Benvenuto Ospite

Forum Entomologi Italiani

www.entomologiitaliani.net/forum
 
Oggi è 14/01/2026, 6:23

Tutti gli orari sono UTC + 1 ora [ ora legale ]

Dasytophasis sp. - Malachiidae - RSA

24.VIII.2019 - SUD AFRICA - EE, Western Cape, Biedouw Valley, Enjo Nature Farm, 24.08.2019


nuovo argomento
rispondi
Pagina 1 di 1 [ 10 messaggi ]
Autore Messaggio
 Oggetto del messaggio: Dasytophasis sp. - Malachiidae - RSA
MessaggioInviato: 25/03/2021, 19:03 
 

Iscritto il: 01/05/2020, 0:49
Messaggi: 53
Nome: Maxim Smirnov
Little Malachiidae from South Africa. 3 mm. If it were possible to determine at least to the genus.. that would be great :)


Malachiidae g. sp._RSA.jpg

Top
profilo
 Oggetto del messaggio: Dasytophasis sp. - Malachiidae - RSA
MessaggioInviato: 25/03/2021, 21:22 
Avatar utente

Iscritto il: 14/03/2009, 12:59
Messaggi: 3246
Località: Milano
Nome: Gabriele Franzini
Hello Maxim,

how many visible antennomeres does it have? 11 or 10 (because 2nd hidden inside the 1st, e.g. like a Protapalochrus)?

:hi: :hi: G.


Top
profilo
 Oggetto del messaggio: Re: Malachiidae - RSA
MessaggioInviato: 25/03/2021, 22:59 
 

Iscritto il: 01/05/2020, 0:49
Messaggi: 53
Nome: Maxim Smirnov
Hi, Gabriele! :hi:
The antennae with 10 articles clearly. Here some bigger pic - maybe it's better to see it that way.


Malachiidae_RSA_antenna.jpg

Top
profilo
 Oggetto del messaggio: Re: Malachiidae - RSA
MessaggioInviato: 26/03/2021, 15:08 
Avatar utente

Iscritto il: 14/03/2009, 12:59
Messaggi: 3246
Località: Milano
Nome: Gabriele Franzini
So, tribe Apalochrini. At least we know who to call for help.

:hi: :hi: G.


Top
profilo
 Oggetto del messaggio: Re: Malachiidae - RSA
MessaggioInviato: 26/03/2021, 15:33 
Avatar utente

Iscritto il: 14/03/2009, 12:59
Messaggi: 3246
Località: Milano
Nome: Gabriele Franzini
Hello Maxim, can you please take a photo of the underside as well?

Thanks G.


Top
profilo
 Oggetto del messaggio: Re: Malachiidae - RSA
MessaggioInviato: 26/03/2021, 19:43 
 

Iscritto il: 01/05/2020, 0:49
Messaggi: 53
Nome: Maxim Smirnov
I'll give it a try, although it's pretty complicated right now. It is a very fragile creature and glued to the board plate :)


Top
profilo
 Oggetto del messaggio: Re: Malachiidae - RSA
MessaggioInviato: 27/03/2021, 14:59 
 

Iscritto il: 25/01/2012, 21:39
Messaggi: 496
Località: athens, greece
Nome: Kakiopoulos George
Not exactly "Malachiidae" but "Dasytidae" (now Pagurodactylini tribe).
It belongs to the genus Dasytophasis, most probably D. capicola Champion, 1923 (male sex).
The antennae are 11/segmented, this strange construction consists from the 5th + 6th segments.
You can see here a picture of the antenna (page 397) and the original description of D. capicola (page 385) :

https://www.biodiversitylibrary.org/pag ... 1/mode/1up

:hi: :hi:
George


Top
profilo
 Oggetto del messaggio: Re: Malachiidae - RSA
MessaggioInviato: 27/03/2021, 15:34 
 

Iscritto il: 25/01/2012, 21:39
Messaggi: 496
Località: athens, greece
Nome: Kakiopoulos George
Surprisingly, R. Constantin (2001) considers that Pagurodactylini now belong to the Malachiinae (not to the Dasytinae) !!!
But it is impossible to me, to find his article*, which probably contains also the original descriptions of 3 new genera in this group.

