Benvenuto Ospite

Forum Entomologi Italiani

www.entomologiitaliani.net/forum
 
Oggi è 30/05/2026, 6:54

Tutti gli orari sono UTC + 1 ora [ ora legale ]

Glyptomorpha sicula (Marshall, 1888) (cf.) - Braconidae

14.VI.2019 - ITALIA - Sicilia - TP, San Vito lo Capo


nuovo argomento
rispondi
Pagina 1 di 1 [ 2 messaggi ]
Autore Messaggio
MessaggioInviato: 15/02/2021, 21:49 
 

Iscritto il: 08/12/2013, 1:52
Messaggi: 7728
Località: Bagnacavallo (RA)
Nome: Giorgio Pezzi
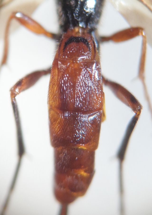
Braconidae lungo mm 11 più 28 mm di terebra; circa 65 antennomeri; mostro anche l'estremità dell'ovopositore. leg. Pavesi M. In Sicilia è citata solo G. sicula delle 3 italiane. Si può confermare?
:hi:
DSC05594.JPG



DSC05619.JPG

DSC05620.JPG

DSC05621.JPG

DSC05625.JPG

DSC05628.JPG

Top
profilo
MessaggioInviato: 21/10/2021, 17:29 
 

Iscritto il: 25/05/2012, 10:24
Messaggi: 6
Nome: Louis WEITTEN
Hello
In this work
http://publication.nhmus.hu/pdf/annHNHM ... 52_367.pdf
A Revision of the Tribe Braconini Ashm. from the Carpathian Basin (Hymenoptera, Braconidae).pdf
p. 378 the author says :
- 1 (6) Ovipositor shorter than abdomen.
- 2 (3) Tergite finely and dispersely punctate. Whole of tergites 3—7. smooth and shiny. Occiput black, scutellum, metanotum, and mesosternum completely black. Coxa, trochanter, femur, tibia 2—3. and tarsus 3. black, other parts of legs light. Proximal half of plate of tergite 1. black. Ground colour of abdomen reddish-yellow. Ovipositor scarcely longer than half of abdomen. Length 6 7 mm. — Range : Sicily, Italy. In the Carpathian Basin, collected only in Budapest. Rare 1. sicula.

Here the ovipositor is longer then abdomen ?

Louis


Top
profilo
Visualizza ultimi messaggi:  Ordina per  
nuovo argomento
rispondi
Pagina 1 di 1 [ 2 messaggi ]

Tutti gli orari sono UTC + 1 ora [ ora legale ]


Chi c’è in linea

Visitano il forum: Nessuno e 0 ospiti


Non puoi aprire nuovi argomenti
Non puoi rispondere negli argomenti
Non puoi modificare i tuoi messaggi
Non puoi cancellare i tuoi messaggi
Non puoi inviare allegati

Cerca per:
Vai a:  
cron