Benvenuto Ospite

Forum Entomologi Italiani

www.entomologiitaliani.net/forum
 
Oggi è 19/11/2025, 17:09

Tutti gli orari sono UTC + 1 ora [ ora legale ]

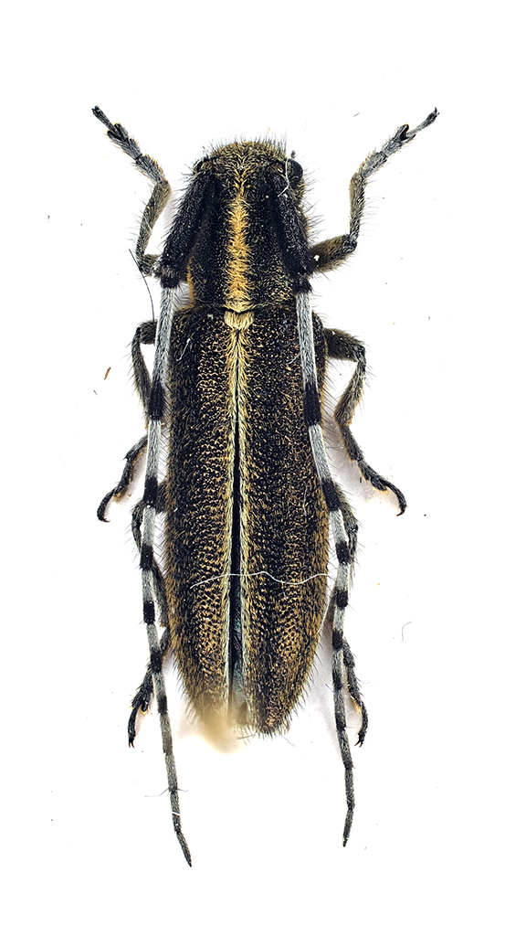
Agapanthia da ID - Cerambycidae

27.IV.2021 - ITALIA - Marche - AN, Scossicci, Porto Recanati


nuovo argomento
rispondi
Pagina 1 di 1 [ 1 messaggio ]
Autore Messaggio
 Oggetto del messaggio: Agapanthia da ID - Cerambycidae
MessaggioInviato: 08/11/2021, 23:16 
Avatar utente

Iscritto il: 10/05/2009, 15:30
Messaggi: 7182
Località: Ancona
Nome: Giacomo Giovagnoli
Agapanthia cardui o suturalis??? :roll:

Scossicci, Porto Recanati (Macerata); 27.IV.2021; lg. M. Quarello

[grazie zio per le foto!!! :birra: ]

Esemplare 1; dimensioni: 11mm
Comb3433cr-22zL6.jpg


Comb3434cr-37zL6.jpg



Esemplare 2; dimensioni: 10mm
Comb3435cr-25zL6.jpg


Comb3436cr-54zL6.jpg



Ciao :)

_________________
Immagine Giacomo


Top
profilo
Visualizza ultimi messaggi:  Ordina per  
nuovo argomento
rispondi
Pagina 1 di 1 [ 1 messaggio ]

Tutti gli orari sono UTC + 1 ora [ ora legale ]


Chi c’è in linea

Visitano il forum: Nessuno e 4 ospiti


Non puoi aprire nuovi argomenti
Non puoi rispondere negli argomenti
Non puoi modificare i tuoi messaggi
Non puoi cancellare i tuoi messaggi
Non puoi inviare allegati

Cerca per:
Vai a:  
cron