località: Milano
Nome: Riccardo Sciaky
Piezia angusticollis angusticollis Boheman, 1848

;)

_________________
Riccardo


Top
profilo
 Oggetto del messaggio: Re: Piezia sp.5
MessaggioInviato: 03/03/2021, 15:08 
Avatar utente

Iscritto il: 09/11/2009, 14:12
Messaggi: 5166
Località: Hradec Kralove,Czech republik
Nome: Jan Matějíček
ricdoc57 ha scritto:
Piezia angusticollis angusticollis Boheman, 1848

;)


Riccardo, grazie ancora per il tuo aiuto, mi hai aiutato molto. :hp:

_________________
Research Fields
Taxonomy, ecology, biomonitoring , faunistic of Staphylinidae


Top
profilo
MessaggioInviato: 03/03/2021, 17:56 
Avatar utente

Iscritto il: 08/05/2010, 22:25
Messaggi: 1463
Località: Milano
Nome: Riccardo Sciaky
Sono lieto di poter aiutare, :lov2: in più mi diverto a vedere delle specie diverse e interessanti. Non hai per caso anche dei Graphipterus da determinare? Quelli sono più impegnativi... e quindi più divertenti ancora :D

_________________
Riccardo


Top
profilo
Visualizza ultimi messaggi:  Ordina per  
nuovo argomento
rispondi
Pagina 1 di 1 [ 4 messaggi ]

Tutti gli orari sono UTC + 1 ora [ ora legale ]


Chi c’è in linea

Visitano il forum: Nessuno e 1 ospite


Non puoi aprire nuovi argomenti
Non puoi rispondere negli argomenti
Non puoi modificare i tuoi messaggi
Non puoi cancellare i tuoi messaggi
Non puoi inviare allegati

Cerca per:
Vai a:  
cron