* Constantin R (2001) Révision du genre Pagurodactylus Gorham, 1900 et des genres voisins
d’Afrique australe (Coleoptera, Malachiidae). Entomologica Basiliensia 23: 5–87.


Top
profilo
 Oggetto del messaggio: Re: Malachiidae - RSA
MessaggioInviato: 27/03/2021, 19:12 
Avatar utente

Iscritto il: 14/03/2009, 12:59
Messaggi: 3246
Località: Milano
Nome: Gabriele Franzini
:ok: :ok: Good point, George.

:hi: :hi: G.


Top
profilo
 Oggetto del messaggio: Re: Malachiidae - RSA
MessaggioInviato: 28/03/2021, 11:45 
 

Iscritto il: 01/05/2020, 0:49
Messaggi: 53
Nome: Maxim Smirnov
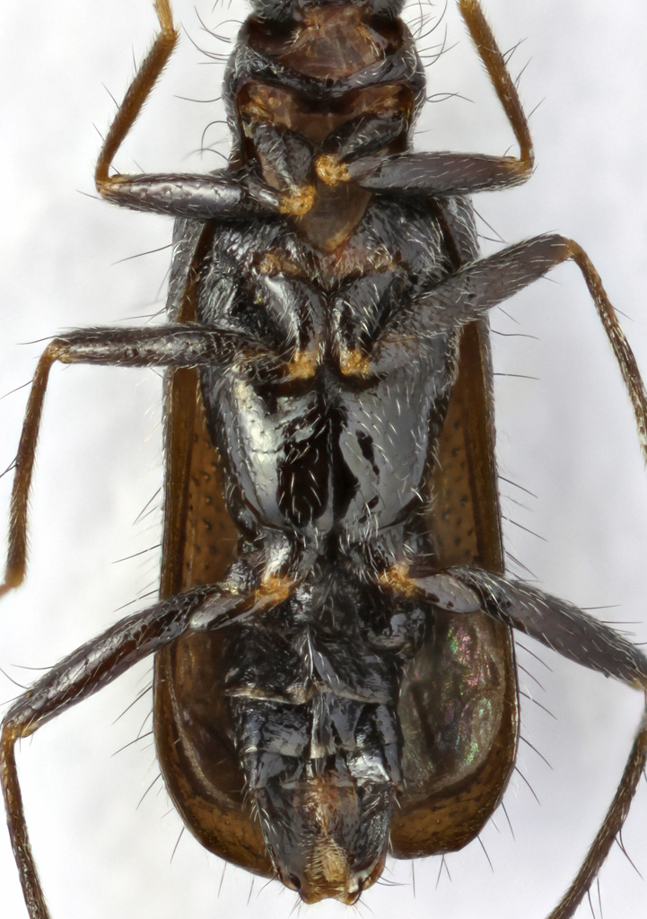
Well, after that serious conceptualization I just had to do it. On the safe side. :D
Thanks friends! :hi: :hi: :ok:


Malachiidae_RSA_UND_headA.jpg

Malachiidae_RSA_UND_bodyB.jpg

Top
profilo
Visualizza ultimi messaggi:  Ordina per  
nuovo argomento
rispondi
Pagina 1 di 1 [ 10 messaggi ]

Tutti gli orari sono UTC + 1 ora [ ora legale ]


Chi c’è in linea

Visitano il forum: Nessuno e 0 ospiti


Non puoi aprire nuovi argomenti
Non puoi rispondere negli argomenti
Non puoi modificare i tuoi messaggi
Non puoi cancellare i tuoi messaggi
Non puoi inviare allegati

Cerca per:
Vai a:  
cron