Benvenuto Ospite

Forum Entomologi Italiani

www.entomologiitaliani.net/forum
 
Oggi è 22/11/2025, 14:51

Tutti gli orari sono UTC + 1 ora [ ora legale ]

Mantis religiosa (Linnaeus, 1758) - Mantidae, Mantinae, Mantini

2.VIII.2014 - ITALIA - Lazio - LT, Cisterna di Latina: Riserva Pantanello


nuovo argomento
rispondi
Pagina 1 di 1 [ 5 messaggi ]
Autore Messaggio
MessaggioInviato: 23/04/2021, 22:48 
Avatar utente

Iscritto il: 30/12/2010, 11:51
Messaggi: 4548
Località: San Giovanni Valdarno (AR)
Nome: Giovanni Altadonna
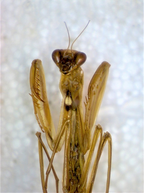
Esemplare abbastanza malridotto, ma forse è possibile dire qualcosa.
Grazie in anticipo.

ITALIA, Lazio (LT), Cisterna di Latina: Riserva Pantanello, 2.VIII.2014, G. Altadonna legit

Dimensioni: 42 mm

Image323.jpg


_________________
"L' uomo che è cieco alle bellezze della natura ha perduto metà del piacere di vivere"
Sir Robert Baden Powell

Giovanni Altadonna


Top
profilo
MessaggioInviato: 24/04/2021, 9:23 
Avatar utente

Iscritto il: 19/06/2012, 14:35
Messaggi: 5640
Località: Alfonsine (RA)
Nome: Marco Villani
Come dici tu, è molto mal ridotto, ma unendo la provenienza a quel che si vede dalla foto, può essere solo Mantis religiosa (sub-adulta).
Per scrupolo, potresti controllare se la faccia interna delle coxe anteriori ha una macchia scura alla base? Giusto per escludere una Sphodromantis deformata.


Top
profilo
MessaggioInviato: 24/04/2021, 19:50 
Avatar utente

Iscritto il: 30/12/2010, 11:51
Messaggi: 4548
Località: San Giovanni Valdarno (AR)
Nome: Giovanni Altadonna
marco villa ha scritto:
Come dici tu, è molto mal ridotto, ma unendo la provenienza a quel che si vede dalla foto, può essere solo Mantis religiosa (sub-adulta).
Per scrupolo, potresti controllare se la faccia interna delle coxe anteriori ha una macchia scura alla base? Giusto per escludere una Sphodromantis deformata.


La macchia alla base delle coxe anteriori c'è, ma è una specie di ocello, non una macchia scura. Quindi Mantis religiosa?
Allego una foto per accertarmi se ho interpretato bene il carattere.

Image333.jpg


_________________
"L' uomo che è cieco alle bellezze della natura ha perduto metà del piacere di vivere"
Sir Robert Baden Powell

Giovanni Altadonna


Top
profilo
MessaggioInviato: 24/04/2021, 21:58 
Avatar utente

Iscritto il: 19/06/2012, 14:35
Messaggi: 5640
Località: Alfonsine (RA)
Nome: Marco Villani
Sì, può essere ocellare o interamente nera :ok:
Marco.


Top
profilo
MessaggioInviato: 25/04/2021, 12:08 
Avatar utente

Iscritto il: 30/12/2010, 11:51
Messaggi: 4548
Località: San Giovanni Valdarno (AR)
Nome: Giovanni Altadonna
Grazie Marco. :hi:

_________________
"L' uomo che è cieco alle bellezze della natura ha perduto metà del piacere di vivere"
Sir Robert Baden Powell

Giovanni Altadonna


Top
profilo
Visualizza ultimi messaggi:  Ordina per  
nuovo argomento
rispondi
Pagina 1 di 1 [ 5 messaggi ]

Tutti gli orari sono UTC + 1 ora [ ora legale ]


Chi c’è in linea

Visitano il forum: Nessuno e 1 ospite


Non puoi aprire nuovi argomenti
Non puoi rispondere negli argomenti
Non puoi modificare i tuoi messaggi
Non puoi cancellare i tuoi messaggi
Non puoi inviare allegati

Cerca per:
Vai a: